Beschikbaar vanaf 15 nov. 2025
Nieuw
Woning met 3 slpks, schuur met 3 stallen en weiland op 2.288 m² nabij Geel-centrum !
€ 1.750
Een pand van Verlinden Vastgoed
Overzicht
- 161 m² bewoonbaar
- 2288 m² grond
- 3 Slaapkamer(s)
- 1 Badkamer(s)
- 1 Living(s)
- 1 Tuin
Beschrijving
Rustig gelegen hoevewoning in agrarisch gebied, omgeven door weilanden, doch op slechts 3 kilometer van de markt van Geel. Vlotte verbinding naar Mol, Meerhout, de Ring van Geel naar Lommel, en de E313. Achteraan geniet je van een prachtig wijds zicht op weilanden.
De woning wordt verhuurd voor een overeen te komen termijn van +/- 12 à 18 maanden. Na deze termijn kan een eventuele verlenging bekeken worden.
Je betreedt de woning via een inkomhal met vestiairekast. De woonkamer biedt ruimte voor een eethoek en een zithoek. De aansluitende keuken is uitgerust met een kookvuur, dampkap, oven, vaatwasser en Amerikaanse koelkast. Verder is er op het gelijkvloers een slaapkamer met ingebouwde kast, een badkamer met ligbad en lavabo in meubel, een apart toilet, een CV ruimte met aansluitingen voor wasmachine, en nog een kamer die dienst kan doen als slaapkamer/bureel/speelkamer/hobbyruimte/berging/... .
Op de verdieping is er een ruime slaapkamer van 24 m² met 2 aparte zones, ideaal voor 2 kinderen die in één ruimte willen slapen. De rest van de verdieping is een onafgewerkte zolder (45 m²).
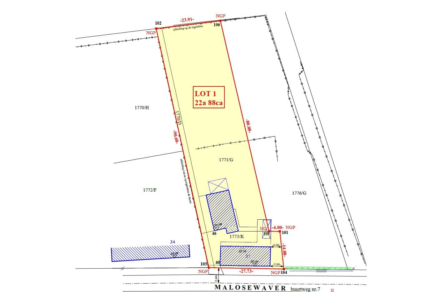
Het betreft een ruim, afgesloten en zuid gericht perceel van 2.288 m², voorzien van een ruime schuur (met 3 stallen) van 104 m² (kroonlijsthoogte van 4 meter en een nokhoogte van 7,75 meter) en een tuinberging met overdekt terras. Achteraan het perceel bevindt er zich een weiland (+/- 23 meter * 45 meter). Het dak van de schuur wordt nog hersteld.
In alle ruimtes is er verlichting aanwezig en de meeste ramen zijn voorzien van raamdecoratie. De woning werd opnieuw geschilderd.
Foto's van de woonkamer, keuken en slaapkamer volgen één van de dagen, de schilderwerken moeten hier nog afgewerkt worden.
EPC: 1.015 kWh / m² (label F) (simulatie huidige toestand: 449 kWh / m² (label E) | er worden nog werken uitgevoerd waarbij het EPC zal dalen naar +/- 393 kWh / m² (label D)).
Elektrische keuring: conform.
Beschikbaarheid: +/- 15/11/2025.
De woning wordt verhuurd voor een overeen te komen termijn van +/- 12 à 18 maanden. Na deze termijn kan een eventuele verlenging bekeken worden.
Je betreedt de woning via een inkomhal met vestiairekast. De woonkamer biedt ruimte voor een eethoek en een zithoek. De aansluitende keuken is uitgerust met een kookvuur, dampkap, oven, vaatwasser en Amerikaanse koelkast. Verder is er op het gelijkvloers een slaapkamer met ingebouwde kast, een badkamer met ligbad en lavabo in meubel, een apart toilet, een CV ruimte met aansluitingen voor wasmachine, en nog een kamer die dienst kan doen als slaapkamer/bureel/speelkamer/hobbyruimte/berging/... .
Op de verdieping is er een ruime slaapkamer van 24 m² met 2 aparte zones, ideaal voor 2 kinderen die in één ruimte willen slapen. De rest van de verdieping is een onafgewerkte zolder (45 m²).
Het betreft een ruim, afgesloten en zuid gericht perceel van 2.288 m², voorzien van een ruime schuur (met 3 stallen) van 104 m² (kroonlijsthoogte van 4 meter en een nokhoogte van 7,75 meter) en een tuinberging met overdekt terras. Achteraan het perceel bevindt er zich een weiland (+/- 23 meter * 45 meter). Het dak van de schuur wordt nog hersteld.
In alle ruimtes is er verlichting aanwezig en de meeste ramen zijn voorzien van raamdecoratie. De woning werd opnieuw geschilderd.
Foto's van de woonkamer, keuken en slaapkamer volgen één van de dagen, de schilderwerken moeten hier nog afgewerkt worden.
EPC: 1.015 kWh / m² (label F) (simulatie huidige toestand: 449 kWh / m² (label E) | er worden nog werken uitgevoerd waarbij het EPC zal dalen naar +/- 393 kWh / m² (label D)).
Elektrische keuring: conform.
Beschikbaarheid: +/- 15/11/2025.
Energie
- Beglazing: Standaard dubbel
Zelfcheck
Op de kaart

Financieel
| Prijs | |
|---|---|
| Kadastraal inkomen (niet geïndexeerd) | € 0 |
| Kadastraal inkomen (geïndexeerd) | € 0 |
Bijkomende info
Gebouw
| Staat | Goed onderhouden |
|---|---|
| Is beschermd | Nee |
| Bewoonbaar (m²) | 161 |
| Gevelbreedte | 18.52 |
| Zolder | 1 |
| Badkamers | 1 |
| Slaapkamers | 3 |
| Keukens | 1 |
| Leefruimtes | 1 |
Ruimtes
| Zolder | 45 m² |
|---|---|
| Slaapkamer | 24 m² |
| Slaapkamer | 17 m² |
| Slaapkamer | 16 m² |
| Keuken | 16.25 m² |
| Leefruimte | 30.25 m² |
Faciliteiten
| Beglazing | Standaard dubbel |
|---|---|
| Luiken | Nee |
| Warm water type | Geen verwarming |
Perceel
| Totale oppervlakte (m²) | 2288 |
|---|---|
| Oriëntatie tuin | Zuid |
Uitrusting
| Meerdere eigenaars | Nee |
|---|---|
| Geschikt als kangoeroewoning | Nee |
| Geschikt voor rolstoelgebruikers | Nee |
| Geschikt voor praktijk | Nee |
| Volledig onderkelderd | Nee |
| Parking | Ja |
| Garage | Ja |
| Thuiskantoor | Nee |
| Kelder | Nee |
| Zolder | Ja |
| Opslagruimte | Nee |
| Tuin | Ja |
| Terras | Nee |
| Lift | Nee |
| Rioolaansluiting | Nee |
| Gasaansluiting | Nee |
| Wateraansluiting | Nee |
| Elektriciteitsaansluiting | Nee |
| TV aansluiting | Nee |
| Internetaansluiting | Nee |
| Zonnepanelen | Nee |
| Zonneboiler | Nee |
| Alarm | Nee |
| Zwembad | Nee |
| Jacuzzi | Nee |
| Toonzaal | Nee |
| Ventilatie | Nee |
Een pand van
Verlinden Vastgoed
Verlinden Vastgoed, een partner die weet van aanpakken!
Verlinden Vastgoed is jouw vastgoedkantoor dat de kneepjes van het vak door en door kent. Onze kantoren zijn gevestigd in het centrum van Mol en Onze-Lieve-Vrouw Olen, maar wij richten onze radar ook op de omliggende gemeentes.
Jarenlange ervaring, een doorgedreven kennis van de markt, een up-to-date klantenbestand om u tegen te zeggen en de nodige diploma's. Troeven die we stuk voor stuk op zak hebben. Maar écht het verschil maken? Dat doen we met onze Kempische nuchterheid: een eerlijke, persoonlijke aanpak.
TH2025-1249
Leer meer over vastgoed
Nieuw
26 October 2025
Fake huuradvertenties op Facebook
06 July 2025
Wie betaalt herstellingen aan de huurwoning?
01 July 2025
Ik wil mijn huurcontract opzeggen. Hoe doe ik dit?
20 April 2025