Nieuw
Bouwgrond 1.145 m² in groene, kindvriendelijke buurt
Een pand van Walls Vastgoedmakelaars
Overzicht
- 1145 m² grond
Beschrijving
Gunstig gelegen bouwgrond van 1.145 m² nabij het centrum van Zwijndrecht, met tal van mogelijkheden
Op zoek naar de perfecte locatie voor uw volgende project?
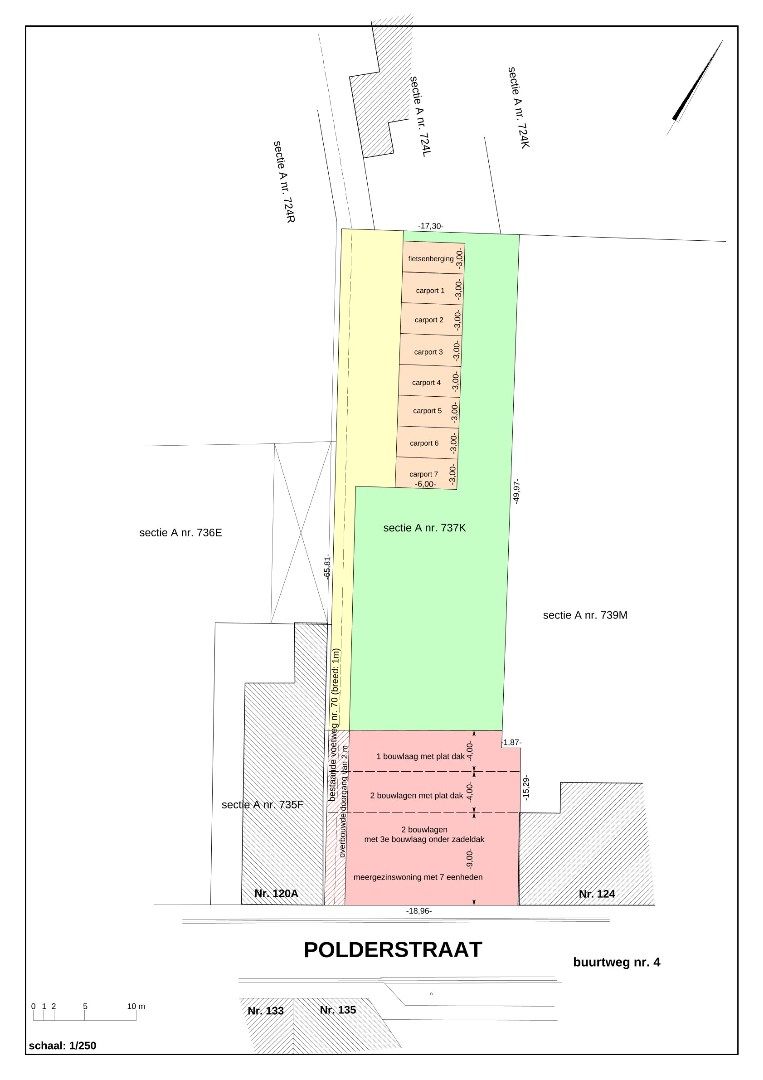
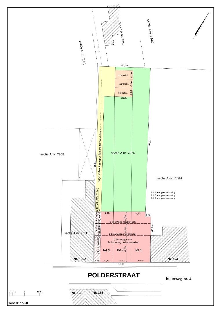
Te koop in de Polderstraat (rechts naast nummer 120A): een ruim perceel van ca. 19 meter breed en 66 meter diep, goed voor een totale oppervlakte van 1.145 m². Deze bouwgrond biedt tal van mogelijkheden, waaronder de realisatie van drie gesloten bebouwingen, op slechts een steenworp van het bruisende centrum van Zwijndrecht.
De Polderstraat is een aangename, residentiële straat met veel groen en een rustige sfeer, terwijl winkels, scholen en openbaar vervoer steeds binnen handbereik liggen.
Er zijn twee opmetingsplannen uitgewerkt door een landmeter-expert en voorgelegd aan de bevoegde diensten. Dit geldt echter niet als goedkeuring van de ontwerpen. Zie opmetingsplannen.
Grijp deze unieke kans snel, zo’n perceel in deze ligging komt zelden op de markt!
P-score C - Stedenbouw: in aanvraag.
Wil je meer weten? Bel ons op 03 233 33 00 of surf naar walls.be
Op zoek naar de perfecte locatie voor uw volgende project?
Te koop in de Polderstraat (rechts naast nummer 120A): een ruim perceel van ca. 19 meter breed en 66 meter diep, goed voor een totale oppervlakte van 1.145 m². Deze bouwgrond biedt tal van mogelijkheden, waaronder de realisatie van drie gesloten bebouwingen, op slechts een steenworp van het bruisende centrum van Zwijndrecht.
De Polderstraat is een aangename, residentiële straat met veel groen en een rustige sfeer, terwijl winkels, scholen en openbaar vervoer steeds binnen handbereik liggen.
Er zijn twee opmetingsplannen uitgewerkt door een landmeter-expert en voorgelegd aan de bevoegde diensten. Dit geldt echter niet als goedkeuring van de ontwerpen. Zie opmetingsplannen.
Grijp deze unieke kans snel, zo’n perceel in deze ligging komt zelden op de markt!
P-score C - Stedenbouw: in aanvraag.
Wil je meer weten? Bel ons op 03 233 33 00 of surf naar walls.be
Energie
- Verwarming: Geen
- Beglazing: Onbekend
Op de kaart

Financieel
Prijs | |
---|---|
Kadastraal inkomen (niet geïndexeerd) | € 9 |
Bijkomende info
Gebouw
Is beschermd | Nee |
---|
Perceel
Overstromingsgevoelig | Geen |
---|---|
P-score | C |
Totale oppervlakte (m²) | 1145 |
Uitrusting
Meerdere eigenaars | Nee |
---|---|
Rioolaansluiting | Nee |
Gasaansluiting | Nee |
Wateraansluiting | Nee |
Elektriciteitsaansluiting | Nee |
TV aansluiting | Nee |
Internetaansluiting | Nee |
Een pand van
Walls Vastgoedmakelaars
Al meer dan 20 jaar actief in Antwerpen!
Onze opvallende roze pijl is het bewijs dat Walls Vastgoedmakelaars één van de sterkste & meest vertrouwde spelers op de markt is.
Ons team bestaat uit gedreven specialisten met veel ervaring in de verschillende segmenten van de vastgoedmarkt. Bovendien is iedereen gespecialiseerd in zijn/haar eigen regio en vakgebied. We breiden constant onze kennis uit zodat wij jou steeds de beste service kunnen bieden. We focussen ons op 4 pijlers: wonen, ondernemen, investeren en beheren. Dat maakt Walls Vastgoedmakelaars uniek én opvallend, net zoals onze panden. Tot snel!
25TK1528
Leer meer over vastgoed
11 June 2025
Huis kopen met bouwovertreding? Dit moet je weten
11 May 2025
Renoveren? Vraag je Mijn VerbouwPremie aan
22 April 2025
Je allereerste renovatieproject selecteren én budgetteren: met de praktische hulp van Spotto
17 February 2025