Bgr 10 a 91 ca voor open bebouwing, grenzend aan agrarisch gebied
€ 168.000
Een pand van Lissens
Overzicht
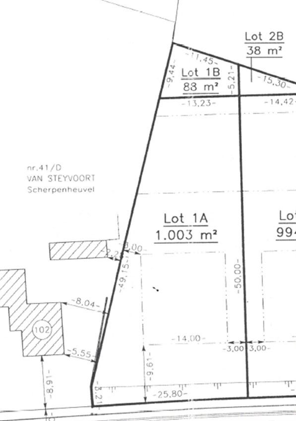
- 1091 m² grond
Beschrijving
Perceel bouwgrond van 10 a 91 ca voor een eengezinswoning in open verband, grenzend aan agrarisch gebied, gelegen op 5 minuten van de oprit van de E314. Met basisscholen en commercieel centrum van Scherpenheuvel nabij.
Samenvatting bouwvoorschriften (volledige voorschriften zijn te raadplegen in de verkavelingsvergunning en het RUP Wonen (art 5, Wonen buiten de kern) onder "documenten":
- Hoofdgebouw
De op te richten woning telt maximaal 2 woonlagen, inplanting zoals aangeven op het verkavelingsplan. De voorgevel kan tot 14 m breed zijn, de maximale bouwdiepte op het gelijkvloers bedraagt volgens de verkavelingsvergunning 15m, doch volgens het recente RUP Wonen is 17m mogelijk en op de verdieping 12 m.
Meer dan 15 jaar oude verkavelingen zijn geen weigeringsgrond meer bij het beoordelen van een vergunningsaanvraag (artikel 4.3.1 §1 VCRO). Dan toetst het CBS aan het onderliggende bestemmingsplan.
Kroonlijsthoogte max. 4,5 m, helling dakvlakken tussen 25-45°, max. 1/4 van bebouwde oppervlakte kan voorzien worden van plat dak.
Alle zichtbare gevels dienen opgetrokken te worden in gevelsteen.
Voor de toegang tot een ondergrondse garage aan de voorzijde is een reliëfwijziging over een beperkte breedte van het perceel toegelaten, voor het overige dient het natuurlijk terreinniveau behouden te blijven.
- Bijgebouw
max. oppervlakte 21 m², enkel dienstig als tuinberging, max. kroonlijsthoogte 2,5 m, inplanting op min.22 m en max. 25 m van de bouwlijn van het hoofdgebouw en op min. 2 m van de perceelsgrens, in dezelfde materialen als het hoofdgebouw of in niet herbruikt hout.
Energie
- E-peil: E0
- Beglazing: Onbekend
Op de kaart

Downloads
- bodemattest 33S.pdf
- bodemattest 33T.pdf
- ConformiteitsAttesten-O2025-1034422-30_10_2025.pdf
- ConformiteitsAttesten-O2025-1034815-30_10_2025.pdf
- Gewestinfo-O2025-1034418-30_10_2025.pdf
- Gewestinfo-O2025-1034811-30_10_2025.pdf
- Herstelvorderingen-O2025-1034423-30_10_2025.pdf
- Herstelvorderingen-O2025-1034816-30_10_2025.pdf
- OngeschiktOnbewoonbaar-O2025-1034428-30_10_2025.pdf
- OngeschiktOnbewoonbaar-O2025-1034820-30_10_2025.pdf
- OnroerendErfgoed-O2025-1034420-30_10_2025.pdf
- OnroerendErfgoed-O2025-1034814-30_10_2025.pdf
- Overstromingsgevaar-O2025-1034421-30_10_2025.pdf
- RechtVanVoorkoop-O2025-1034419-30_10_2025.pdf
- RechtVanVoorkoop-O2025-1034812-30_10_2025.pdf
- Verkavelingsvergunning Lobbensestraat.pdf
- VIP-00646044.pdf
- VIP-00646045.pdf
- Regelgeving_ontbossing.pdf
- Overstromingsgevaar-O2025-1034845-30_10_2025.pdf
- RUP Wonen - artikel 5 WONEN BUITEN DE KERN.pdf
Financieel
| Prijs | |
|---|---|
| Kadastraal inkomen (niet geïndexeerd) | € 4 |
| Kadastraal inkomen (geïndexeerd) | € 0 |
Berekening kosten
Je aankoopkosten? Die heb je snel berekent via de knop hieronder.
Bijkomende info
Gebouw
| Bouwcertificaat | Nee |
|---|
Perceel
| Overstromingsgevoelig | Geen |
|---|---|
| P-score | A |
| Voorkeurrecht | Nee |
| Totale oppervlakte (m²) | 1091 |
Vergunning
| Vergunning | Geen beschikbaar |
|---|---|
| Verkavelingsvergunning | Vergunning beschikbaar |
Uitrusting
| Investeringspand | Nee |
|---|---|
| Rioolaansluiting | Nee |
| Gasaansluiting | Nee |
| Wateraansluiting | Nee |
| Elektriciteitsaansluiting | Nee |
| TV aansluiting | Nee |
| Internetaansluiting | Nee |
| Telefoonaansluiting | Nee |