Nieuw
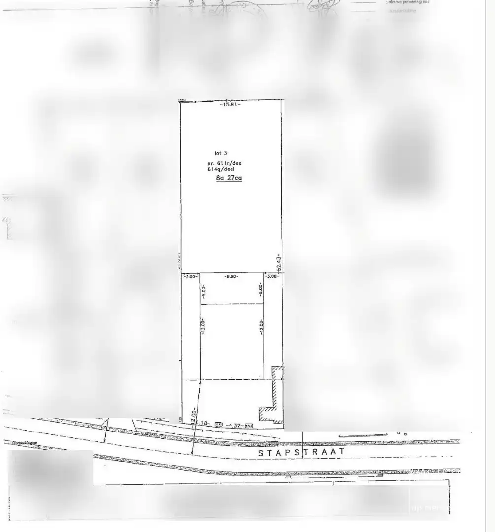
Ruim perceel van 8a27ca voor een open bebouwing te Schulen
€ 192.000
3540 Herk-de-Stad
Een pand van DOMO VASTGOED
Overzicht
- 827 m² grond
Beschrijving
Ben je op zoek naar een ideale plek om jouw droomwoning te bouwen? Deze mooi gelegen bouwgrond van 8a27ca in het gezellige Schulen biedt alle troeven voor wie rust, bereikbaarheid en een fijne leefomgeving wil combineren.
Het is gelegen in de rustige Stapstraat, een groene en kindvriendelijke buurt met weinig verkeer. Dankzij de vlotte verbindingen richting Herk-de-Stad, Lummen en Hasselt woon je landelijk zonder in te boeten op comfort.
Grijp je kans en bouw hier jouw ideale thuis!
vraagprijs excl. kosten verkavelingsakte en opmetingskosten.
Heeft u interesse? contacteer ons op het nummer 011/96.49.96 of jonas@domovastgoed.be
Het is gelegen in de rustige Stapstraat, een groene en kindvriendelijke buurt met weinig verkeer. Dankzij de vlotte verbindingen richting Herk-de-Stad, Lummen en Hasselt woon je landelijk zonder in te boeten op comfort.
Grijp je kans en bouw hier jouw ideale thuis!
vraagprijs excl. kosten verkavelingsakte en opmetingskosten.
Heeft u interesse? contacteer ons op het nummer 011/96.49.96 of jonas@domovastgoed.be
Energie
- Verwarming: Geen
- Beglazing: Onbekend
Financieel
| Prijs | |
|---|---|
| Kadastraal inkomen (niet geïndexeerd) | € 6 |
Berekening kosten
Je aankoopkosten? Die heb je snel berekend via de knop hieronder.
Bijkomende info
Gebouw
| Is beschermd | Nee |
|---|
Perceel
| Overstromingsgevoelig | Geen |
|---|---|
| P-score | A |
| Voorkeurrecht | Nee |
| Totale oppervlakte (m²) | 827 |
| Oriëntatie tuin | West |
Vergunning
| Vergunning | Vergunning beschikbaar |
|---|---|
| Bouwovertreding dagvaardiging | Geen |
| Type gebied | Stedelijk |
Uitrusting
| Meerdere eigenaars | Nee |
|---|---|
| Rioolaansluiting | Nee |
| Gasaansluiting | Nee |
| Wateraansluiting | Nee |
| Elektriciteitsaansluiting | Nee |
| TV aansluiting | Nee |
| Internetaansluiting | Nee |
Een pand van
DOMO VASTGOED
Domo Vastgoed, Uw buurtmakelaar en een team van BIV-erkende vastgoedmakelaar
Wij als buurtmakelaar kunnen je helpen bij het vinden van een woning die perfect past bij je behoeften en voorkeuren, en bieden we waardevol inzicht en advies over de lokale vastgoedmarkt. We begeleiden je graag tijdens het volledige aankoop- of verkoopproces en kunnen je helpen bij het nemen van weloverwogen beslissingen op basis van hun uitgebreide kennis van de buurt. Zowel voor ervaren investeerders als de kleine investeerder die start met het investeren in een tweede eigendom, ondersteunen wij je bij het de verhuur en het realiseren van je vastgoeddoelen binnen deze buurt. Daarnaast zijn we eveneens actief in de projectontwikkeling en leveren we jaarlijks energiezuinige nieuwbouwwoningen op met een uitstekende afwerking. Deze projecten realiseren we telkens met de hulp van lokale ondernemers, experten en vakmensen.
TK/26/0923-1
Leer meer over vastgoed
01 March 2026
Wanneer heb ik een bouwvergunning of omgevingsvergunning nodig?
17 February 2026
Hoe breng ik een bod uit op een woning?
24 November 2025
Uitgezocht voor jouw gemeente: Hoeveel stijgt de waarde van je woning door een renovatie?
22 October 2025