In optie
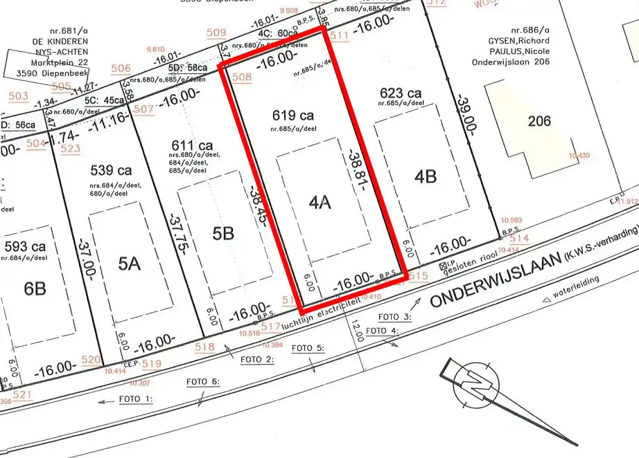
Perceel van 06A19CA geschikt voor woning in open bebouwing gelegen op toplocatie in Diepenbeek.
€ 155.000
Een pand van Telen Vastgoedmakelaar
Overzicht
- 619 m² grond
Beschrijving
Bouwgrond met 619 m² op een groene locatie in Diepenbeek, Onderwijslaan 210.
Dit perceel is geschikt voor een open bebouwing. De grond heeft een straatbreedte van 16 meter, een kaveldiepte van 38,81 meter langs de rechterzijde en 38,45 meter langs de linkerzijde van het perceel.
De volgende bouwvoorschriften zijn van toepassing:
- Residentieel gebruik: één woongelegenheid (zorgwoning toegelaten mits vergunning)
- Afstand van vrijblijvende gevels op minstens 3 meter van de zijdelingse perceelgrenzen. – De voorgevel op 6 meter achter de rooilijn.
- Bouwdiepte gelijkvloers maximaal 17 meter
- Bouwdiepte verdieping maximaal 14 meter
- Bouwbreedte 10 meter
- Bouwhoogte 2 bouwlagen onder de kroonlijst
- Dakvorm vrij te bepalen
- Maximale m² van verhardingen beperkt tot 30 m² (toegang/oprit en tuinpaden niet inbegrepen)
Enkele troeven van dit bouwperceel zijn:
- geschikt voor open bebouwing;
- tuin geniet een gunstige ZW-oriëntatie;
- gelegen in een nette, groene woonbuurt/omgeving;
- vlakbij N2 (verbindingsweg Diepenbeek-Hasselt), autosnelweg vlot bereikbaar;
- gelegen op 6 km van het centrum.
Voor de paardenliefhebbers is er een mogelijkheid om de achterliggende weide erbij te kopen.
Wenst u graag meer informatie over deze bouwgrond of de voorschriften, neem dan gerust contact op met ons kantoor voor meer info. Contactgegevens: info@telen.be of 089.77.77.77.
Dit perceel is geschikt voor een open bebouwing. De grond heeft een straatbreedte van 16 meter, een kaveldiepte van 38,81 meter langs de rechterzijde en 38,45 meter langs de linkerzijde van het perceel.
De volgende bouwvoorschriften zijn van toepassing:
- Residentieel gebruik: één woongelegenheid (zorgwoning toegelaten mits vergunning)
- Afstand van vrijblijvende gevels op minstens 3 meter van de zijdelingse perceelgrenzen. – De voorgevel op 6 meter achter de rooilijn.
- Bouwdiepte gelijkvloers maximaal 17 meter
- Bouwdiepte verdieping maximaal 14 meter
- Bouwbreedte 10 meter
- Bouwhoogte 2 bouwlagen onder de kroonlijst
- Dakvorm vrij te bepalen
- Maximale m² van verhardingen beperkt tot 30 m² (toegang/oprit en tuinpaden niet inbegrepen)
Enkele troeven van dit bouwperceel zijn:
- geschikt voor open bebouwing;
- tuin geniet een gunstige ZW-oriëntatie;
- gelegen in een nette, groene woonbuurt/omgeving;
- vlakbij N2 (verbindingsweg Diepenbeek-Hasselt), autosnelweg vlot bereikbaar;
- gelegen op 6 km van het centrum.
Voor de paardenliefhebbers is er een mogelijkheid om de achterliggende weide erbij te kopen.
Wenst u graag meer informatie over deze bouwgrond of de voorschriften, neem dan gerust contact op met ons kantoor voor meer info. Contactgegevens: info@telen.be of 089.77.77.77.
Energie
- E-peil: E0
- Beglazing: Onbekend
Op de kaart

Financieel
| Prijs | |
|---|---|
| Kadastraal inkomen (niet geïndexeerd) | € 4 |
Berekening kosten
Je aankoopkosten? Die heb je snel berekent via de knop hieronder.
Bijkomende info
Gebouw
| Bouwcertificaat | Nee |
|---|
Perceel
| Overstromingsgevoelig | Geen |
|---|---|
| P-score | A |
| Totale oppervlakte (m²) | 619 |
| Oriëntatie tuin | Zuidwest |
Vergunning
| Verkavelingsvergunning | Vergunning beschikbaar |
|---|
Uitrusting
| Investeringspand | Nee |
|---|---|
| Rioolaansluiting | Nee |
| Gasaansluiting | Nee |
| Wateraansluiting | Nee |
| Elektriciteitsaansluiting | Nee |
| Internetaansluiting | Nee |
| Telefoonaansluiting | Nee |
Een pand van
Telen Vastgoedmakelaar
Telen Vastgoedmakelaar
Welkom bij Telen Vastgoedmakelaar!
Wij hopen u nog beter van dienst te zijn met onze nieuwe website.
Je kan bij dit ervaren vastgoedkantoor terecht voor alle aspecten in verband met het verhandelen en ontwikkelen van vastgoed. Van bij de waardebepaling van uw goed tot en met het beschrijf bij de notaris kan u rekenen op een deskundige persoonlijke begeleiding.
Heeft u geen aanbieding gevonden op de site die voldoet aan uw criteria, dan kan u zich inschrijven in onze mailing om op de hoogte te blijven van nieuwe aanbiedingen.
Aarzel niet om ons te contacteren via telefoon op het nummer (089 77 77 77) of via mail (info@telen.be). Ons professioneel team staat u graag te woord.
Veel succes met uw zoektocht!
Onderwijslaan 210 Diepenbeek
Leer meer over vastgoed
24 November 2025
Uitgezocht voor jouw gemeente: Hoeveel stijgt de waarde van je woning door een renovatie?
22 October 2025
Hoeveel kan ik lenen om een huis te kopen?
11 June 2025
Huis kopen met bouwovertreding? Dit moet je weten
11 May 2025