> Te koop > Heusden-Zolder > Grond > Rustig gelegen perceel voor OB op wandelafstand van centrum!
Nieuw

Rustig gelegen perceel voor OB op wandelafstand van centrum!

€ 159.000

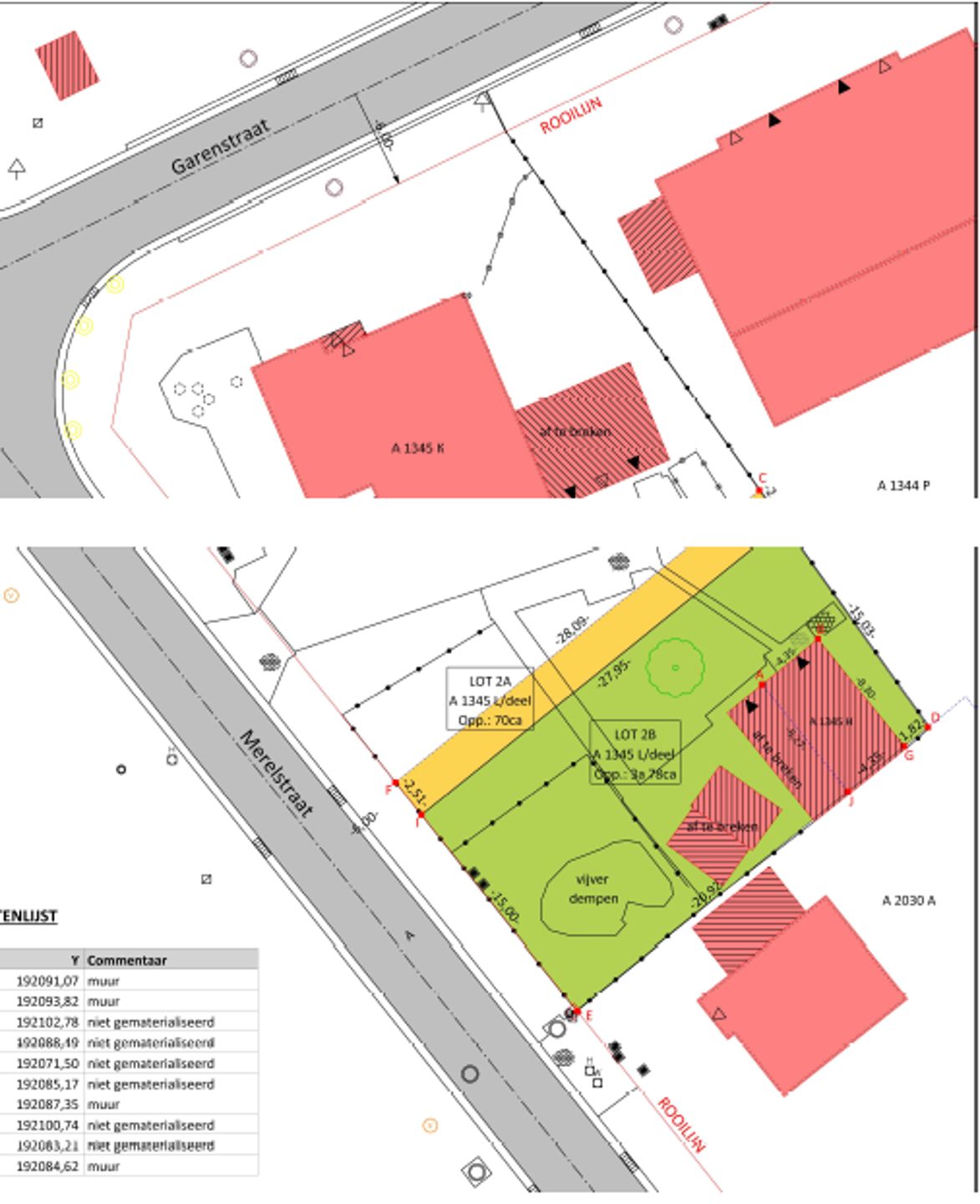
Merelstraat - 3550 Heusden-Zolder

Een pand van ImmoFusion

Volledige aanbod

Overzicht


  • 436 m² grond

Beschrijving


Deze bouwgrond is gelegen in Merelstraat in Heusden-Zolder. Op slechts enkele minuten wandelafstand bevindt zich het centrum en een bosgebied.

In deze zone wordt er een open gezinswoning toegestaan met een minimumbreedte van 9 meter, met 2 verdiepingen en met een zadeldak.
Deze kavel ligt aan een rustige straat, waardoor elke dag begint en eindigt in serene stilte.
Bovendien geniet u van een prachtige oriëntatie: de achterzijde is gericht naar het Oosten, ideaal voor zachte ochtendzon in de tuin of woonruimte.

Voor een bezichtiging ter plaatse of meer info, bel ons op 078/78.78.70, of kom gewoon binnen op ons kantoor, steeds welkom!

Ontdek deze mooie bouwkans op de Merelstraat in Heusden‑Zolder. Deze rustige ligging combineert het beste van twee werelden: een kort wandelafstandje naar het centrum en de vredige nabijheid van het bos en natuur.




  • Volgens het geldende BPA is er 1 woongelegenheid toegestaan, met een minimumbreedte van 9 meter.




  • Een woning met twee verdiepingen en een zadeldak is perfect mogelijk — een stijlvolle en klassieke voorkeurskeuze die ruimtelijkheid en comfort typeert.




Deze kavel ligt aan een rustige straat, waardoor elke dag begint en eindigt in serene stilte. Bovendien geniet u van een prachtige oriëntatie: de achterzijde is gericht naar het Oosten — ideaal voor zachte ochtendzon in de tuin of woonruimte.


Waarom deze bouwgrond?




  • Sfeervolle ligging: op wandelafstand van winkels en voorzieningen, en toch lekker dicht bij het groen.




  • Architecturale charme: twee verdiepingen met zadeldak als uitnodigende, ruimtelijke optie.




Voor een bezichtiging ter plaatse of meer info, bel ons op 078/78.78.70, of kom gewoon binnen op ons kantoor, steeds welkom!

Energie


Financieel


Prijs € 159.000

Berekening kosten


Je aankoopkosten? Die heb je snel berekent via de knop hieronder.

Bijkomende info


Perceel
Voorkeurrecht Nee
Totale oppervlakte (m²) 436
Vergunning
Vergunning Geen beschikbaar
Verkavelingsvergunning Geen beschikbaar

Een pand van


ImmoFusion
Logo van makelaar: ImmoFusion
Waarom ImmoFusion?
Hier zit u goed! Een enthousiast kantoor waar enkel de beste elementen samenkomen om een optimaal resultaat te behalen voor U, onze klant: vertrouwen, kennis, ervaring, innovatie en een persoonlijke aanpak. Wij gaan geen enkele uitdaging uit de weg en verleggen elke dag onze grenzen om U de beste service te bieden bij de aan- en verkoop van uw eigendom. Vertrouwen, de absolute basis van onze samenwerking. Of men nu een woning koopt of verkoopt, voor veel mensen is dit een “once in a life time experience”… Wij maken er dan ook onze zaak van om mensen hierin persoonlijk te begeleiden zodat dit voor hen een positieve en zorgeloze belevenis wordt. Een open communicatie in elk stadium van het verkoopproces waarbij we de klant duidelijk en correct informeren, zorgt voor het nodige vertrouwen; de absolute basis van onze samenwerking! Uiteraard nemen wij al het nodige papierwerk, de opmaak van contracten en de aanvraag van de wettelijk verplichte documenten ook ter harte. U wil weten aan welke prijs uw woning verkocht kan worden? Wij bieden u een gratis schatting! Door onze kennis en jarenlange ervaring weten wij de correcte prijs van uw eigendom te bepalen. Samen met u bekijken wij welke realistische vraagprijs gesteld kan worden om uw woning zo snel mogelijk te verkopen. Als U op zoek bent naar een professionele, gedreven makelaar die u persoonlijk begeleidt en enkel het beste voor U wil, contacteer ons dan. Wij kijken er alvast naar uit om u te ontmoeten…Graag tot binnenkort!
Logo van makelaar: ImmoFusion
7068644
Rustig gelegen perceel voor OB op wandelafstand van centrum! foto {{pictureIndex}}

Rustig gelegen perceel voor OB op wandelafstand van centrum!

€ 159.000

Merelstraat - 3550 Heusden-Zolder

Bezoek het pand

Vul jouw contactgegevens hieronder in en de makelaar contacteert je.

Leer meer over vastgoed

Nieuw
22 October 2025
Hoeveel kan ik lenen om een huis te kopen?
11 June 2025
Huis kopen met bouwovertreding? Dit moet je weten
11 May 2025
Renoveren? Vraag je Mijn VerbouwPremie aan
22 April 2025
Je allereerste renovatieproject selecteren én budgetteren: met de praktische hulp van Spotto