Nieuw
Een mooi gelegen bouwgrond voor halfopen bebouwing (LOT 2)
€ 162.000
Een pand van CENTURY 21 Pro Domo
Favoriet
Jouw zoektocht
Jouw scoretabel voor dit pand
Aan het laden...
Jouw geplande bezichtigingen
Aan het laden...
Overzicht
- 781 m² grond
- 1 Tuin
Beschrijving
Een mooi gelegen bouwgrond voor halfopen bebouwing gelegen in een rustige straat
(Rue de la Falize) in Tubize
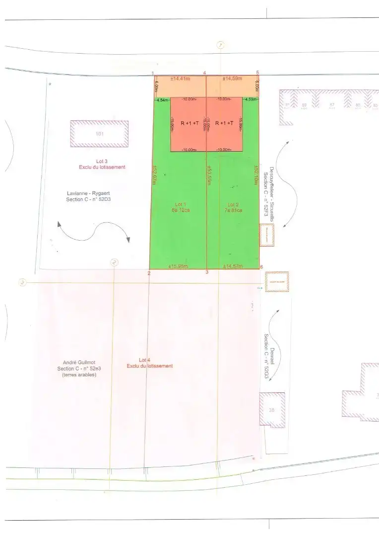
LOT 2:
Grond opp.: 7a 81ca
Straatbreedte: 14m 59cm
Type woning: 3-gevel (glvl. + verdieping + dak)
Bouwopp.: 150m² op het gelijkvloers (10m x 15m)
Voortuinstrook: 6,00m
Zuid oriëntatie tuin
Regenwaterput: verplicht (> 10.000l)
PRIJS: 162.000 EUR (excl. kosten)
(Rue de la Falize) in Tubize
LOT 2:
Grond opp.: 7a 81ca
Straatbreedte: 14m 59cm
Type woning: 3-gevel (glvl. + verdieping + dak)
Bouwopp.: 150m² op het gelijkvloers (10m x 15m)
Voortuinstrook: 6,00m
Zuid oriëntatie tuin
Regenwaterput: verplicht (> 10.000l)
PRIJS: 162.000 EUR (excl. kosten)
Energie
- Verwarming: Geen
- Beglazing: Onbekend
Op de kaart

Financieel
| Prijs | |
|---|---|
| Kadastraal inkomen (niet geïndexeerd) | € 0 |
| Kadastraal inkomen (geïndexeerd) | € 0 |
Berekening kosten
Je aankoopkosten? Die heb je snel berekend via de knop hieronder.
Bijkomende info
Gebouw
| Is beschermd | Nee |
|---|
Perceel
| Totale oppervlakte (m²) | 781 |
|---|---|
| Oriëntatie tuin | Zuid |
Uitrusting
| Meerdere eigenaars | Nee |
|---|---|
| Rioolaansluiting | Nee |
| Gasaansluiting | Nee |
| Wateraansluiting | Nee |
| Elektriciteitsaansluiting | Nee |
| TV aansluiting | Nee |
| Internetaansluiting | Nee |
Een pand van
CENTURY 21 Pro Domo
Century 21 Pro Domo - Welkom thuis!
Wenst u te kopen of verkopen, kom gerust langs! Wij begeleiden u doorheen het volledige proces.
6059
Leer meer over vastgoed
23 March 2026
Op Spotto zoeken als een pro: 10 slimme tips
21 March 2026
Hoeveel kan ik lenen om een huis te kopen?
01 March 2026
Wanneer heb ik een bouwvergunning of omgevingsvergunning nodig?
17 February 2026