Bouwgrond voor open bebouwing nabij centrum Heist-op-den-Berg
Een pand van Gorris Vastgoed
Jouw zoektocht
Overzicht
- 774 m² grond
Beschrijving
Deze bouwgrond van 774 m² is gelegen op een gunstige en vlot bereikbare locatie in Heist-op-den-Berg, op korte afstand van het centrum. Dankzij de nabijheid van openbaar vervoer (bus en trein) en de snelle verbindingswegen richting Lier, Aarschot en Mechelen, geniet dit perceel van een uitstekende bereikbaarheid.
Het perceel combineert een centrale ligging met de nabijheid van groen, wat het bijzonder geschikt maakt voor wie centraal en rustig wil wonen, zonder in te boeten aan bereikbaarheid en voorzieningen.
De grond is bestemd voor open bebouwing en beschikt over mooie, regelmatige perceelafmetingen, wat bouwmogelijkheden biedt voor het realiseren van een kwalitatieve eengezinswoning met tuin.
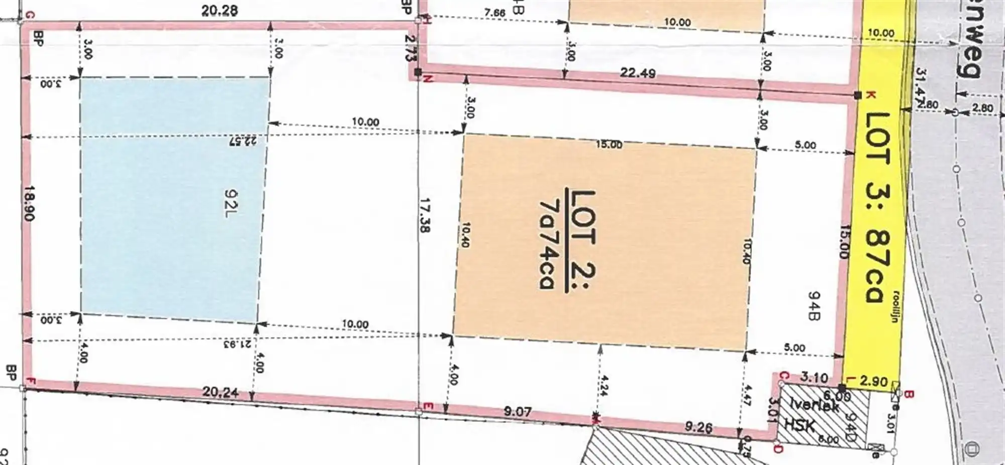
Perceel- en bouwgegevens:
- Oppervlakte: 774 m²
- Perceelbreedte: 15 m (17,87 m gemeten vanaf de bouwlijn)
- Perceeldiepte: 42,57 m
- Toegelaten bouwbreedte: 10,20 m
- Toegelaten bouwdiepte: 15 m
Deze bouwgrond vormt een solide investering en biedt u de mogelijkheid om uw woning volledig naar eigen wensen te realiseren, op een locatie met blijvende meerwaarde.
Wenst u bijkomende informatie of een afspraak op kantoor om het volledige dossier te bespreken?
Neem dan gerust contact met ons op.
T. 015 24 29 24 - M. info@gorrisvastgoed.be
Energie
- E-peil: E0
- Beglazing: Onbekend
Op de kaart

Financieel
| Prijs | |
|---|---|
| Kadastraal inkomen (niet geïndexeerd) | € 0 |
| Kadastraal inkomen (geïndexeerd) | € 0 |
Berekening kosten
Je aankoopkosten? Die heb je snel berekend via de knop hieronder.
Bijkomende info
Gebouw
| Bouwcertificaat | Nee |
|---|
Perceel
| Overstromingsgevoelig | Geen |
|---|---|
| P-score | C |
| Voorkeurrecht | Ja |
| Totale oppervlakte (m²) | 774 |
Vergunning
| Vergunning | Geen beschikbaar |
|---|---|
| Verkavelingsvergunning | Vergunning beschikbaar |
Uitrusting
| Investeringspand | Nee |
|---|---|
| Rioolaansluiting | Ja |
| Gasaansluiting | Ja |
| Wateraansluiting | Ja |
| Elektriciteitsaansluiting | Ja |
| TV aansluiting | Ja |
| Internetaansluiting | Ja |
| Telefoonaansluiting | Nee |