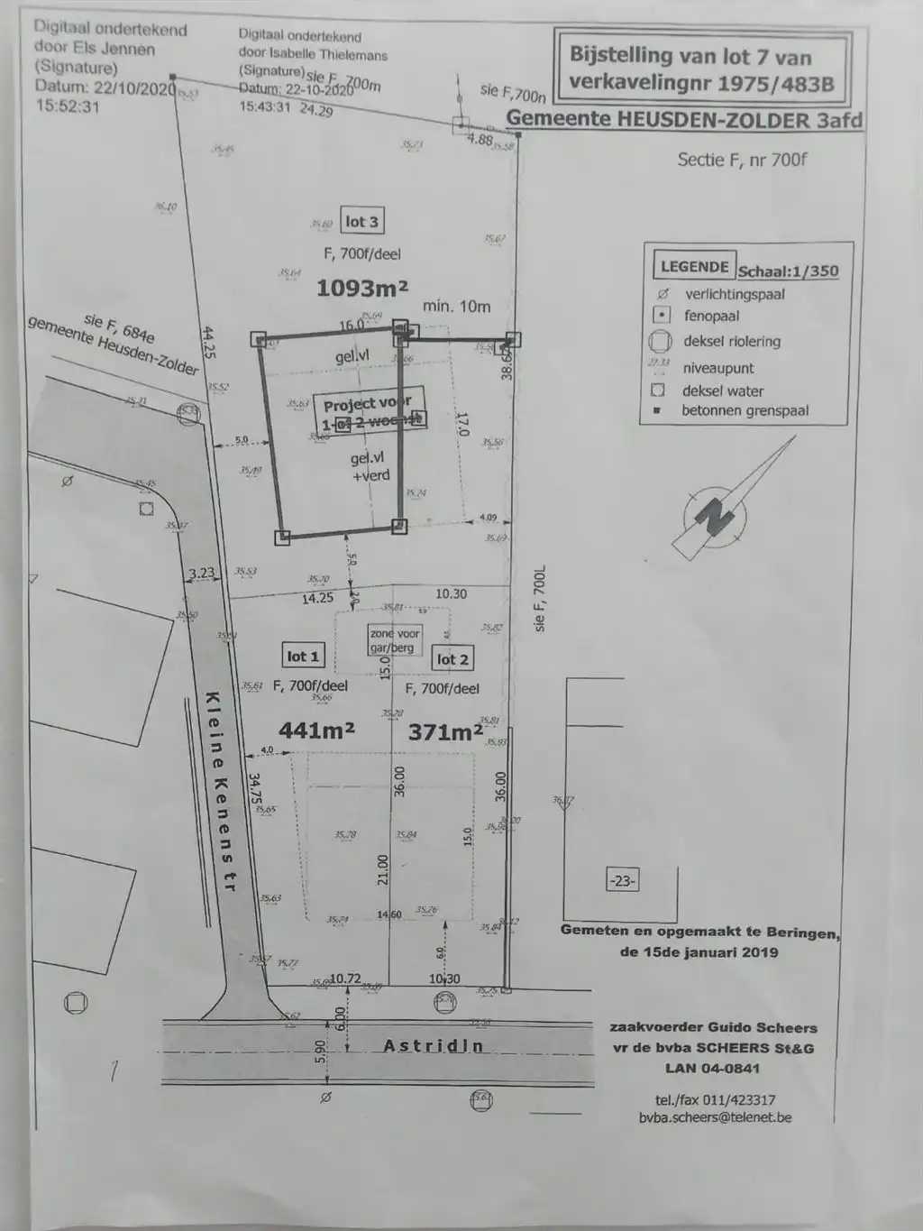
Knap perceel bouwgrond gelegen te Boekt (Heusden-Zolder).
€ 146.000
Een pand van Immo Liv'it
Jouw zoektocht
Overzicht
- 208 m² bewoonbaar
- 441 m² grond
Beschrijving
Deze bouwgrond voor halfopen bebouwing is gelegen op een perceel van 4A 41Ca groot.
Hierdoor heeft u voldoende mogelijkheden en ruimte om een ruime, comfortabele woning te creëren.
Voorschriften:
Bouwdiepte op het gelijkvloers: tot 15m
Bouwdiepte op het verdiep: tot 12m
De omgeving staat bekend om haar sfeervolle, rustige omgeving.
Waar u kan genieten van rustige wandelingen, ontspannen fietstochten in een autoluwe omgeving.
De ligging, die is top.
Een centrale ligging die het gemakkelijk maakt om verbinding te maken met omliggende steden.
Vlakbij de snelweg, winkels, scholen,...
Kortom heeft u interesse om te bouwen op een rustige locatie maar toch nog in de nabijheid van het centrum. Contacteer ons dan via 0470 55 64 24 of info@immolivit.be
Energie
- E-peil: E0
- Beglazing: Onbekend
Op de kaart

Financieel
| Prijs | |
|---|---|
| Kadastraal inkomen (niet geïndexeerd) | € 0 |
| Kadastraal inkomen (geïndexeerd) | € 0 |
Berekening kosten
Je aankoopkosten? Die heb je snel berekend via de knop hieronder.
Bijkomende info
Gebouw
| Bouwcertificaat | Nee |
|---|
Perceel
| Overstromingsgevoelig | Geen |
|---|---|
| P-score | A |
| Voorkeurrecht | Nee |
| Totale oppervlakte (m²) | 441 |
| Oriëntatie tuin | Noordwest |
Vergunning
| Vergunning | Geen beschikbaar |
|---|---|
| Verkavelingsvergunning | Vergunning beschikbaar |
Uitrusting
| Investeringspand | Nee |
|---|---|
| Rioolaansluiting | Nee |
| Gasaansluiting | Nee |
| Wateraansluiting | Nee |
| Elektriciteitsaansluiting | Nee |
| TV aansluiting | Nee |
| Internetaansluiting | Nee |
| Telefoonaansluiting | Nee |