Zuidgerichte bouwgrond op rustige locatie nabij bosgebied
€ 115.000
Een pand van Nancy Aerts Vastgoed
Overzicht
- 521 m² grond
Beschrijving
De zuidgerichte tuin zorgt voor maximale lichtinval en laat je de hele dag genieten van de zon. Door de lichte helling ontstaat er bovendien een speelse tuinstructuur met veel mogelijkheden.
De ligging is perfect: rustig en omgeven door natuur, met wandelroutes en bosgebied op korte afstand. Be-Mine ligt op vier kilometer, de treinhalte Hasselt–Mol op anderhalve kilometer en ook scholen en winkels zijn vlakbij.
Het perceel grenst aan een tweede, vergelijkbare bouwgrond die eveneens te koop is – samen een mooie kans voor wie een ruim project of gezinswoning met familie of vrienden overweegt.
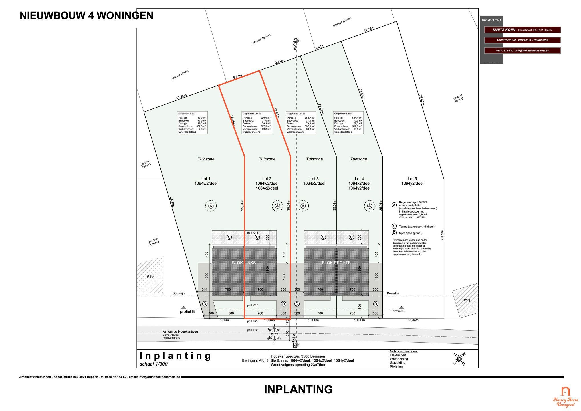
Zuidgerichte bouwgrond op een rustige locatie nabij bosgebied
In een groene, rustige speelstraat ligt deze zuidgerichte bouwgrond van 521 m², bestemd voor het bouwen van een halfopen bebouwing. Met een straatbreedte van 10 meter en een perceeldiepte van 55 meter biedt het perceel alle ruimte om een gezinswoning te realiseren met een grondoppervlakte van 7 x 11 m.
Er mag een woning worden gebouwd met twee volwaardige verdiepingen en een zolderverdieping, waarbij de kroonlijsthoogte 5,85 meter bedraagt. Voor dit perceel is bovendien al een vergund plan beschikbaar, wat een sterke basis vormt om jouw woonideeën verder tot leven te brengen.
De tuin is heerlijk zuidgericht, waardoor je de hele dag kunt genieten van zon en licht. Doordat het perceel lichtjes schuin naar achter loopt, ontstaat er een natuurlijke dynamiek die uitnodigt tot een speelse tuinindeling.
De ligging maakt deze bouwgrond bijzonder aantrekkelijk voor wie rust en natuur wil combineren met een vlotte bereikbaarheid. Op wandelafstand liggen het bos en verschillende wandelgebieden, terwijl Be-Mine op slechts vier kilometer afstand ligt. Ook de treinhalte Hasselt–Mol bevindt zich op anderhalve kilometer en de lagere school is vlakbij.
Deze bouwgrond grenst aan een tweede, vergelijkbaar perceel dat eveneens te koop staat. Samen vormen ze een mooie opportuniteit voor wie op zoek is naar extra ruimte of een gezinsproject met familie of vrienden.
Een plek waar natuur, rust en bereikbaarheid in harmonie samenkomen, klaar om jouw bouwdroom waar te maken.
Energie
Op de kaart

Financieel
Prijs | |
---|---|
Kadastraal inkomen (niet geïndexeerd) | € 1 |
Berekening kosten
Je aankoopkosten? Die heb je snel berekent via de knop hieronder.
Bijkomende info
Perceel
Diepte (m) | 55 |
---|---|
Overstromingsgevoelig | Geen |
P-score | A |
Voorkeurrecht | Nee |
Totale oppervlakte (m²) | 521 |
Vergunning
Vergunning | Geen beschikbaar |
---|---|
Verkavelingsvergunning | Vergunning beschikbaar |
Bouwovertreding | Geen |
Bouwovertreding dagvaardiging | Geen |