In optie
Zonnig perceel bouwgrond van 615 m², centraal gelegen in Wezel !
€ 139.000
Een pand van Verlinden Vastgoed
Favoriet
Jouw zoektocht
Jouw scoretabel voor dit pand
Aan het laden...
Jouw geplande bezichtigingen
Aan het laden...
Overzicht
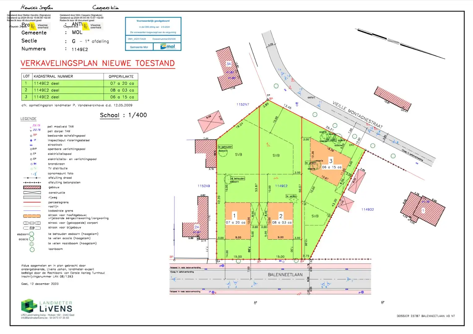
- 615 m² grond
Beschrijving
Deze bouwgrond van 615 m² is ideaal gelegen in Wezel, met een vlotte verbinding naar omliggende gemeenten. De locatie combineert rust met bereikbaarheid, perfect voor wie op zoek is naar een aangename woonomgeving.
Het perceel beschikt over een straatbreedte van 25,21meter en een diepte van 50,07meter, en is bestemd voor open bebouwing. De toekomstige woning mag een maximale gevelbreedte van 16,29 meter hebben en een bouwdiepte van maximaal 12 meter.
Bouwvoorschriften:
- Gelijkvloers: maximaal 25,21 m breed en 12 m diep
- Vrije keuze van dakvorm
- Mogelijkheid tot het plaatsen van een tuinhuis van 12 m²
- Toegankelijke via 2 straten
- Inpandige garage verplicht
* De render is visueel om een idee te geven voor een potentiële koper.
Het perceel beschikt over een straatbreedte van 25,21meter en een diepte van 50,07meter, en is bestemd voor open bebouwing. De toekomstige woning mag een maximale gevelbreedte van 16,29 meter hebben en een bouwdiepte van maximaal 12 meter.
Bouwvoorschriften:
- Gelijkvloers: maximaal 25,21 m breed en 12 m diep
- Vrije keuze van dakvorm
- Mogelijkheid tot het plaatsen van een tuinhuis van 12 m²
- Toegankelijke via 2 straten
- Inpandige garage verplicht
* De render is visueel om een idee te geven voor een potentiële koper.
Energie
- Verwarming: Geen
- Beglazing: Onbekend
Op de kaart

Financieel
| Prijs | |
|---|---|
| Kadastraal inkomen (niet geïndexeerd) | € 0 |
| Kadastraal inkomen (geïndexeerd) | € 0 |
Berekening kosten
Je aankoopkosten? Die heb je snel berekend via de knop hieronder.
Bijkomende info
Gebouw
| Is beschermd | Nee |
|---|
Perceel
| Overstromingsgevoelig | Geen |
|---|---|
| P-score | A |
| Voorkeurrecht | Nee |
| Totale oppervlakte (m²) | 615 |
| Oriëntatie tuin | ZuidOost |
Vergunning
| Vergunning | Vergunning beschikbaar |
|---|---|
| Verkavelingsvergunning | Vergunning beschikbaar |
| Bouwovertreding dagvaardiging | Geen |
| Type gebied | Stedelijk |
Uitrusting
| Meerdere eigenaars | Nee |
|---|---|
| Rioolaansluiting | Ja |
| Gasaansluiting | Nee |
| Wateraansluiting | Ja |
| Elektriciteitsaansluiting | Ja |
| TV aansluiting | Nee |
| Internetaansluiting | Nee |
Een pand van
Verlinden Vastgoed
Verlinden Vastgoed, een partner die weet van aanpakken!
Verlinden Vastgoed is jouw vastgoedkantoor dat de kneepjes van het vak door en door kent. Onze kantoren zijn gevestigd in het centrum van Mol, het centrum van Geel en Onze-Lieve-Vrouw Olen, maar wij richten onze radar ook op de omliggende gemeentes.
Jarenlange ervaring, een doorgedreven kennis van de markt, een up-to-date klantenbestand om u tegen te zeggen en de nodige diploma's. Troeven die we stuk voor stuk op zak hebben. Maar écht het verschil maken? Dat doen we met onze Kempische nuchterheid: een eerlijke, persoonlijke aanpak.
TK2025-856
Leer meer over vastgoed
23 March 2026
Op Spotto zoeken als een pro: 10 slimme tips
21 March 2026
Hoeveel kan ik lenen om een huis te kopen?
01 March 2026
Wanneer heb ik een bouwvergunning of omgevingsvergunning nodig?
17 February 2026