In optie
Onder OPTIE
€ 161.000
Een pand van Immo Van Middelem
Favoriet
Jouw zoektocht
Jouw scoretabel voor dit pand
Aan het laden...
Jouw geplande bezichtigingen
Aan het laden...
Overzicht
- 256 m² grond
Beschrijving
*** Onder OPTIE ***
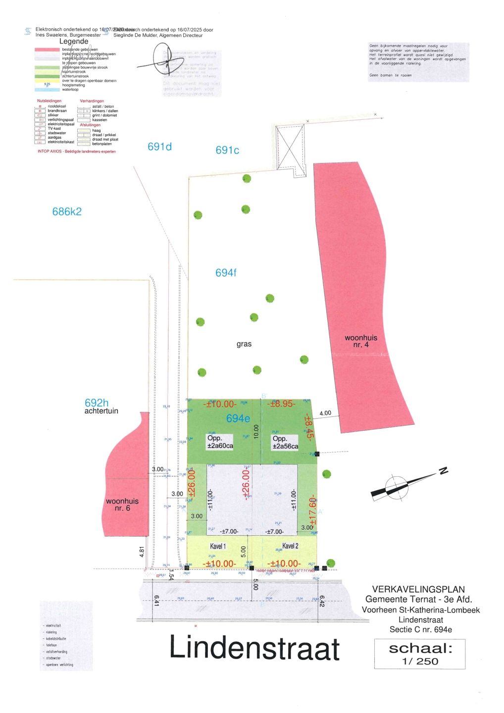
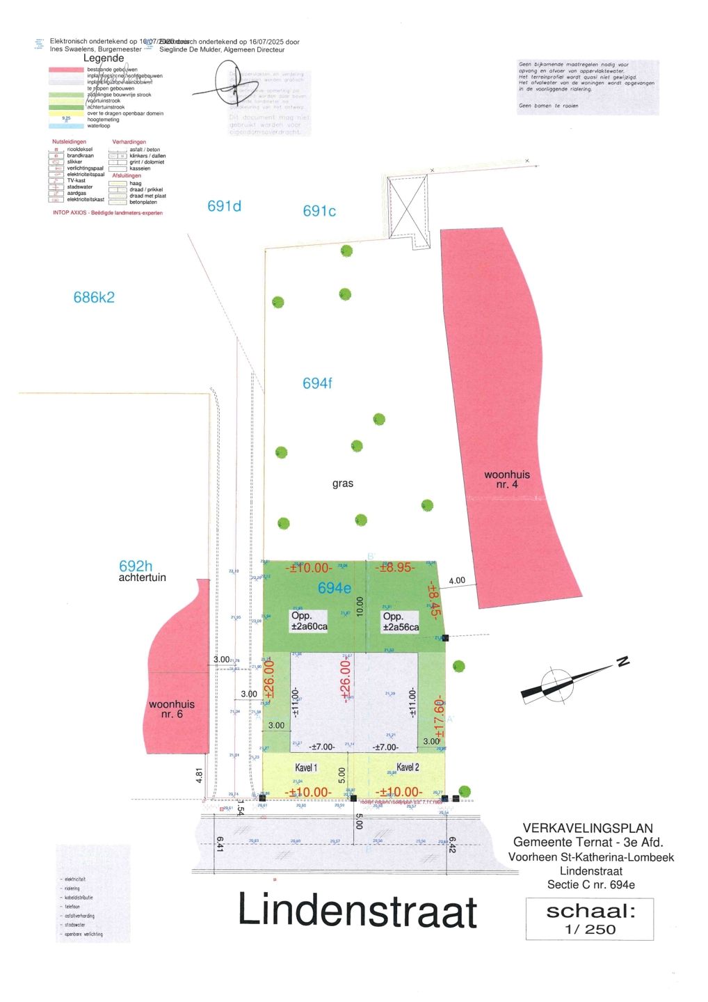
Immo Van Middelem verkoopt deze rustig en residentieel gelegen bouwgrond van +/-2a56ca geschikt voor het oprichten van een half-open bebouwing te St.-Katherina-Lombeek (Ternat).
Dankzij de west-georiënteerde tuin geniet u volop van de namiddagzon en avondzon op uw terras en tuin.
Een grote troef van deze ligging is de rustige woonomgeving op +/- 500m van het centrum van St-Katherina-Lombeek (Ternat) met alle nodige winkels, scholen, sportfaciliteiten en openbaar vervoer.
Het treinstation van Ternat ligt op +/- 1,5km en de oprit naar de E40 op +/- 2km.
De straatbreedte bedraagt 10m, de gevelbreedte max. 7m en de perceeldiepte ± 26m.
Deze grond maakt deel uit van een kleine verkaveling van 2 loten, met de volgende goedgekeurde bouwvoorschriften:
- deze bouwgrond is bedoeld voor een eengezinswoning met maximaal twee woonlagen + eventuele dak/zolderverdieping + eventuele onderkeldering (geen garage).
- de keuze van de dakvorm is vrij: hellend, plat of een combinatie ervan. De eerste bouwer bepaalt het gabarit.
- de bouwdiepte bedraagt maximaal 11 meter op het gelijkvloers en de verdieping.
De integrale verkavelingsvoorschriften en extra info kan u downloaden op onze website (www.immovanmiddelem.be).
Kosten voor opmaak PV per lot (545 €), voor de verkavelingsakte per lot (1.168 €) en kosten voor nutsvoorzieningen per lot (3.960 €) zullen ten laste van de koper zijn.
Het perceel wordt bouwrijp verkocht. Geen directe bouwverplichting. Vrij bij akte.
Immo Van Middelem verkoopt deze rustig en residentieel gelegen bouwgrond van +/-2a56ca geschikt voor het oprichten van een half-open bebouwing te St.-Katherina-Lombeek (Ternat).
Dankzij de west-georiënteerde tuin geniet u volop van de namiddagzon en avondzon op uw terras en tuin.
Een grote troef van deze ligging is de rustige woonomgeving op +/- 500m van het centrum van St-Katherina-Lombeek (Ternat) met alle nodige winkels, scholen, sportfaciliteiten en openbaar vervoer.
Het treinstation van Ternat ligt op +/- 1,5km en de oprit naar de E40 op +/- 2km.
De straatbreedte bedraagt 10m, de gevelbreedte max. 7m en de perceeldiepte ± 26m.
Deze grond maakt deel uit van een kleine verkaveling van 2 loten, met de volgende goedgekeurde bouwvoorschriften:
- deze bouwgrond is bedoeld voor een eengezinswoning met maximaal twee woonlagen + eventuele dak/zolderverdieping + eventuele onderkeldering (geen garage).
- de keuze van de dakvorm is vrij: hellend, plat of een combinatie ervan. De eerste bouwer bepaalt het gabarit.
- de bouwdiepte bedraagt maximaal 11 meter op het gelijkvloers en de verdieping.
De integrale verkavelingsvoorschriften en extra info kan u downloaden op onze website (www.immovanmiddelem.be).
Kosten voor opmaak PV per lot (545 €), voor de verkavelingsakte per lot (1.168 €) en kosten voor nutsvoorzieningen per lot (3.960 €) zullen ten laste van de koper zijn.
Het perceel wordt bouwrijp verkocht. Geen directe bouwverplichting. Vrij bij akte.
*** Onder OPTIE ***
Immo Van Middelem verkoopt deze rustig en residentieel gelegen bouwgrond van +/-2a56ca geschikt voor het oprichten van een half-open bebouwing te St.-Katherina-Lombeek (Ternat).
Dankzij de west-georiënteerde tuin geniet u volop van de namiddagzon en avondzon op uw terras en tuin.
Een grote troef van deze ligging is de rustige woonomgeving op +/- 500m van het centrum van St-Katherina-Lombeek (Ternat) met alle nodige winkels, scholen, sportfaciliteiten en openbaar vervoer.
Het treinstation van Ternat ligt op +/- 1,5km en de oprit naar de E40 op +/- 2km.
De straatbreedte bedraagt 10m, de gevelbreedte max. 7m en de perceeldiepte ± 26m.
Deze grond maakt deel uit van een kleine verkaveling van 2 loten, met de volgende goedgekeurde bouwvoorschriften:
- deze bouwgrond is bedoeld voor een eengezinswoning met maximaal twee woonlagen + eventuele dak/zolderverdieping + eventuele onderkeldering (geen garage).
- de keuze van de dakvorm is vrij: hellend, plat of een combinatie ervan. De eerste bouwer bepaalt het gabarit.
- de bouwdiepte bedraagt maximaal 11 meter op het gelijkvloers en de verdieping.
De integrale verkavelingsvoorschriften en extra info kan u downloaden op onze website (www.immovanmiddelem.be).
Kosten voor opmaak PV per lot (545 €), voor de verkavelingsakte per lot (1.168 €) en kosten voor nutsvoorzieningen per lot (3.960 €) zullen ten laste van de koper zijn.
Het perceel wordt bouwrijp verkocht. Geen directe bouwverplichting. Vrij bij akte.
Immo Van Middelem verkoopt deze rustig en residentieel gelegen bouwgrond van +/-2a56ca geschikt voor het oprichten van een half-open bebouwing te St.-Katherina-Lombeek (Ternat).
Dankzij de west-georiënteerde tuin geniet u volop van de namiddagzon en avondzon op uw terras en tuin.
Een grote troef van deze ligging is de rustige woonomgeving op +/- 500m van het centrum van St-Katherina-Lombeek (Ternat) met alle nodige winkels, scholen, sportfaciliteiten en openbaar vervoer.
Het treinstation van Ternat ligt op +/- 1,5km en de oprit naar de E40 op +/- 2km.
De straatbreedte bedraagt 10m, de gevelbreedte max. 7m en de perceeldiepte ± 26m.
Deze grond maakt deel uit van een kleine verkaveling van 2 loten, met de volgende goedgekeurde bouwvoorschriften:
- deze bouwgrond is bedoeld voor een eengezinswoning met maximaal twee woonlagen + eventuele dak/zolderverdieping + eventuele onderkeldering (geen garage).
- de keuze van de dakvorm is vrij: hellend, plat of een combinatie ervan. De eerste bouwer bepaalt het gabarit.
- de bouwdiepte bedraagt maximaal 11 meter op het gelijkvloers en de verdieping.
De integrale verkavelingsvoorschriften en extra info kan u downloaden op onze website (www.immovanmiddelem.be).
Kosten voor opmaak PV per lot (545 €), voor de verkavelingsakte per lot (1.168 €) en kosten voor nutsvoorzieningen per lot (3.960 €) zullen ten laste van de koper zijn.
Het perceel wordt bouwrijp verkocht. Geen directe bouwverplichting. Vrij bij akte.
Energie
Op de kaart

Financieel
| Prijs |
|---|
Berekening kosten
Je aankoopkosten? Die heb je snel berekend via de knop hieronder.
Bijkomende info
Perceel
| Diepte (m) | 26 |
|---|---|
| P-score | A |
| Voorkeurrecht | Nee |
| Totale oppervlakte (m²) | 256 |
Vergunning
| Vergunning | Geen beschikbaar |
|---|---|
| Verkavelingsvergunning | Vergunning beschikbaar |
| Bouwovertreding | Geen |
| Bouwovertreding dagvaardiging | Geen |
Uitrusting
| Gasaansluiting | Ja |
|---|---|
| Wateraansluiting | Ja |
| Elektriciteitsaansluiting | Ja |
| TV aansluiting | Ja |
| Telefoonaansluiting | Ja |
Een pand van
Immo Van Middelem
De Perfecte Klik !
Meer dan 35 jaar geleden ontstond Immo Van Middelem als vastgoedkantoor van Didier Van Middelem. Mettertijd namen Dirk en Annelies het kantoor over en gaven ze het een modernere look and feel.
Of u nu verkoper, koper, verhuurder of huurder bent, iedereen heeft zijn eigen verhaal en eigen verwachtingen. Elk project is uniek en verdient daarom een unieke aanpak. We gaan altijd voor de perfecte klik met uw unieke verhaal.
We communiceren steeds eerlijk en open vanaf het eerste contact. Onze projecten worden steeds op de meest correcte manier behandeld, of u nu het eerste of het tiende contact van de dag bent.
7146643
Leer meer over vastgoed
23 March 2026
Op Spotto zoeken als een pro: 10 slimme tips
21 March 2026
Hoeveel kan ik lenen om een huis te kopen?
01 March 2026
Wanneer heb ik een bouwvergunning of omgevingsvergunning nodig?
17 February 2026