Halfopen bouwgrond op 4a 50ca in Wommersom!
€ 87.500
Een pand van Empresa Consult
Jouw zoektocht
Overzicht
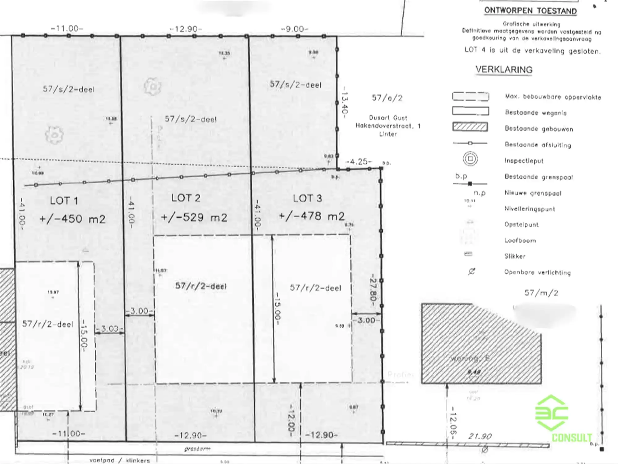
- 450 m² grond
Beschrijving
Dit perceel bouwgrond voor een halfopen bebouwing is gelegen in Wommersom (Linter). Het perceel heeft de ideale locatie voor de toekomstige bewoners door zijn vlotte bereikbaarheid en landelijke- doch centrale ligging.
Dankzij de nabijheid van het openbaar vervoer op slechts 400 meter, de vlotte verbinding naar de E40 en het treinstation op slechts 7 km, geniet u hier van een uitstekende bereikbaarheid. De kleuter- en basisschool van Wommersom bevindt zich op wandelafstand.
De centra van Tienen en Sint-Truiden zijn gemakkelijk te bereiken.
Met een perceelbreedte van 11 meter en een diepte van 41 meter, biedt dit perceel tal van mogelijkheden voor een kwalitatieve halfopen bebouwing.
De perceelindeling laat toe om een ruime en lichtrijke woning te realiseren, met voldoende aandacht voor privacy en comfort.
Er kan een maximale gevelbreedte van 8m en een diepte op het gelijkvloers van 15m gebouwd worden. De kroonlijst en dakhelling van nieuwe woning dient aan te sluiten op de bestaande woning.
De tuin is georiënteerd naar het noordwesten, hier kan je een aangename buitenruimte creëren, ideaal om in de namiddag en avond te genieten van zon en rust.
Dit maakt het perceel bijzonder aantrekkelijk voor wie waarde hecht aan een aangename buitenbeleving.
Pluspunten:
- perceel van 11 m breed en 41 m diep
- rustige ligging
- goede bereikbaarheid
Interesse?
Contacteer ons vandaag nog voor meer informatie of een bezoek ter plaatse en ontdek de mogelijkheden van dit perceel!
Stedenbouwkundige inlichtingen in aanvraag.
Energie
- E-peil: E0
- Beglazing: Onbekend
Op de kaart

Financieel
| Prijs | |
|---|---|
| Kadastraal inkomen (niet geïndexeerd) | € 3 |
| Kadastraal inkomen (geïndexeerd) | € 0 |
Berekening kosten
Je aankoopkosten? Die heb je snel berekend via de knop hieronder.
Bijkomende info
Gebouw
| Bouwcertificaat | Nee |
|---|
Perceel
| Diepte (m) | 41 |
|---|---|
| Breedte (m) | 11 |
| Overstromingsgevoelig | Geen |
| P-score | A |
| Voorkeurrecht | Nee |
| Totale oppervlakte (m²) | 450 |
Vergunning
| Vergunning | Geen beschikbaar |
|---|---|
| Verkavelingsvergunning | Vergunning beschikbaar |
Uitrusting
| Investeringspand | Nee |
|---|---|
| Rioolaansluiting | Nee |
| Gasaansluiting | Nee |
| Wateraansluiting | Ja |
| Elektriciteitsaansluiting | Ja |
| TV aansluiting | Nee |
| Internetaansluiting | Nee |
| Telefoonaansluiting | Nee |