> Te koop > Tubize > Grond > Een mooi gelegen bouwgrond voor halfopen bebouwing (LOT 1)
Nieuw

Een mooi gelegen bouwgrond voor halfopen bebouwing (LOT 1)

Een pand van CENTURY 21 Pro Domo

Volledige aanbod

Jouw zoektocht

Jouw scoretabel voor dit pand
Aan het laden...
Aan het laden...
Jouw geplande bezichtigingen
Aan het laden...
Aan het laden...

Overzicht


  • 812 m² grond
  • 1 Tuin

Beschrijving


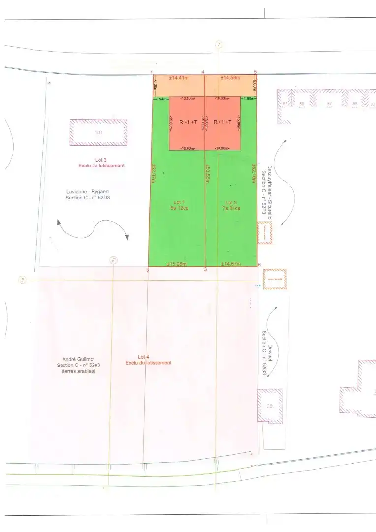
Een mooi gelegen bouwgrond voor halfopen bebouwing gelegen in een rustige straat
(Rue de la Falize) in Tubize!
LOT 1:
Grond opp.: 8a 12ca
Straatbreedte: 14m 41cm
Type woning: 3-gevel (glvl. + verdieping + dak)
Bouwopp.: 150m² op het gelijkvloers (10m x 15m)
Voortuinstrook: 6,00m
Zuid oriëntatie tuin
Regenwaterput: verplicht (> 10.000l)
PRIJS: 169.000 EUR (excl. kosten)

Energie


  • Verwarming: Geen
  • Beglazing: Onbekend

Op de kaart


map placeholder

Financieel


Prijs € 169.000
Kadastraal inkomen (niet geïndexeerd) € 0
Kadastraal inkomen (geïndexeerd) € 0

Berekening kosten


Je aankoopkosten? Die heb je snel berekend via de knop hieronder.

Bijkomende info


Gebouw
Is beschermd Nee
Perceel
Totale oppervlakte (m²) 812
Oriëntatie tuin Zuid
Uitrusting
Meerdere eigenaars Nee
Rioolaansluiting Nee
Gasaansluiting Nee
Wateraansluiting Nee
Elektriciteitsaansluiting Nee
TV aansluiting Nee
Internetaansluiting Nee

Een pand van


CENTURY 21 Pro Domo
Logo van makelaar: CENTURY 21 Pro Domo
Century 21 Pro Domo - Welkom thuis!
Wenst u te kopen of verkopen, kom gerust langs! Wij begeleiden u doorheen het volledige proces.
Logo van makelaar: CENTURY 21 Pro Domo
6058
Een mooi gelegen bouwgrond voor halfopen bebouwing (LOT 1) foto {{pictureIndex}}

Een mooi gelegen bouwgrond voor halfopen bebouwing (LOT 1)

€ 169.000

Rue De La Falize 93 - - 1480 Tubize

Bezoek het pand

Vul jouw contactgegevens hieronder in en de makelaar contacteert je.

Leer meer over vastgoed

23 March 2026
Op Spotto zoeken als een pro: 10 slimme tips
21 March 2026
Hoeveel kan ik lenen om een huis te kopen?
01 March 2026
Wanneer heb ik een bouwvergunning of omgevingsvergunning nodig?
17 February 2026
Hoe breng ik een bod uit op een woning?