Nieuwbouw charmevilla in groene 'SINT LUCAS' wijk in Ekeren DONK
€ 1.037.500
Een pand van Sinjoor Makelaars
Overzicht
- 290 m² bewoonbaar
- 706 m² grond
- 4 Slaapkamer(s)
- 2 Badkamer(s)
- 2 Toilet(ten)
- 1 Tuin
- 2 Garage(s)
Beschrijving
Nieuwbouw charmevilla in groene 'SINT LUCAS 'wijk in Ekeren DONK op 700 m²
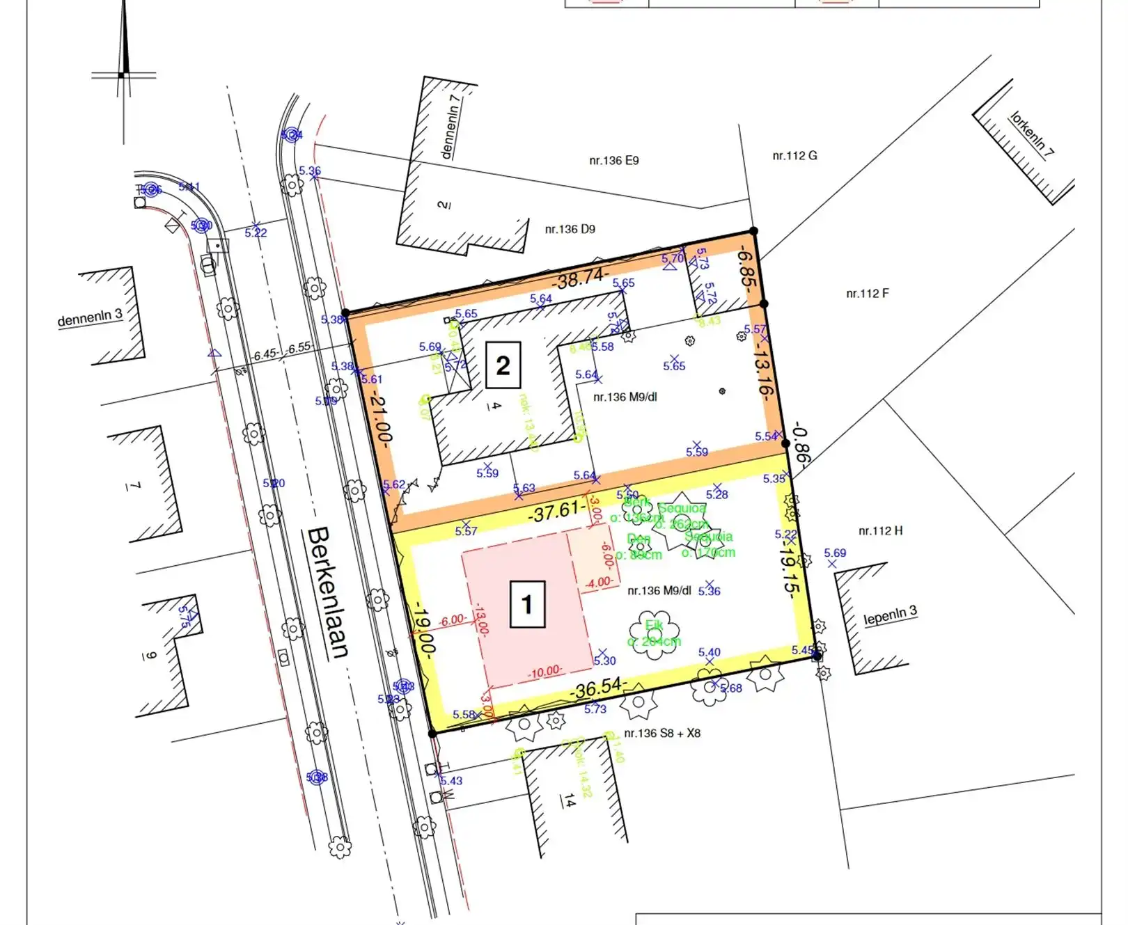
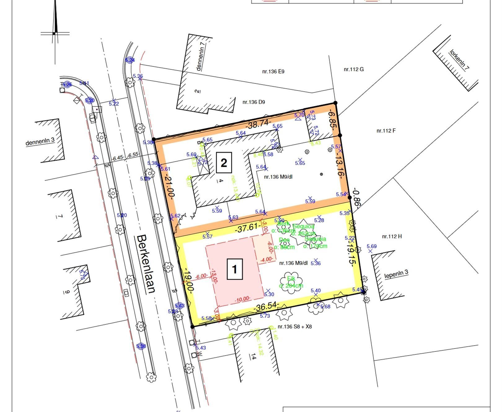
Op een breed perceel (19 x 37 m) in een rustige, groene wijk bij Sint Michiels college verrijst deze stijlvolle nieuwbouwvilla. Je woont hier op wandelafstand van scholen, winkels, park en openbaar vervoer, met een vlotte verbinding naar de E19, Ring en Havenweg.
Indeling (voorbeeld):
- Gelijkvloers (ca. 120 m²): inkomhal met vestiaire en gastentoilet, ingerichte leefkeuken (33 m²) met kookeiland en toegang tot een overdekt terras met berging, bijkeuken en salon van 25 m².
- 1ste verdieping (ca. 113 m²): masterbedroom (24 m²) met badkamer ensuite en dressingruimte, 2 ruime kinderkamers (12,6 m²), 2de badkamer en bureau/slaapkamer.
- Dakverdieping (ca. 57 m²): bereikbaar via vaste trap, nog vrij in te richten met o.a. extra slaapkamer, badkamer of hobbyruimte.
Extra troeven:
- Bijna-Energie-Neutraal (BEN 20)
- Vloerverwarming
- Ruim terras en zonnige tuin
Een moderne charmevilla met veel ruimte en flexibiliteit, gelegen in een groene, residentiële wijk vlak bij alle voorzieningen.
Interesse? Contacteer ons op 03 646 66 55 of info@sinjoor.be
Energie
- E-peil: E20
- Beglazing: Standaard dubbel
Op de kaart

Financieel
| Prijs | |
|---|---|
| Kadastraal inkomen (niet geïndexeerd) | € 0 |
| Kadastraal inkomen (geïndexeerd) | € 0 |
Berekening kosten
Je aankoopkosten? Die heb je snel berekent via de knop hieronder.
Bijkomende info
Gebouw
| Bouwjaar | 2026 |
|---|---|
| Staat | Nieuw |
| Bouwcertificaat | Nee |
| Bewoonbaar (m²) | 290 |
| Verdieping | 0 |
| Gevelbreedte | 14 |
| Badkamers | 2 |
| Slaapkamers | 4 |
| Verdiepingen | 3 |
| Garages | 2 |
| Parkeerplaatsen | 2 |
| Doucheruimtes | 0 |
| Toiletten | 2 |
Faciliteiten
| Materiaal ramenomlijstingen | PVC |
|---|---|
| Beglazing | Standaard dubbel |
| Elektrisch keuringsattest | Ja |
Perceel
| Diepte (m) | 37 |
|---|---|
| Breedte (m) | 19 |
| Overstromingsgevoelig | Geen |
| P-score | A |
| Voorkeurrecht | Nee |
| Totale oppervlakte (m²) | 706 |
| Bebouwde oppervlakte (m²) | 114 |
| Tuin oppervlakte (m²) | 0 |
| Oppervlakte terras (m²) | 10 |
| Oriëntatie tuin | Noordoost |
Vergunning
| Vergunning | Geen beschikbaar |
|---|---|
| Verkavelingsvergunning | Vergunning beschikbaar |
Uitrusting
| Investeringspand | Nee |
|---|---|
| Geschikt voor praktijk | Nee |
| Parking | Ja |
| Garage | Ja |
| Thuiskantoor | Nee |
| Kelder | Nee |
| Zolder | Nee |
| Tuin | Ja |
| Terras | Ja |
| Lift | Nee |
| Rioolaansluiting | Nee |
| Gasaansluiting | Nee |
| Wateraansluiting | Ja |
| Elektriciteitsaansluiting | Ja |
| TV aansluiting | Ja |
| Internetaansluiting | Ja |
| Telefoonaansluiting | Ja |
Een pand van
Sinjoor Makelaars
Sinjoor Makelaars
SINJOOR Makelaars zorgen sinds 1985 voor top professionele begeleiding en coaching bij uw vastgoed transacties. U kiest uw persoonlijke makelaar in 4 kantoren met 18 gespecialiseerde medewerkers.
BERKENLAAN 6 EKEREN
Leer meer over vastgoed
Nieuw
24 November 2025
Uitgezocht voor jouw gemeente: Hoeveel stijgt de waarde van je woning door een renovatie?
22 October 2025
Hoeveel kan ik lenen om een huis te kopen?
11 June 2025
Huis kopen met bouwovertreding? Dit moet je weten
11 May 2025