Investeringsopportuniteit van 2 halfopen bebouwingen
€ 625.000
Een pand van Ifac Service
Jouw zoektocht
Overzicht
- 905 m² grond
- 6 Slaapkamer(s)
- 2 Badkamer(s)
- 4 Toilet(ten)
- 1 Tuin
- 2 Garage(s)
Beschrijving
Polyvalent geheel van 2 bestaande woningen in halfopen verband te koop nabij het centrum van Duisburg.
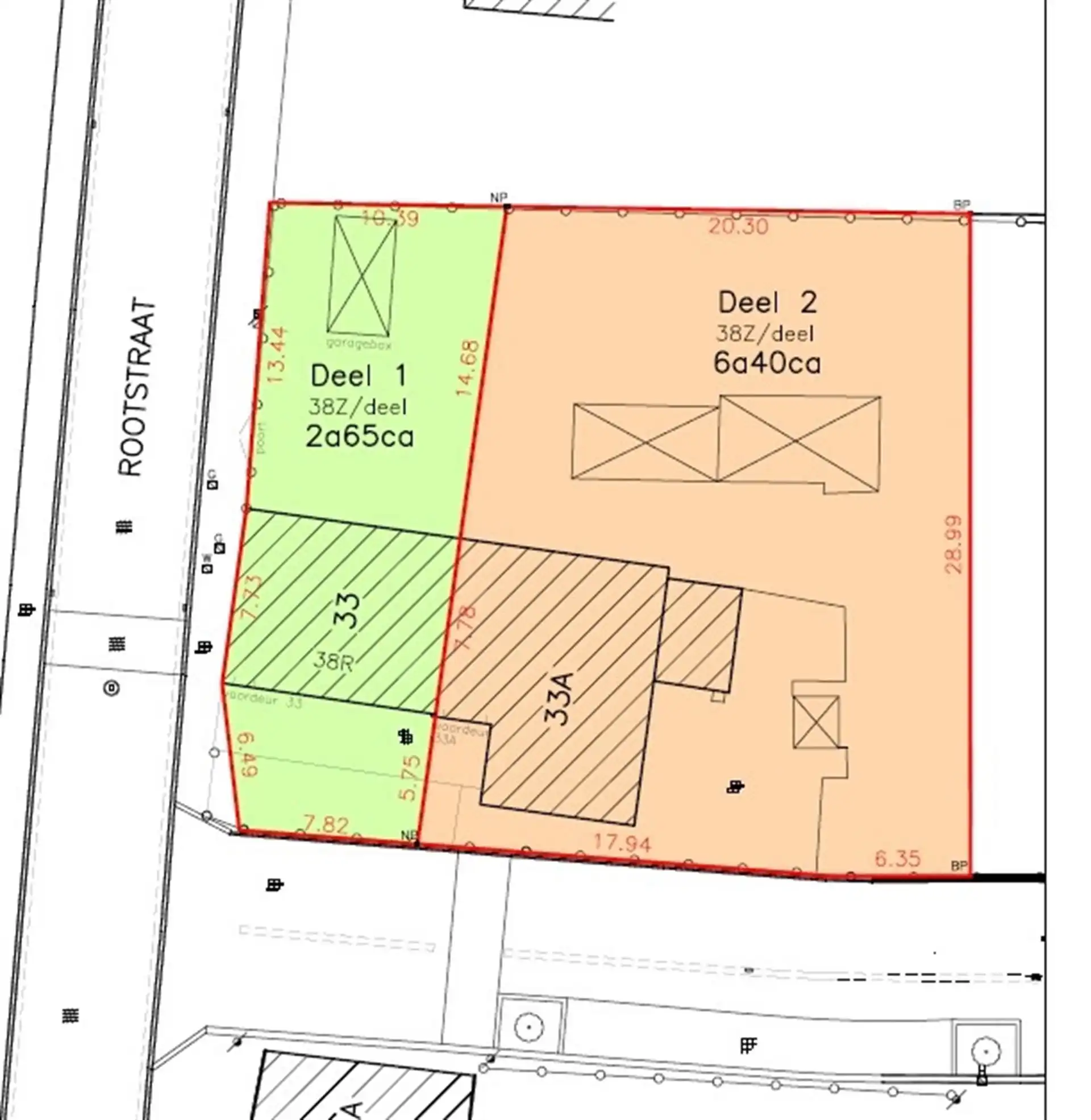
Het betreft 2 bestaande te renoveren woningen in halfopen bebouwing met verschillende ontwikkelingsmogelijkheden. Na verder overleg met de gemeente zijn er vele mogelijkheden om bij voorbeeld 2 ruime eengezinswoningen, woonst met praktijk, handelsruimte en woonst, … op te richten op een zeer gunstige locatie nabij het centrum van Duisburg.
Woning 1 (nr 33):
Gelijkvloers: +/- 36m² woonkamer met 2 gaskachels, ingerichte keuken (kookplaat, koelkast, oven en vaatwasser)(+/- 13m²), hal met trap naar de verdieping.
1ste verdieping: nachthal, 2 slaapkamers van +/- 11m² en een slaapkamer van +/- 13m² waarvan 1 met ensuite badkamer (douche in bad met 1 wastafel en toilet) (+/-8m²), bergingsruimte (+/11m²) met toegang tot de zolder (+/-10m²).
Kelder +/- 20m² en garagebox van +/- 15m²
Extra informatie: niet asbestveilig, conforme elektrische installatie, EPC F = renovatieverplichting
Woning 2 (nr 33A):
Gelijkvloers: ruime inkomhal (+/- 19m²) met vaste trap naar het verdiep, +/- 31m² woonkamer, ingerichte keuken (kookplaat, koelkast, oven en vaatwasser)(+/- 6,5m²), eetkamer (+/- 10,5m²) en veranda met toilet (+/- 12m²).
1ste verdieping: nachthal (+/- 14m²), 3 slaapkamers van +/- 9,7m², 9,8m², en 17,5m², badkamer (+/-5,8m²) met voorgelegen dressing (+/- 6m²), luik met trektrap richting de zolderruimte (+/-55m²).
Kelder +/- 15m² en garage van +/- 19m²
Extra informatie: niet asbestveilig, niet-conforme elektrische installatie, EPC D = geen renovatieverplichting
Strategisch gelegen op wandelafstand van het centrum, nabij openbaar vervoer, belangrijke invalswegen en de centra van Vossem en Tervuren.
Het aandeel in de opmetings/afpalingskosten van het perceel zijn ten laste van de koper en bedragen €500 per pand.
Na verder overleg met de gemeente bieden deze panden u vele ontwikkelingsmogelijkheden!
Energie
![]() |
- EPC Certificaat: 3775691-RES-1
- Energieverbruik: 365 kWh/m²/jaar
- E-peil: E0
- Beglazing: Standaard dubbel
Op de kaart

Downloads
- attest stookolietank.pdf
- asbestattest - 2026-02-09T091150.551.pdf
- SI Rootstraat 33.pdf
- Ovam 33.pdf
- Gas cert Rootstraat.pdf
- EPC Nr 33.pdf
- EK GDPR.pdf
- asbestattest Rootstraat 33, 3080 Tervuren.pdf
- Verkoopplan-Rootstraat-33-33A.pdf
- Kad legger en plan Rootstraat 33+33a GDPR.pdf
- SI Rootstraat 33a.pdf
- Ovam 33a.pdf
- EPC Nr 33a.pdf
- EK Nr 33a.pdf
Financieel
| Prijs | |
|---|---|
| Kadastraal inkomen (niet geïndexeerd) | € 1.472 |
| Kadastraal inkomen (geïndexeerd) | € 3.304 |
Berekening kosten
Je aankoopkosten? Die heb je snel berekend via de knop hieronder.
Bijkomende info
Gebouw
| Bouwcertificaat | Nee |
|---|---|
| Verdieping | 0 |
| Badkamers | 2 |
| Slaapkamers | 6 |
| Verdiepingen | 0 |
| Garages | 2 |
| Parkeerplaatsen | 0 |
| Doucheruimtes | 0 |
| Toiletten | 4 |
Faciliteiten
| Keuken uitrusting | Standaard |
|---|---|
| Beglazing | Standaard dubbel |
| Elektrisch keuringsattest | Nee |
Perceel
| Overstromingsgevoelig | Geen |
|---|---|
| P-score | A |
| G-score | A |
| Voorkeurrecht | Ja |
| Totale oppervlakte (m²) | 905 |
| Bebouwde oppervlakte (m²) | 0 |
| Tuin oppervlakte (m²) | 0 |
| Oppervlakte terras (m²) | 0 |
| Oriëntatie tuin | Zuid |
Vergunning
| Vergunning | Vergunning beschikbaar |
|---|---|
| Verkavelingsvergunning | Vergunning beschikbaar |
Uitrusting
| Investeringspand | Ja |
|---|---|
| Geschikt voor praktijk | Nee |
| Parking | Nee |
| Garage | Ja |
| Thuiskantoor | Nee |
| Kelder | Ja |
| Zolder | Ja |
| Tuin | Ja |
| Terras | Ja |
| Lift | Nee |
| Rioolaansluiting | Nee |
| Gasaansluiting | Nee |
| Wateraansluiting | Nee |
| Elektriciteitsaansluiting | Nee |
| TV aansluiting | Nee |
| Internetaansluiting | Nee |
| Telefoonaansluiting | Nee |
Appartementsblok
| Lift | Nee |
|---|
