Ruime bouwgrond op een gunstige locatie!
€ 219.000
Een pand van Immo Liv'it
Jouw zoektocht
Overzicht
- 275.13 m² bewoonbaar
- 986 m² grond
Beschrijving
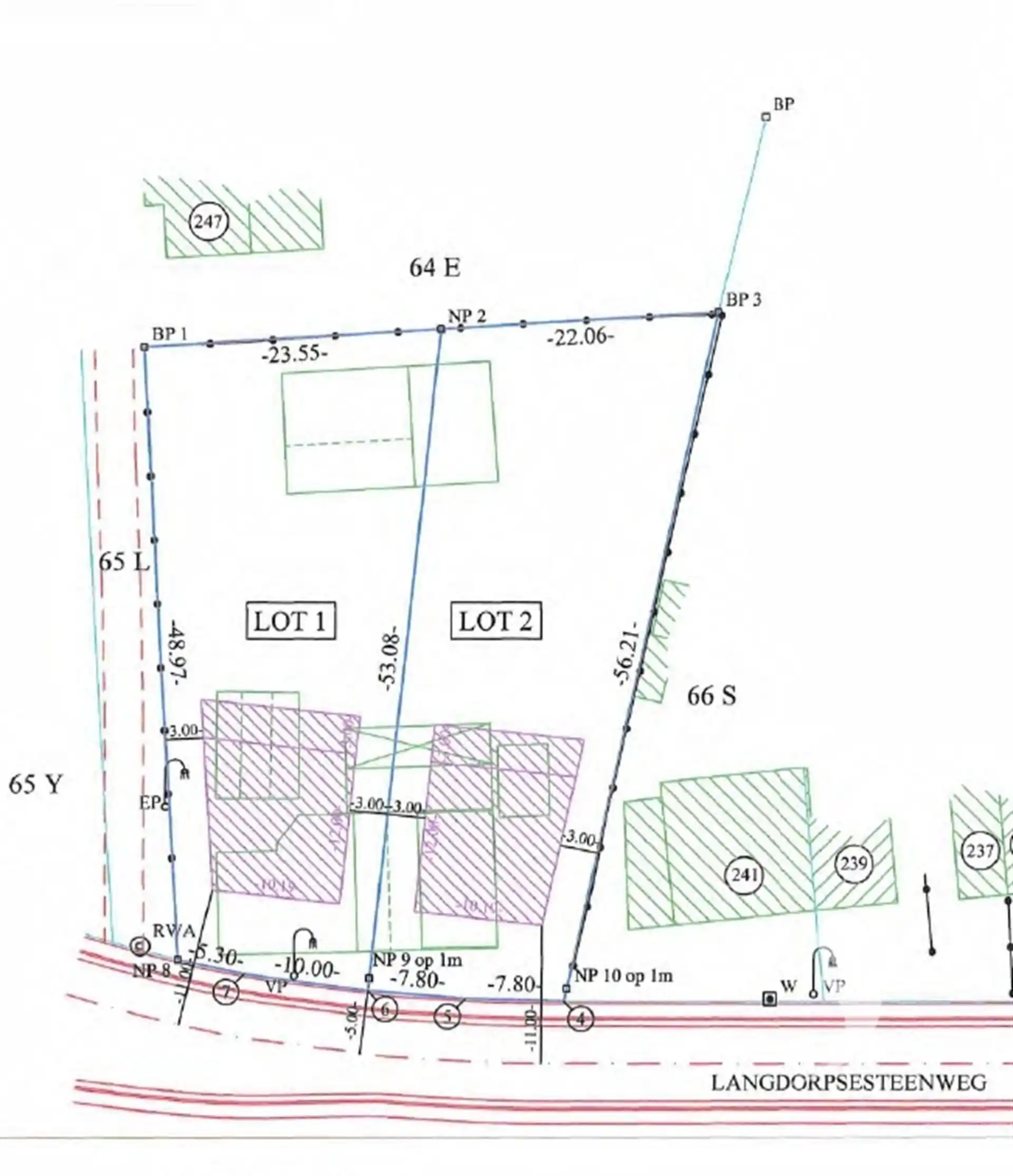
Deze knappe bouwgrond biedt veel mogelijkheden dankzij de ruime oppervlakte van maar liefst 9A 86CA.
(Afgebeeld lot 1 op het plannetje)
De bouwgrond is voorzien voor het realiseren een open bebouwing, waarbij de gevel tot wel 10m 19cm meter breed mag zijn.
De bouwdiepte op het gelijkvloers bedraagt maar liefst 15m, op de 1e verdieping 12m.
Dit maakt dat u een zeer ruime gezinswoning kan realiseren van 275m² bewoonbare oppervlakte!
Een bijgebouw is enkel toegestaan in de achtertuin.
Het bijgebouw heeft een max. dakoppervlakte van 40m².
Tevens mag er achter de woning nog een terras aangelegd worden van max. 30m2. Deze verharding dient te worden voorzien in waterdoorlatende materialen tenzij deze kunnen afwateren in een groenzone langs de verharding op het eigen terrein.
In de tuin of op uw terras kan de hele dag genieten van het zonnetje daar de tuin zuid georiënteerd is.
En de locatie, die is top!
Centrum Langdorp & Aarschot, winkels, scholen, bakker, treinstation... evenals de verbindingswegen die u dagdagelijks moet gebruiken zijn bereikbaar binnen maximum 5min.
Is deze knappe bouwgrond iets voor u? Zie je jezelf hier al wonen? Neem contact op voor meer info via info@immolivit.be of 016 15 31 15.
Energie
- E-peil: E0
- Beglazing: Onbekend
Op de kaart

Financieel
| Prijs | |
|---|---|
| Kadastraal inkomen (niet geïndexeerd) | € 0 |
| Kadastraal inkomen (geïndexeerd) | € 0 |
Berekening kosten
Je aankoopkosten? Die heb je snel berekend via de knop hieronder.
Bijkomende info
Gebouw
| Bouwcertificaat | Nee |
|---|
Perceel
| Overstromingsgevoelig | Geen |
|---|---|
| P-score | B |
| Voorkeurrecht | Nee |
| Totale oppervlakte (m²) | 986 |
| Oriëntatie tuin | Zuid |
Vergunning
| Verkavelingsvergunning | Vergunning beschikbaar |
|---|
Uitrusting
| Investeringspand | Nee |
|---|---|
| Rioolaansluiting | Nee |
| Gasaansluiting | Nee |
| Wateraansluiting | Nee |
| Elektriciteitsaansluiting | Nee |
| TV aansluiting | Nee |
| Internetaansluiting | Nee |
| Telefoonaansluiting | Nee |