Bouwgrond voor open bebouwing op toplocatie
€ 165.000
Een pand van Lissens
Jouw zoektocht
Overzicht
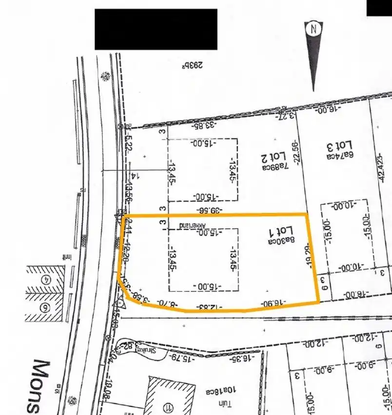
- 830 m² grond
Beschrijving
Deze westgerichte bouwgrond van 8a30ca bevindt zich op een strategisch gelegen hoekperceel in het charmante en groene Testelt. Dit biedt niet alleen extra visibiliteit en uitstraling, maar ook mogelijkheden voor een unieke architecturale invulling met een open bebouwing. Met een maximale bouwdiepte van 15 meter op het gelijkvloers en 12 meter op de verdieping, biedt dit perceel ruimte voor een ruime gezinswoning met voldoende leef- en werkruimte. De dakhelling tussen 25° en 45° biedt opties voor diverse dakstijlen. De mogelijkheid om een bijgebouw tot 25m² te realiseren op de koppeling met het linker perceel maakt dit terrein ideaal voor extra opslagruimte, een garage of een hobbyruimte. Gelegen in een groene en gezinsvriendelijke omgeving, vlak bij scholen, winkels en natuurgebieden, combineert deze locatie rust, recreatie en een uitstekende bereikbaarheid. Uitgebreide bouwvoorschriften te vinden in bijlage.
Energie
- E-peil: E0
- Beglazing: Onbekend
Op de kaart

Downloads
- Herstelvorderingen-O2024-0983253-6_11_2024.pdf
- OngeschiktOnbewoonbaar-O2024-0983254-6_11_2024.pdf
- OnroerendErfgoed-O2024-0983250-6_11_2024.pdf
- Plan grond.pdf
- RechtVanVoorkoop-O2024-0983249-6_11_2024.pdf
- ConformiteitsAttesten-O2024-0983252-6_11_2024.pdf
- export-cadgis (1).pdf
- Gewestinfo-O2024-0983248-6_11_2024.pdf
- Overstromingsgevaar-O2024-0983395-6_11_2024.pdf
- bodemattest ABA_24105D029400R000_20240989636.pdf
- T-48-2004 bijlage 1 en 2.pdf
- T-48-2004 plan_Geredigeerd.pdf
Financieel
| Prijs | |
|---|---|
| Kadastraal inkomen (niet geïndexeerd) | € 0 |
| Kadastraal inkomen (geïndexeerd) | € 0 |
Berekening kosten
Je aankoopkosten? Die heb je snel berekend via de knop hieronder.
Bijkomende info
Gebouw
| Bouwcertificaat | Nee |
|---|
Perceel
| Overstromingsgevoelig | Geen |
|---|---|
| P-score | A |
| Voorkeurrecht | Nee |
| Totale oppervlakte (m²) | 830 |
| Oriëntatie tuin | West |
Vergunning
| Vergunning | Geen beschikbaar |
|---|---|
| Verkavelingsvergunning | Vergunning beschikbaar |
Uitrusting
| Investeringspand | Nee |
|---|---|
| Rioolaansluiting | Nee |
| Gasaansluiting | Nee |
| Wateraansluiting | Nee |
| Elektriciteitsaansluiting | Nee |
| TV aansluiting | Nee |
| Internetaansluiting | Nee |
| Telefoonaansluiting | Nee |