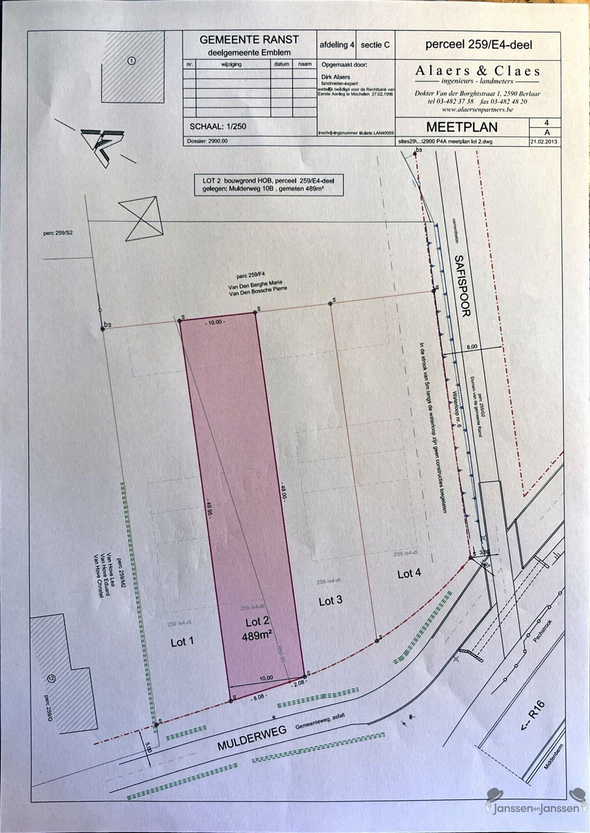
Bouwgrond - HOB - perceel 489 m²
€ 199.000
Een pand van Janssen en Janssen
Overzicht
- 489 m² grond
Overstromingsgevaar perceel
Beschrijving
BOUWGROND - HOB - PERCEEL 489 m²
Breedte perceel: 10m
Diepte perceel: 49 m
Bouwdiepte HOB: 17m
Bouwbreedte HOB: 7m
Kroonlijsthoogte: 6m
Nokhoogte: 10.5m
Minimale hellingsgraad dak: 45°
Zijdelingse perceelsgrens: 3m
Voorste perceelsgrens: 12m
Bijgebouwen minimum 10m achter achtergevel, max 10% of 48.9m²
Hebt u graag meer info over een mogelijk ruwbouwwinddichte woning of sleutel op de deur, dan kunnen wij u hier ook zeker meer info over geven, zodat uw droomwoning kan gerealiseerd worden. Wenst u liever zelf uw eigen woning te realiseren dan is dit uiteraard ook mogelijk. U beslist met wie en vanaf wanneer u samenwerkt.
Aarzel niet om ons te contacteren: Nicki, 0496 02 35 68, nf@janssenenjanssen.be
Energie
- E-peil: E0
- Beglazing: Onbekend
Op de kaart

Financieel
Prijs | |
---|---|
Kadastraal inkomen (niet geïndexeerd) | € 0 |
Kadastraal inkomen (geïndexeerd) | € 0 |
Berekening kosten
Je aankoopkosten? Die heb je snel berekent via de knop hieronder.
Bijkomende info
Gebouw
Bouwcertificaat | Nee |
---|
Perceel
Overstromingsgevoelig | Geen |
---|---|
P-score | D |
Voorkeurrecht | Nee |
Totale oppervlakte (m²) | 489 |
Uitrusting
Investeringspand | Nee |
---|---|
Rioolaansluiting | Nee |
Gasaansluiting | Nee |
Wateraansluiting | Nee |
Elektriciteitsaansluiting | Nee |
TV aansluiting | Nee |
Internetaansluiting | Nee |
Telefoonaansluiting | Nee |