Nieuw Virtual tour
Uitzonderlijk mooie villa op 2.114 M2 in Kinrooi.
€ 649.000
Een pand van Klaps Vastgoed
Overzicht
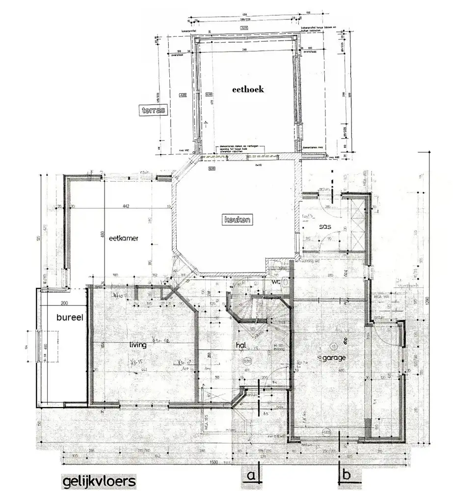
- 330 m² bewoonbaar
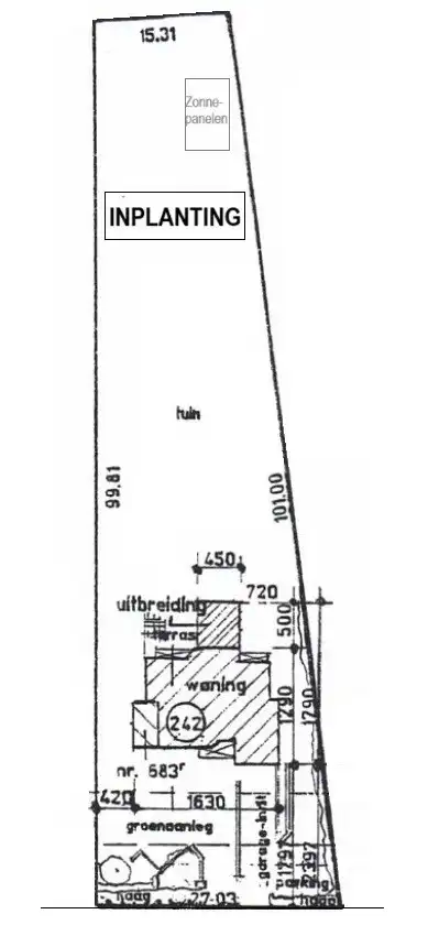
- 2114 m² grond
- 4 Slaapkamer(s)
- 2 Badkamer(s)
- 2 Toilet(ten)
- 1 Garage(s)
Beschrijving
Ontdek deze prachtige luxe woning, gelegen op een uitzonderlijk groot perceel van 2.114 M² in een groene en rustige omgeving, grenzend aan de achterliggende akkers. Deze woning combineert elegantie en comfort met een gevarieerd ontwerp in gevels en tuin, waardoor een unieke uitstraling ontstaat.
Achter de gevels wordt u verwend met een uitzonderlijk luxueus interieur, waaronder een prachtige keuken, verborgen T.V.-scherm, gashaard, massieve parket, tegelvloer en waterbestendig tapijt. De afwerking is van een superieure kwaliteit, met inbouwkasten en hoogwaardige materialen die zorgen voor een warme en stijlvolle sfeer.
De woning beschikt over grote raampartijen die via schuiframen verbonden zijn met de terrassen en een schitterend uitzicht bieden op de tuin.
Er zijn vier ruime slaapkamers, waarvan één met dressing, en twee moderne badkamers. De kelder is afgewerkt volgens de normen van een leefruimte, waardoor extra gebruiksruimte ontstaat.
De elektrische toegangspoort en garagepoort met afstandsbediening bieden praktisch gebruiksgemak bij het in- en uitrijden van voertuigen naar de inpandige garage, de parkeerplaatsen en de carport.
Voorzien van alle hedendaagse technieken zoals ventilatie, verwarming, airco en zonnepanelen, is deze woning voorbereid op de toekomst. Een unieke kans voor wie op zoek is naar een exclusieve woning die comfort, luxe en duurzaamheid perfect combineert te midden van een groene oase!
Extra's:
- Ruime terrassen
- Alarminstallatie
- Airco
- Regeninstallatie
- Tuin bereikbaar langs achter
- Gebakken kleiklinkers in de inrit
- Zonne panelen met groene stroomcertificaten
Achter de gevels wordt u verwend met een uitzonderlijk luxueus interieur, waaronder een prachtige keuken, verborgen T.V.-scherm, gashaard, massieve parket, tegelvloer en waterbestendig tapijt. De afwerking is van een superieure kwaliteit, met inbouwkasten en hoogwaardige materialen die zorgen voor een warme en stijlvolle sfeer.
De woning beschikt over grote raampartijen die via schuiframen verbonden zijn met de terrassen en een schitterend uitzicht bieden op de tuin.
Er zijn vier ruime slaapkamers, waarvan één met dressing, en twee moderne badkamers. De kelder is afgewerkt volgens de normen van een leefruimte, waardoor extra gebruiksruimte ontstaat.
De elektrische toegangspoort en garagepoort met afstandsbediening bieden praktisch gebruiksgemak bij het in- en uitrijden van voertuigen naar de inpandige garage, de parkeerplaatsen en de carport.
Voorzien van alle hedendaagse technieken zoals ventilatie, verwarming, airco en zonnepanelen, is deze woning voorbereid op de toekomst. Een unieke kans voor wie op zoek is naar een exclusieve woning die comfort, luxe en duurzaamheid perfect combineert te midden van een groene oase!
Extra's:
- Ruime terrassen
- Alarminstallatie
- Airco
- Regeninstallatie
- Tuin bereikbaar langs achter
- Gebakken kleiklinkers in de inrit
- Zonne panelen met groene stroomcertificaten
Energie
![]() |
- Energieverbruik: 170 kWh/m²/jaar
- E-peil: E0
- Beglazing: Standaard dubbel
Op de kaart

Financieel
| Prijs | |
|---|---|
| Kadastraal inkomen (niet geïndexeerd) | € 1.273 |
Berekening kosten
Je aankoopkosten? Die heb je snel berekend via de knop hieronder.
Bijkomende info
Gebouw
| Bouwjaar | 1988 |
|---|---|
| Renovatie jaar | 2011 |
| Staat | Zo goed als nieuw |
| Bewoonbaar (m²) | 330 |
| Gevelbreedte | 15 |
| Badkamers | 2 |
| Slaapkamers | 4 |
| Verdiepingen | 0 |
| Garages | 1 |
| Parkeerplaatsen | 0 |
| Toiletten | 2 |
Faciliteiten
| Keuken uitrusting | Luxueus uitgerust |
|---|---|
| Beglazing | Standaard dubbel |
| Septische tank | Nee |
Perceel
| Breedte (m) | 27 |
|---|---|
| Overstromingsgevoelig | Geen |
| P-score | A |
| G-score | A |
| Totale oppervlakte (m²) | 2114 |
| Bebouwde oppervlakte (m²) | 0 |
| Oppervlakte terras (m²) | 100 |
Vergunning
| Verkavelingsvergunning | Geen beschikbaar |
|---|
Uitrusting
| Investeringspand | Nee |
|---|---|
| Parking | Nee |
| Garage | Ja |
| Thuiskantoor | Ja |
| Kelder | Ja |
| Opslagruimte | Ja |
| Terras | Ja |
| Lift | Nee |
| Rioolaansluiting | Nee |
| Gasaansluiting | Ja |
| Wateraansluiting | Ja |
| Elektriciteitsaansluiting | Nee |
| Internetaansluiting | Ja |
| Telefoonaansluiting | Nee |
| Zonnepanelen | Ja |
| Zonneboiler | Nee |
| Alarm | Ja |
| Videofoon | Ja |
| Grondwaterput | Nee |
Een pand van
Klaps Vastgoed
Klaps Vastgoed, gewoon degelijk.
Wij zijn Geert, Stijn en Jos, gepassioneerde professionals met een open blik en no-nonsense aanpak.
Wilt u verkopen, verhuren of investeren? Laten we samen bekijken hoe we u hierbij kunnen ontzorgen.
Aarzel niet om ons te contacteren of kom even binnen voor 'een sterk kopje advies'!
Elke klant met een glimlach naar huis... Daar gaan we voor. Welkom bij Klaps Vastgoed!
Breeërsteenweg 242 Kinrooi villa
Leer meer over vastgoed
24 November 2025
Uitgezocht voor jouw gemeente: Hoeveel stijgt de waarde van je woning door een renovatie?
22 October 2025
Hoeveel kan ik lenen om een huis te kopen?
11 June 2025
Huis kopen met bouwovertreding? Dit moet je weten
11 May 2025
