Villagrond in groene 'SINT LUCAS 'wijk in Ekeren DONK op 700 m²
€ 385.000
Een pand van Sinjoor Makelaars
Overzicht
- 706 m² grond
Beschrijving
Villagrond in groene 'SINT LUCAS 'wijk in Ekeren DONK op 700 m²
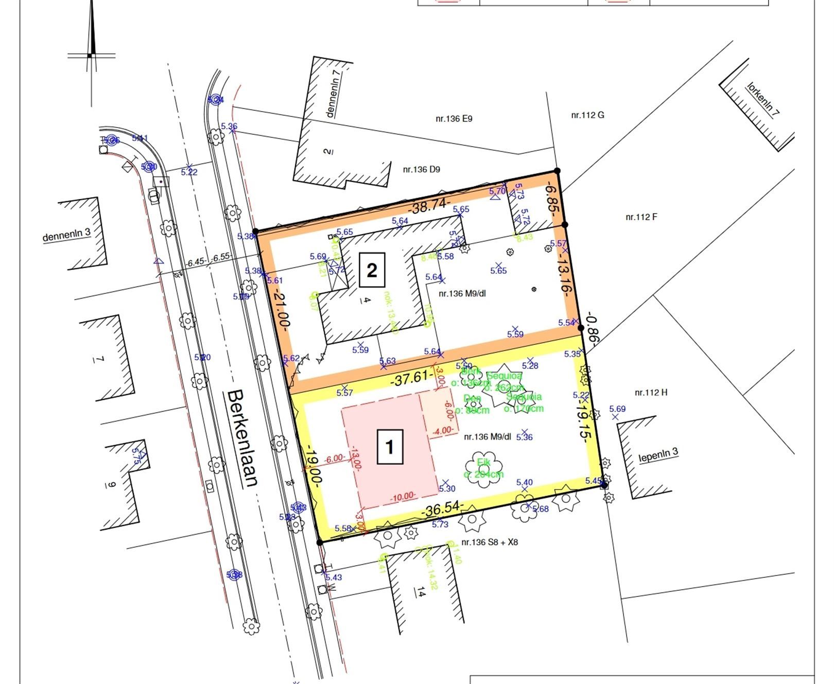
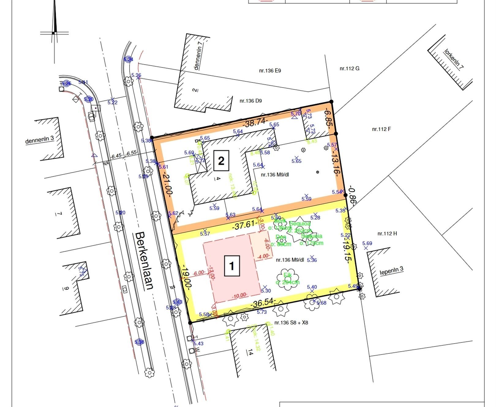
Een breed perceel (19 x 37 m) in een rustige, groene wijk bij Sint Michiels college. Op wandelafstand van scholen, winkels, park en openbaar vervoer, met een vlotte verbinding naar de E19, Ring en Havenweg.
Bouwvoorschriften:
Bouwzone max 13m breed x 10m diep
1 of 2 bouwlagen onder hellend dak
Kelder toegelaten
Inpandige garage
Geen constructies in de zijtuinstrook
Interesse? Contacteer ons op 03 646 66 55 of info@sinjoor.be
Energie
- E-peil: E20
- Beglazing: Onbekend
Op de kaart

Financieel
| Prijs | |
|---|---|
| Kadastraal inkomen (niet geïndexeerd) | € 0 |
| Kadastraal inkomen (geïndexeerd) | € 0 |
Berekening kosten
Je aankoopkosten? Die heb je snel berekent via de knop hieronder.
Bijkomende info
Gebouw
| Bouwcertificaat | Nee |
|---|
Perceel
| Diepte (m) | 37 |
|---|---|
| Breedte (m) | 19 |
| Overstromingsgevoelig | Geen |
| P-score | A |
| Voorkeurrecht | Nee |
| Totale oppervlakte (m²) | 706 |
Vergunning
| Vergunning | Geen beschikbaar |
|---|---|
| Verkavelingsvergunning | Vergunning beschikbaar |
Uitrusting
| Investeringspand | Nee |
|---|---|
| Rioolaansluiting | Nee |
| Gasaansluiting | Nee |
| Wateraansluiting | Ja |
| Elektriciteitsaansluiting | Ja |
| TV aansluiting | Ja |
| Internetaansluiting | Ja |
| Telefoonaansluiting | Ja |
Een pand van
Sinjoor Makelaars
Sinjoor Makelaars
SINJOOR Makelaars zorgen sinds 1985 voor top professionele begeleiding en coaching bij uw vastgoed transacties. U kiest uw persoonlijke makelaar in 4 kantoren met 18 gespecialiseerde medewerkers.
BERKENLAAN 6 EKEREN
Leer meer over vastgoed
24 November 2025
Uitgezocht voor jouw gemeente: Hoeveel stijgt de waarde van je woning door een renovatie?
22 October 2025
Hoeveel kan ik lenen om een huis te kopen?
11 June 2025
Huis kopen met bouwovertreding? Dit moet je weten
11 May 2025