Een mooi gelegen bouwgrond voor halfopen bebouwing (LOT 2)
€ 168.000
Een pand van CENTURY 21 Pro Domo
Overzicht
- 781 m² grond
- 1 Tuin
Beschrijving
Een mooi gelegen bouwgrond voor halfopen bebouwing gelegen in een rustige straat
(Rue de la Falize) in Tubize
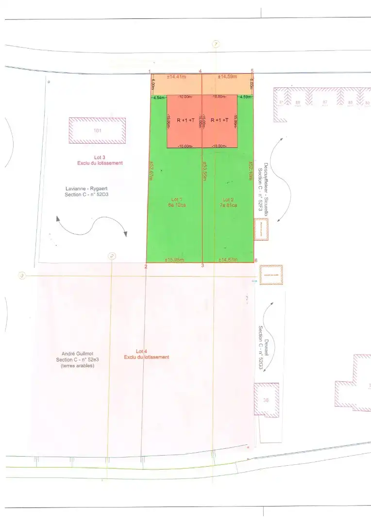
LOT 2:
Grond opp.: 7a 81ca
Straatbreedte: 14m 59cm
Type woning: 3-gevel (glvl. + verdieping + dak)
Bouwopp.: 10m x 15m (glvl.)
Voortuinstrook: 6,00m
Zuid oriëntatie tuin
Regenwaterput: verplicht (> 10.000l)
PRIJS: 168.000 EUR (excl. kosten)
(Rue de la Falize) in Tubize
LOT 2:
Grond opp.: 7a 81ca
Straatbreedte: 14m 59cm
Type woning: 3-gevel (glvl. + verdieping + dak)
Bouwopp.: 10m x 15m (glvl.)
Voortuinstrook: 6,00m
Zuid oriëntatie tuin
Regenwaterput: verplicht (> 10.000l)
PRIJS: 168.000 EUR (excl. kosten)
Energie
- Verwarming: Geen
- Beglazing: Onbekend
Op de kaart

Financieel
| Prijs | |
|---|---|
| Kadastraal inkomen (niet geïndexeerd) | € 0 |
| Kadastraal inkomen (geïndexeerd) | € 0 |
Berekening kosten
Je aankoopkosten? Die heb je snel berekend via de knop hieronder.
Bijkomende info
Gebouw
| Is beschermd | Nee |
|---|
Perceel
| Totale oppervlakte (m²) | 781 |
|---|---|
| Oriëntatie tuin | Zuid |
Uitrusting
| Meerdere eigenaars | Nee |
|---|---|
| Rioolaansluiting | Nee |
| Gasaansluiting | Nee |
| Wateraansluiting | Nee |
| Elektriciteitsaansluiting | Nee |
| TV aansluiting | Nee |
| Internetaansluiting | Nee |
Een pand van
CENTURY 21 Pro Domo
Century 21 Pro Domo - Welkom thuis!
Wenst u te kopen of verkopen, kom gerust langs! Wij begeleiden u doorheen het volledige proces.
6059
Leer meer over vastgoed
Nieuw
01 March 2026
Wanneer heb ik een bouwvergunning of omgevingsvergunning nodig?
17 February 2026
Hoe breng ik een bod uit op een woning?
24 November 2025
Uitgezocht voor jouw gemeente: Hoeveel stijgt de waarde van je woning door een renovatie?
22 October 2025