€ 198.000
Een pand van Dekrem Vastgoed & Landmeten
Favoriet
Jouw zoektocht
Jouw scoretabel voor dit pand
Aan het laden...
Jouw geplande bezichtigingen
Aan het laden...
Overzicht
- 780 m² grond
- 1 Tuin
Overstromingsgevaar perceel
Beschrijving
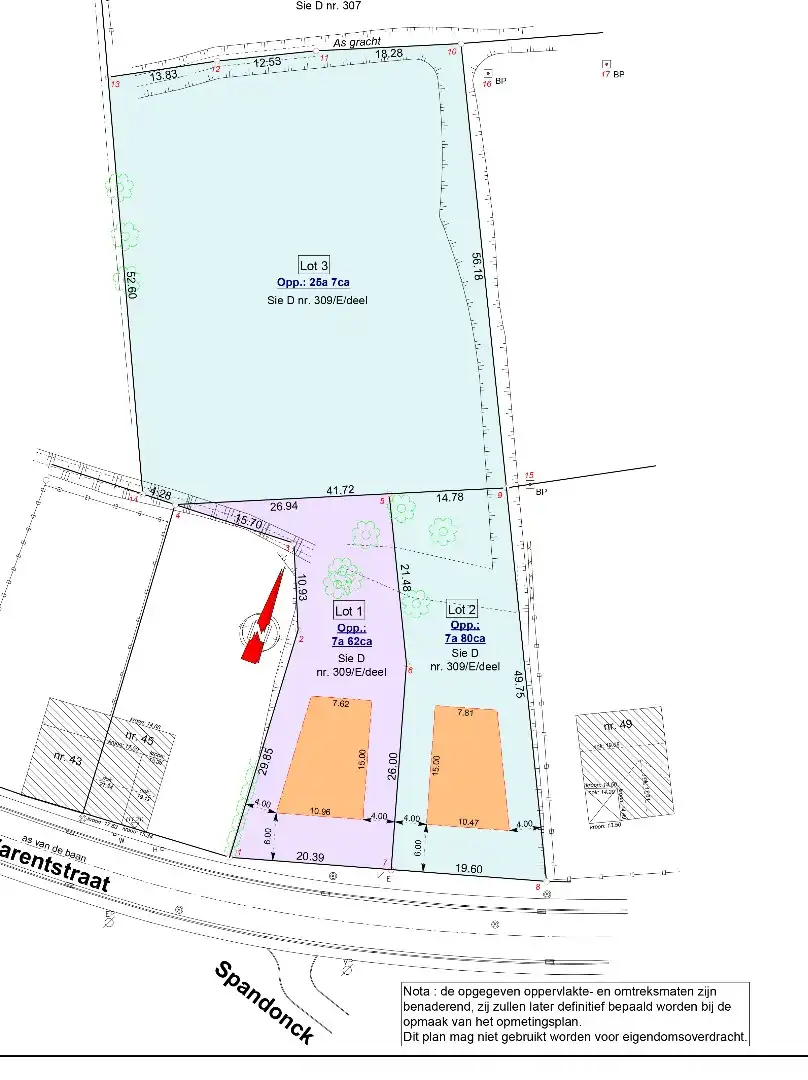
Perceel bouwgrond voor open bebouwing met een oppervlakte van ± 7a 80ca. Perceelbreedte: 19,60m. Bouwbreedte: ± 10,47m. Lot 2 uit een goedgekeurde verkaveling (OMV_2022072764). Oriëntatie: noordnoordwest. Gvg, Wg, Gmo, Vkr, Vv. P-score: D. Achterliggend perceel van ± 25a 07ca kan eventueel bijgekocht worden (Gvg, Lwag, Gmo, Vkr, Gvv - P-score: D).
SAMENVATTING STEDENBOUWKUNDIGE VOORSCHRIFTEN :
Zie downloads voor de voorschriften.
DIVERSEN :
Gas aanwezig in voorliggende straat.
Een definitief opmetingsplan zal nog worden opgemaakt door Dekrem Vastgoed & Landmeten. De kosten van de opmeting zijn ten laste van de koper alsook het aandeel in de kosten voor het opmaken van de verkavelingsakte. Het achterliggende perceel (lot 3) werd uit de verkaveling gesloten. De opmetingskosten hiervan zijn ten laste van de koper.
STEDENBOUWKUNDIG :
Stedenbouwkundige vergunning : nee
Stedenbouwkundige bestemming : woongebied
Geen rechterlijke herstelmaatregel of bestuurlijke maatregel opgelegd.
Voorkooprecht : ja (de Vlaamse Waterweg)
Verkavelingsvergunning : ja
P-score: D
SAMENVATTING STEDENBOUWKUNDIGE VOORSCHRIFTEN :
Zie downloads voor de voorschriften.
DIVERSEN :
Gas aanwezig in voorliggende straat.
Een definitief opmetingsplan zal nog worden opgemaakt door Dekrem Vastgoed & Landmeten. De kosten van de opmeting zijn ten laste van de koper alsook het aandeel in de kosten voor het opmaken van de verkavelingsakte. Het achterliggende perceel (lot 3) werd uit de verkaveling gesloten. De opmetingskosten hiervan zijn ten laste van de koper.
STEDENBOUWKUNDIG :
Stedenbouwkundige vergunning : nee
Stedenbouwkundige bestemming : woongebied
Geen rechterlijke herstelmaatregel of bestuurlijke maatregel opgelegd.
Voorkooprecht : ja (de Vlaamse Waterweg)
Verkavelingsvergunning : ja
P-score: D
Energie
- Verwarming: Geen
- Beglazing: Onbekend
Op de kaart

Downloads
- ontwerpplan.pdf (PDF)
- stedenbouwkundige voorschriften.pdf (PDF)
- Overstromingsrapport.pdf (PDF)
- kadastraal plan.pdf (PDF)
- gewestplan.png (PNG)
- bodemattest.pdf (PDF)
Financieel
| Prijs | |
|---|---|
| Kadastraal inkomen (niet geïndexeerd) | € 0 |
| Kadastraal inkomen (geïndexeerd) | € 0 |
Berekening kosten
Je aankoopkosten? Die heb je snel berekend via de knop hieronder.
Bijkomende info
Gebouw
| Is beschermd | Nee |
|---|
Perceel
| P-score | D |
|---|---|
| Voorkeurrecht | Ja |
| Totale oppervlakte (m²) | 780 |
| Oriëntatie tuin | Noordwest |
Vergunning
| Vergunning | Geen beschikbaar |
|---|---|
| Verkavelingsvergunning | Vergunning beschikbaar |
| Bouwovertreding dagvaardiging | Geen |
| Type gebied | Stedelijk |
Uitrusting
| Meerdere eigenaars | Nee |
|---|---|
| Rioolaansluiting | Nee |
| Gasaansluiting | Nee |
| Wateraansluiting | Nee |
| Elektriciteitsaansluiting | Nee |
| TV aansluiting | Nee |
| Internetaansluiting | Nee |
Een pand van
Dekrem Vastgoed & Landmeten
Dekrem Vastgoed & Landmeten
Sinds 1977 staat Wilfried Dekrem, medebestuurder, beëdigd landmeter-expert en erkend vastgoedmakelaar met zijn team voor je klaar.
Talrijke referenties vanuit de ganse vastgoedsector duiden op een professioneel, welbekend en betrouwbaar kantoor. In het residentiële segment hebben wij naast woningen ook een ruim aanbod aan bouwgronden in onze portefeuille.
De professionele aanpak, gebaseerd op een grondige kennis op juridisch, stedenbouwkundig en bouwtechnisch vlak, wordt al jarenlang door ons cliënteel gewaardeerd. Om jouw vragen zo snel en efficiënt mogelijk te beantwoorden zijn we 6 op 7 dagen bereikbaar!
6046
Leer meer over vastgoed
Nieuw
24 April 2026
Duurzaam gelegen woning? Check je Mobiscore
23 March 2026
Op Spotto zoeken als een pro: 10 slimme tips
21 March 2026
Hoeveel kan ik lenen om een huis te kopen?
01 March 2026