Renovatie opportuniteit in het centrum van Duisburg
€ 350.000
Een pand van Ifac Service
Jouw zoektocht
Overzicht
- 3 Slaapkamer(s)
- 1 Badkamer(s)
- 2 Toilet(ten)
- 1 Tuin
- 1 Garage(s)
Beschrijving
Renovatie opportuniteit van een 3-gevelwoning nabij het centrum van Duisburg.
Gelijkvloers: ruime inkomhal (+/- 19m²) met vaste trap naar het verdiep, +/- 31m² woonkamer, ingerichte keuken (kookplaat, koelkast, oven en vaatwasser)(+/- 6,5m²), eetkamer (+/- 10,5m²) en veranda met toilet (+/- 12m²).
1ste verdieping: nachthal (+/- 14m²), 3 slaapkamers van +/- 9,7m², 9,8m², en 17,5m², badkamer (+/-5,8m²) met voorgelegen dressing (+/- 6m²), luik met trektrap richting de zolderruimte (+/-55m²).
Kelder +/- 15m² en garage van +/- 19m²
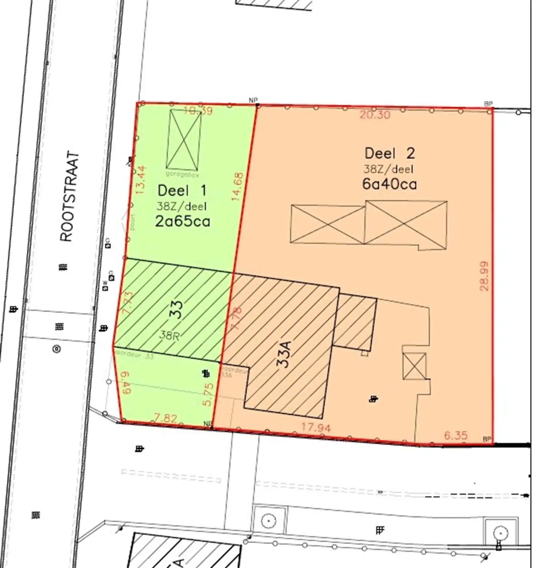
Overige informatie: geen renovatieverplichting - EPC D - bewoonbare oppervlakte (volgens EPC) 226m² - P- en G-score: A - niet-conforme elektrische installatie - perceelgrootte 640m²
Strategisch gelegen op wandelafstand van het centrum, nabij openbaar vervoer, belangrijke invalswegen en de centra van Vossem en Tervuren.
Het aandeel in de opmetings/afpalingskosten van het perceel zijn ten laste van de koper en bedragen €500.
Bijkomende opportuniteit om de naastgelegen woning aan te kopen en een ruime tweewoonst te realiseren.
Energie
![]() |
- EPC Certificaat: 3775691-RES-1
- Energieverbruik: 365 kWh/m²/jaar
- E-peil: E0
- Beglazing: Onbekend
Extra budget nodig voor je renovatie?

Op de kaart

Financieel
| Prijs | |
|---|---|
| Kadastraal inkomen (niet geïndexeerd) | € 920 |
| Kadastraal inkomen (geïndexeerd) | € 2.065 |
Berekening kosten
Je aankoopkosten? Die heb je snel berekend via de knop hieronder.
Bijkomende info
Gebouw
| Bouwjaar | 1960 |
|---|---|
| Bouwcertificaat | Nee |
| Verdieping | 0 |
| Badkamers | 1 |
| Slaapkamers | 3 |
| Verdiepingen | 3 |
| Garages | 1 |
| Parkeerplaatsen | 4 |
| Doucheruimtes | 0 |
| Toiletten | 2 |
Faciliteiten
| Elektrisch keuringsattest | Nee |
|---|
Perceel
| Overstromingsgevoelig | Geen |
|---|---|
| P-score | A |
| G-score | A |
| Voorkeurrecht | Ja |
| Bebouwde oppervlakte (m²) | 0 |
| Tuin oppervlakte (m²) | 0 |
| Oppervlakte terras (m²) | 0 |
| Oriëntatie tuin | Zuid |
Vergunning
| Vergunning | Vergunning beschikbaar |
|---|---|
| Verkavelingsvergunning | Geen beschikbaar |
Uitrusting
| Investeringspand | Nee |
|---|---|
| Geschikt voor praktijk | Nee |
| Parking | Ja |
| Garage | Ja |
| Thuiskantoor | Nee |
| Kelder | Ja |
| Zolder | Ja |
| Tuin | Ja |
| Terras | Ja |
| Lift | Nee |
| Rioolaansluiting | Nee |
| Gasaansluiting | Nee |
| Wateraansluiting | Nee |
| Elektriciteitsaansluiting | Nee |
| TV aansluiting | Nee |
| Internetaansluiting | Nee |
| Telefoonaansluiting | Nee |


