Overzicht
- 314 m² bewoonbaar
Beschrijving
Veelzijdige loodsen te Eeklo op toplocatie met vlotte verbinding naar de E34!
Op zoek naar een functionele en strategisch gelegen bedrijfsruimte? Op Kunstdal te Eeklo bieden wij 3 loodsen (A, B en F) aan, ideaal voor stockage, lichte bedrijfsactiviteiten of kantoorruimte. Dankzij de uitstekende verbinding met de E34 is dit de perfecte locatie voor ondernemers die een centrale ligging wensen met een vlotte bereikbaarheid.
Beschikbare loodsen:
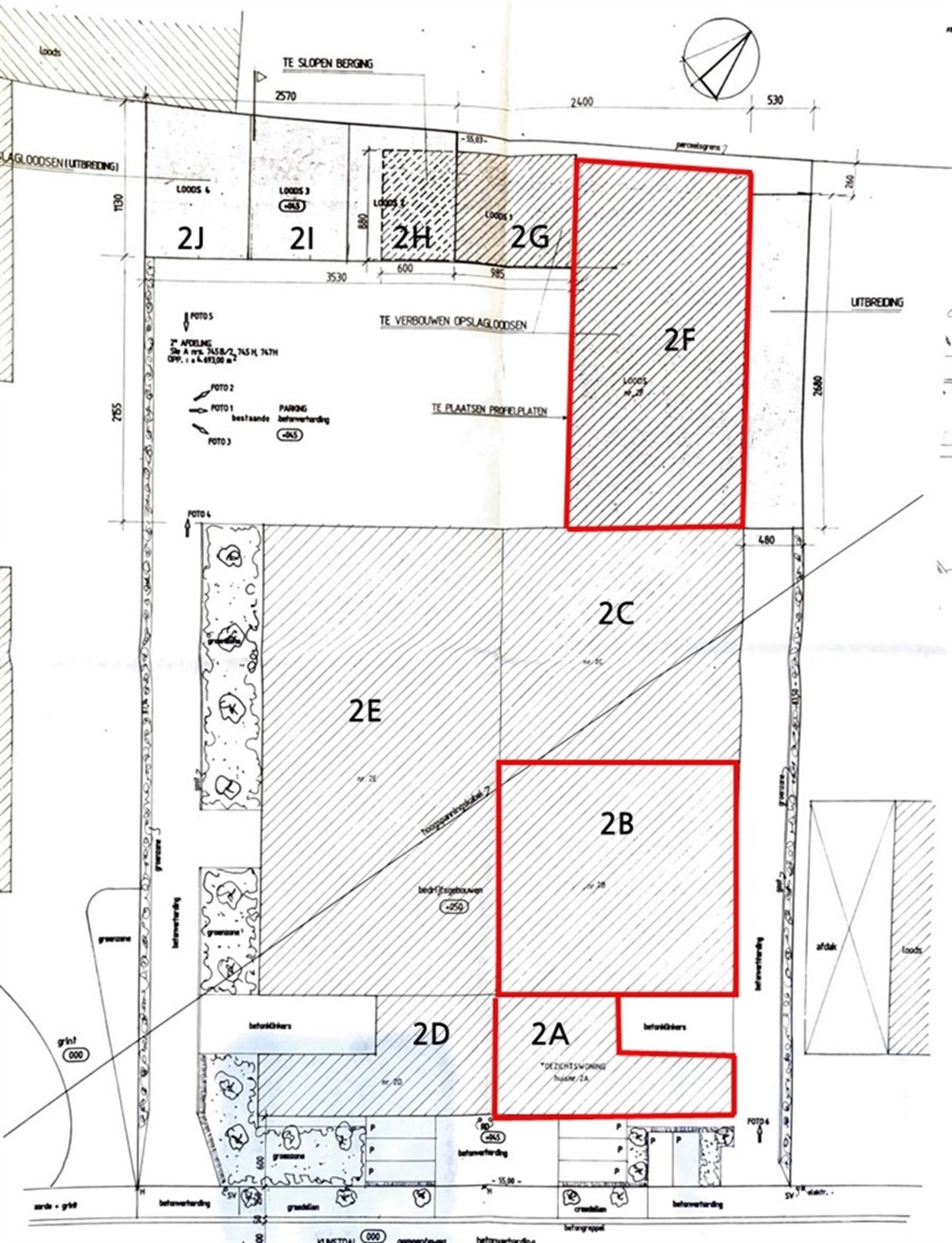
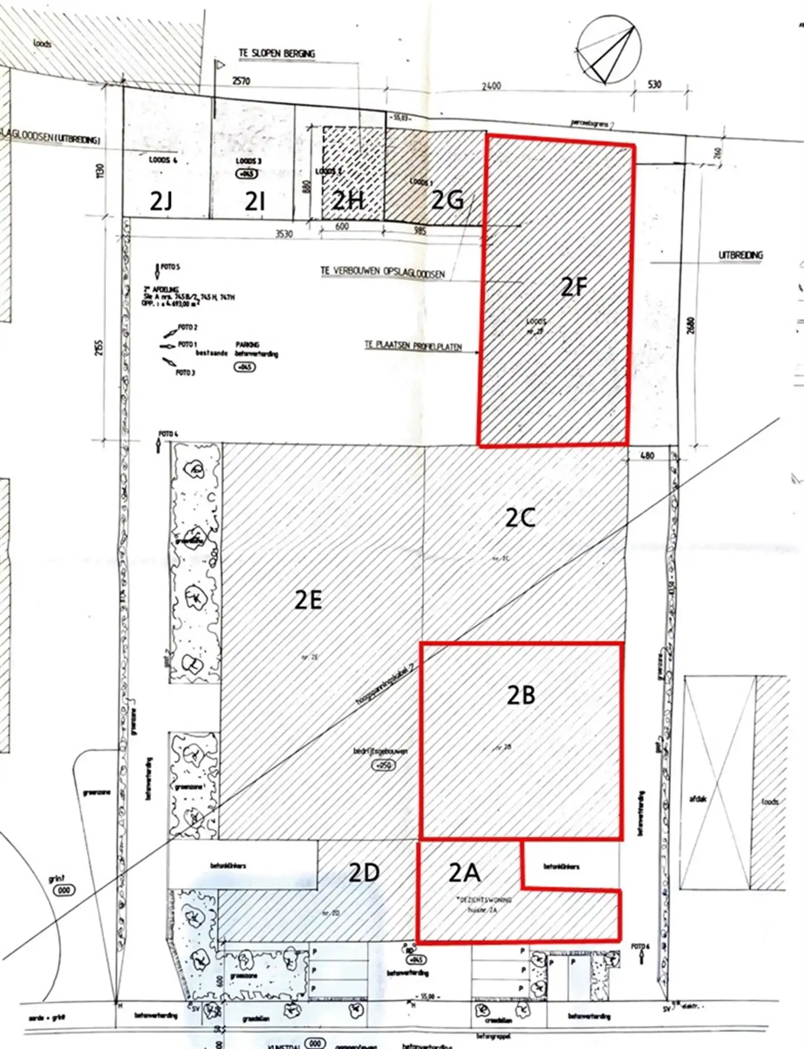
Loods A
- Oppervlakte: 100 m² + 25 m² verdieping
- Gelijkvloers: inkomhal/ontvangstruimte, berging, bureau, doucheruimte, toilet
- Verdieping: ruime kantoorruimte met open keuken
- Extra: 2 private parkeerplaatsen, koer, geïsoleerde loods, 2 sectionaalpoorten
- Loods met verwarming via luchtblazer op stookolie
- Overdekte laad- en loszone + elektrische heftakel
Loods B/F
- Gelegen op een beveiligd terrein met toegangspoort
- Casco verhuur: elektriciteit, verwarming en water aanwezig
- Geschikt voor opslag en (niet-vervuilende) activiteiten
- Gemeenschappelijke parking voor laden en lossen
Waarom kiezen voor een loods op Kunstdal te Eeklo?
- Toplocatie: snelle verbinding naar de E34
- Flexibele invulling: stockage, kantoor of commerciële ruimte
- Praktische voorzieningen: elektriciteit, verwarming, sanitair en parking
- Veiligheid: afgesloten terrein met toegangspoort
Prijzen exclusief:
- 150 euro provisie elektricitiet & gas (afrekening jaarlijks)
- Onroerende voorheffing (+/- 1 maand huur)
- Jaarlijkse keuring blusapparten
- Jaarlijkse keuring verwarmingsketel
Interesse? Contacteer ons vandaag nog voor meer info of een bezichtiging!
Energie
- E-peil: E0
- Beglazing: Onbekend
Op de kaart

Financieel
| Prijs | |
|---|---|
| Maandelijkse kosten | € 0 |
| Kadastraal inkomen (niet geïndexeerd) | € 0 |
| Kadastraal inkomen (geïndexeerd) | € 0 |
Bijkomende info
Gebouw
| Bouwcertificaat | Nee |
|---|---|
| Bewoonbaar (m²) | 314 |
| Verdieping | 0 |
| Badkamers | 0 |
| Slaapkamers | 0 |
| Verdiepingen | 0 |
| Garages | 0 |
| Parkeerplaatsen | 0 |
| Doucheruimtes | 0 |
| Toiletten | 0 |
Faciliteiten
| Elektrisch keuringsattest | Nee |
|---|
Perceel
| Overstromingsgevoelig | Geen |
|---|---|
| Voorkeurrecht | Ja |
| Bebouwde oppervlakte (m²) | 0 |
| Tuin oppervlakte (m²) | 0 |
| Oppervlakte terras (m²) | 0 |
Vergunning
| Vergunning | Geen beschikbaar |
|---|---|
| Verkavelingsvergunning | Geen beschikbaar |
Uitrusting
| Investeringspand | Nee |
|---|---|
| Geschikt voor praktijk | Nee |
| Parking | Nee |
| Garage | Nee |
| Thuiskantoor | Nee |
| Kelder | Nee |
| Zolder | Nee |
| Tuin | Nee |
| Terras | Nee |
| Lift | Nee |
| Rioolaansluiting | Nee |
| Gasaansluiting | Nee |
| Wateraansluiting | Nee |
| Elektriciteitsaansluiting | Nee |
| TV aansluiting | Nee |
| Internetaansluiting | Nee |
| Telefoonaansluiting | Nee |
Appartementsblok
| Naam residentie | KUNSTDAL 2 EEKLO |
|---|---|
| Lift | Nee |
Een pand van
CEUSTERS
CEUSTERS
Onze experts in property management en vastgoedadvies stellen een kwalitatieve dienstverlening voorop. Creatief en flexibel gaat ons team op zoek naar kansen en oplossingen voor elke klant. Telkens een stapje verder. Naast onze kantoren in Antwerpen, Gent, Brussel, Hasselt en Rotterdam (Nederland), opereert CEUSTERS vanuit zes andere vestigingen verspreid over heel België. In deze snel veranderende wereld staat ons sterk inzicht in de lokale markt garant voor continuïteit.
KUNSTDAL 2 EEKLO
Leer meer over vastgoed
05 November 2024
Bedrijfsvastgoed in transitie: ontdek de toekomst van werkplekken
16 October 2024
Opbrengsteigendom: een slim pad naar passief inkomen en vermogensgroei
09 September 2024
Tijdelijk vastgoed: flexibele oplossingen voor een dynamische markt
12 August 2024