In optie
immo DAVID stelt voor: gesloten garagebox
€ 15.000
Een pand van immo DAVID
Favoriet
Jouw zoektocht
Jouw scoretabel voor dit pand
Aan het laden...
Jouw geplande bezichtigingen
Aan het laden...
Overzicht
Beschrijving
Investeer in uw eigen gesloten garagebox: een duurzame belegging voor uw eigen comfort of als (eerste) vastgoedinvestering.
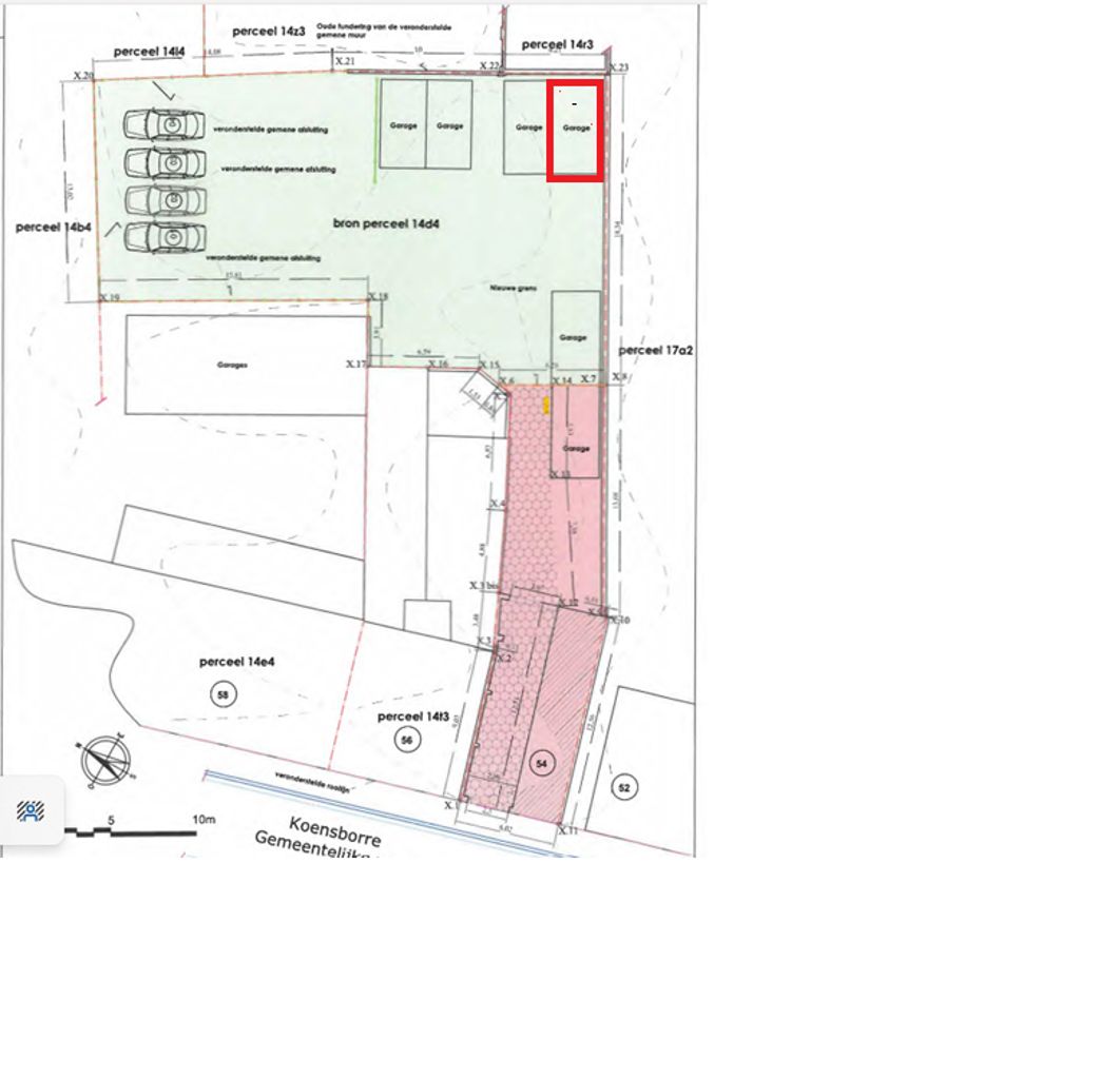
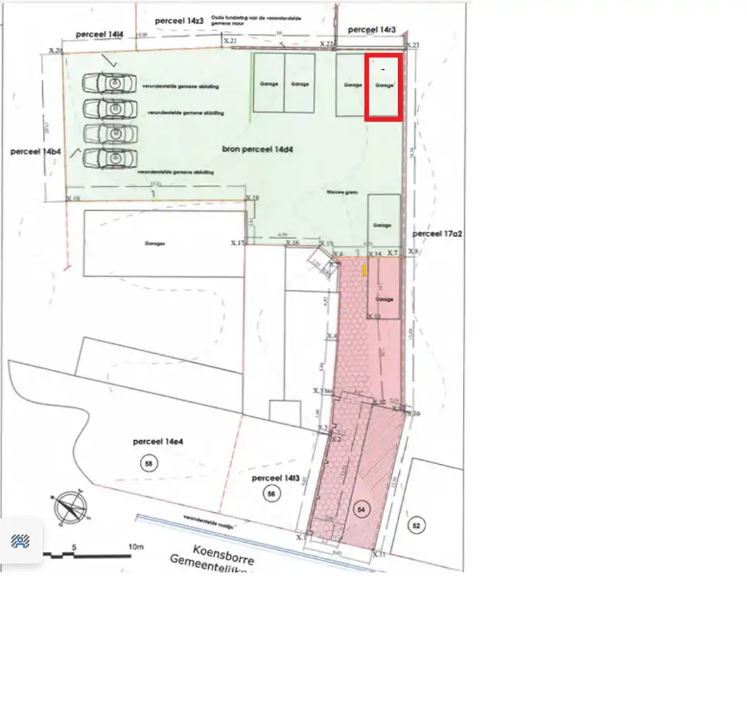
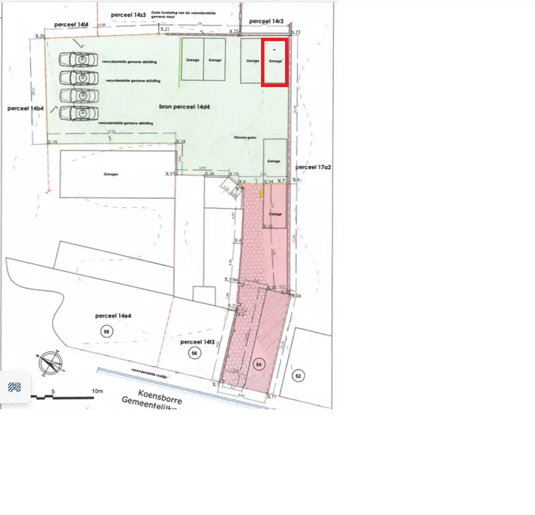
Bereikbaar via een doorgang (Koensborre n° 54) met gemeenschappelijke ingang via elektrische poort, waardoor Uw voertuig altijd veilig staat.
Zeer centraal gelegen in het centrum van Asse.
Aarzel niet om ons te contacteren.
Bereikbaar via een doorgang (Koensborre n° 54) met gemeenschappelijke ingang via elektrische poort, waardoor Uw voertuig altijd veilig staat.
Zeer centraal gelegen in het centrum van Asse.
Aarzel niet om ons te contacteren.
Energie
Op de kaart

Financieel
| Prijs |
|---|
Berekening kosten
Je aankoopkosten? Die heb je snel berekend via de knop hieronder.
Bijkomende info
Gebouw
| Bouwjaar | 1980 |
|---|
Faciliteiten
| Type vloer |
|---|
Perceel
| P-score | C |
|---|---|
| G-score | C |
| Tuin oppervlakte (m²) | 0 |
Vergunning
| Vergunning | Geen beschikbaar |
|---|---|
| Verkavelingsvergunning | Geen beschikbaar |
Uitrusting
| Parking | Nee |
|---|---|
| Garage | Ja |
| Tuin | Nee |
| Terras | Nee |
Een pand van
immo DAVID
Uw vastgoed makelaar in regio Groot Asse
Reeds 18 jaar is immo DAVID een vaste waarde in Groot Asse, het Pajottenland en de Brusselse rand. Dit resulteert o.a. in een klantenbestand van 11.886 actief zoekende kandidaat - kopers! Onze vertrouwde aanwezigheid binnen de lokale vastgoedmarkt gekoppeld aan jarenlange expertise garandeert u een succesvol vastgoedverhaal! Uw pand op zo kort mogelijke tijd aan de hoogst mogelijk waarde verkopen, daar zorgen wij voor!
Ons gedreven team bestaat uit erkende vastgoedmakelaars die streven naar 100% klantentevredenheid.
U wenst beroep te doen op onze dienstverlening? Contacteer ons gerust. Wij staan voor u klaar en helpen u met veel plezier verder!
6285462
Leer meer over vastgoed
23 March 2026
Op Spotto zoeken als een pro: 10 slimme tips
21 March 2026
Hoeveel kan ik lenen om een huis te kopen?
01 March 2026
Wanneer heb ik een bouwvergunning of omgevingsvergunning nodig?
17 February 2026