Een mooi gelegen bouwgrond voor halfopen bebouwing (LOT 2)
€ 168.000
Een pand van CENTURY 21 Pro Domo
Overzicht
- 781 m² grond
- 1 Tuin
Beschrijving
Een mooi gelegen bouwgrond voor halfopen bebouwing gelegen in een rustige straat
(Rue de la Falize) in Tubize
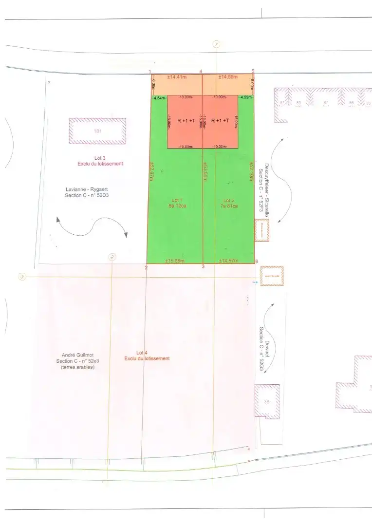
LOT 2:
Grond opp.: 7a 81ca
Straatbreedte: 14m 59cm
Type woning: 3-gevel (glvl. + verdieping + dak)
Bouwopp.: 10m x 15m (glvl.)
Voortuinstrook: 6,00m
Zuid oriëntatie tuin
Regenwaterput: verplicht (> 10.000l)
PRIJS: 168.000 EUR (excl. kosten)
(Rue de la Falize) in Tubize
LOT 2:
Grond opp.: 7a 81ca
Straatbreedte: 14m 59cm
Type woning: 3-gevel (glvl. + verdieping + dak)
Bouwopp.: 10m x 15m (glvl.)
Voortuinstrook: 6,00m
Zuid oriëntatie tuin
Regenwaterput: verplicht (> 10.000l)
PRIJS: 168.000 EUR (excl. kosten)
Energie
- Verwarming: Geen
- Beglazing: Onbekend
Op de kaart

Financieel
| Prijs | |
|---|---|
| Kadastraal inkomen (niet geïndexeerd) | € 0 |
| Kadastraal inkomen (geïndexeerd) | € 0 |
Berekening kosten
Je aankoopkosten? Die heb je snel berekent via de knop hieronder.
Bijkomende info
Gebouw
| Is beschermd | Nee |
|---|
Perceel
| Totale oppervlakte (m²) | 781 |
|---|---|
| Oriëntatie tuin | Zuid |
Uitrusting
| Meerdere eigenaars | Nee |
|---|---|
| Rioolaansluiting | Nee |
| Gasaansluiting | Nee |
| Wateraansluiting | Nee |
| Elektriciteitsaansluiting | Nee |
| TV aansluiting | Nee |
| Internetaansluiting | Nee |
Een pand van
CENTURY 21 Pro Domo
Century 21 Pro Domo - Welkom thuis!
Wenst u te kopen of verkopen, kom gerust langs! Wij begeleiden u doorheen het volledige proces.
6059
Leer meer over vastgoed
Nieuw
24 November 2025
Uitgezocht voor jouw gemeente: Hoeveel stijgt de waarde van je woning door een renovatie?
22 October 2025
Hoeveel kan ik lenen om een huis te kopen?
11 June 2025
Huis kopen met bouwovertreding? Dit moet je weten
11 May 2025