Logistieke magazijnen te huur in de haven van Gent
€ 21.863
Een pand van CD-Vastgoed bv
Favoriet
Jouw zoektocht
Jouw scoretabel voor dit pand
Aan het laden...
Jouw geplande bezichtigingen
Aan het laden...
Overzicht
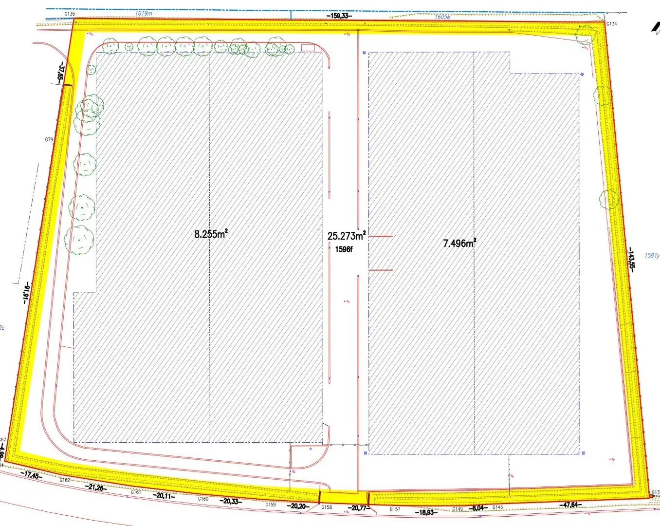
- 7496 m² bewoonbaar
- 7496 m² grond
- 1 Toilet(ten)
Overstromingsgevaar perceel
Beschrijving
Grote opslagruimtes aan de Langerbruggekaai in Gent, midden in de haven, ideaal voor logistieke activiteiten. Dankzij de vlotte verbinding met de R4 en een bushalte op wandelafstand, zijn de loodsen zowel voor transport als voor personeel uitstekend bereikbaar.
Beschikbare oppervlaktes:
- Loods 2: 7.496 m²
Troeven:
🌍 Strategische ligging in de haven van Gent
🚛 Meerdere toegangspoorten voor efficiënte logistiek
📏 Vrije hoogte van 7 meter
Interesse in één of beide magazijnen?
👉 Contacteer Lucas op 09/243 41 86 of mail naar info@cd-vastgoed.com
Beschikbare oppervlaktes:
- Loods 2: 7.496 m²
Troeven:
🌍 Strategische ligging in de haven van Gent
🚛 Meerdere toegangspoorten voor efficiënte logistiek
📏 Vrije hoogte van 7 meter
Interesse in één of beide magazijnen?
👉 Contacteer Lucas op 09/243 41 86 of mail naar info@cd-vastgoed.com
Energie
- Verwarming: Geen
- Beglazing: Onbekend
Op de kaart

Financieel
| Prijs | |
|---|---|
| Maandelijkse kosten | € 0 |
| Kadastraal inkomen (niet geïndexeerd) | € 0 |
| Kadastraal inkomen (geïndexeerd) | € 0 |
Bijkomende info
Gebouw
| Staat | Goed onderhouden |
|---|---|
| Is beschermd | Nee |
| Bewoonbaar (m²) | 7496 |
| Kantoorruimtes | 1 |
| Opslagruimtes | 1 |
| Toiletten | 1 |
Ruimtes
| Opbergruimte | 7496 m² |
|---|
Faciliteiten
| Luiken | Nee |
|---|---|
| Primair verwarmingstype | Geen verwarming |
| Brandstof primaire verwarming | Geen |
| Warm water type | Geen verwarming |
Perceel
| Overstromingsgevoelig | Mogelijk overstromingsgevoelig |
|---|---|
| P-score | D |
| G-score | B |
| Totale oppervlakte (m²) | 7496 |
| Bebouwde oppervlakte (m²) | 7496 |
Uitrusting
| Meerdere eigenaars | Nee |
|---|---|
| Geschikt als kangoeroewoning | Nee |
| Geschikt voor rolstoelgebruikers | Nee |
| Geschikt voor praktijk | Ja |
| Volledig onderkelderd | Nee |
| Parking | Nee |
| Garage | Nee |
| Thuiskantoor | Ja |
| Kelder | Nee |
| Zolder | Nee |
| Opslagruimte | Ja |
| Tuin | Nee |
| Terras | Nee |
| Lift | Nee |
| Rioolaansluiting | Ja |
| Gasaansluiting | Nee |
| Wateraansluiting | Ja |
| Elektriciteitsaansluiting | Ja |
| TV aansluiting | Nee |
| Internetaansluiting | Ja |
| Zonnepanelen | Nee |
| Zonneboiler | Nee |
| Alarm | Ja |
| Zwembad | Nee |
| Jacuzzi | Nee |
| Toonzaal | Nee |
| Ventilatie | Nee |
Appartementsblok
| Lift | Nee |
|---|---|
| Intercom | Nee |
Een pand van
CD-Vastgoed bv
Bedrijfsvastgoed voor de ondernemer en investeerder in Antwerpen en Oost-Vlaanderen
Kantoren, magazijnen, winkels, bouwgronden: CD-Vastgoed richt zich uitsluitend op het verkopen en verhuren van bedrijfsvastgoed. We weten waar kmo’s naar op zoek zijn. In elke fase van uw groei zorgen we ervoor dat het vinden van het geschikte vastgoed alvast één zorg minder is.
M- 2369
Leer meer over vastgoed
04 January 2026
Zoek je een kantoor, een magazijn of… iets ertussenin? Bedrijfsvastgoed uitgelegd
05 November 2024
Bedrijfsvastgoed in transitie: ontdek de toekomst van werkplekken
16 October 2024
Opbrengsteigendom: een slim pad naar passief inkomen en vermogensgroei
09 September 2024