Rustig gelegen bouwgrond (OB), opp. 4a93ca
€ 129.000
Een pand van IMMO LIMBURGS VASTGOED
Favoriet
Jouw zoektocht
Jouw scoretabel voor dit pand
Aan het laden...
Jouw geplande bezichtigingen
Aan het laden...
Overzicht
- 493 m² grond
- 1 Tuin
Overstromingsgevaar perceel
Beschrijving
Bouwgrond voor open bebouwing in woongebied met landelijk karakter op een perceel van 4a93ca. Gelegen in een zeer rustige en familiale woonwijk in Oudsbergen.
Centraal gelegen nabij nodige faciliteiten; apotheker op 500 m en 2 km van onder andere het Dorpsplein (centrum Oudsbergen), de sporthal, verschillende supermarkten, Sentower Park, het Joekelbos,...
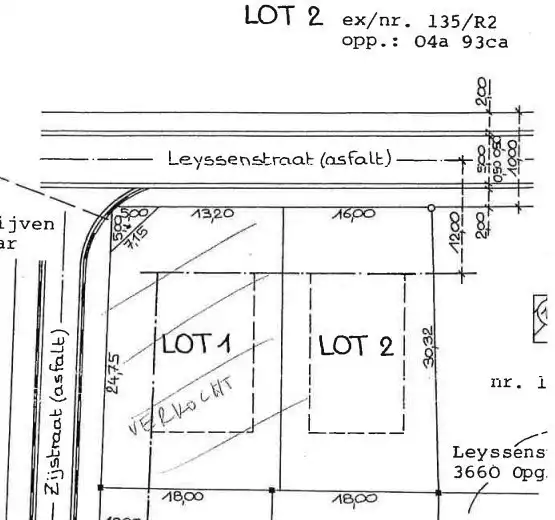
Verkavelingsvergunning afgeleverd. Het betreft "Lot 2" op het opmetingsplan.
Toelichting van de gemeente Oudsbergen: "Er kan worden afgeweken van huidige voorschriften."
Huidige voorschriften:
- Openbebouwing
- Bouwdiepte: gelijkvloers max. 17m (14m hoofdbouw + 3m aanbouw).
- Zijgevels op 3 meter van de perceelsgrenzen
- Bouwhoogte: 1 of 1,5 bouwlagen. Hoogte tussen wegpijl en kroonlijst 3,5m en 4,5m.
- Dakhelling: tussen 25° en 45°
- Vrijstaand bijgebouw mogelijk: max 40m², max 3,5m hoog, minimaal 1m los van de woning, in de achtertuin minimaal 1m van perceelsgrenzen.
- Eventueel ondergrondse garage: inrit naar garage helling max 4% voor de eerste 5m van de rooilijn
In geval er afgeweken wordt van de huidige voorschriften, dient er rekening te worden gehouden met een achtertuin van minimaal 10 meter diep.
U kan de bouwvoorschriften downloaden op onze website.
Voor meer info bel Dario op 0472/09.27.56 of 011/22.19.17.
Bekijkt u deze advertentie via een aanverwante vastgoedsite, surf dan zeker naar onze website www.limburgsvastgoed.be voor een uitgebreide beschrijving en foto's.
Centraal gelegen nabij nodige faciliteiten; apotheker op 500 m en 2 km van onder andere het Dorpsplein (centrum Oudsbergen), de sporthal, verschillende supermarkten, Sentower Park, het Joekelbos,...
Verkavelingsvergunning afgeleverd. Het betreft "Lot 2" op het opmetingsplan.
Toelichting van de gemeente Oudsbergen: "Er kan worden afgeweken van huidige voorschriften."
Huidige voorschriften:
- Openbebouwing
- Bouwdiepte: gelijkvloers max. 17m (14m hoofdbouw + 3m aanbouw).
- Zijgevels op 3 meter van de perceelsgrenzen
- Bouwhoogte: 1 of 1,5 bouwlagen. Hoogte tussen wegpijl en kroonlijst 3,5m en 4,5m.
- Dakhelling: tussen 25° en 45°
- Vrijstaand bijgebouw mogelijk: max 40m², max 3,5m hoog, minimaal 1m los van de woning, in de achtertuin minimaal 1m van perceelsgrenzen.
- Eventueel ondergrondse garage: inrit naar garage helling max 4% voor de eerste 5m van de rooilijn
In geval er afgeweken wordt van de huidige voorschriften, dient er rekening te worden gehouden met een achtertuin van minimaal 10 meter diep.
U kan de bouwvoorschriften downloaden op onze website.
Voor meer info bel Dario op 0472/09.27.56 of 011/22.19.17.
Bekijkt u deze advertentie via een aanverwante vastgoedsite, surf dan zeker naar onze website www.limburgsvastgoed.be voor een uitgebreide beschrijving en foto's.
Energie
- Verwarming: Geen
- Beglazing: Onbekend
Op de kaart

Financieel
| Prijs | |
|---|---|
| Kadastraal inkomen (niet geïndexeerd) | € 0 |
| Kadastraal inkomen (geïndexeerd) | € 0 |
Berekening kosten
Je aankoopkosten? Die heb je snel berekend via de knop hieronder.
Bijkomende info
Gebouw
| Is beschermd | Nee |
|---|
Perceel
| Overstromingsgevoelig | Mogelijk overstromingsgevoelig |
|---|---|
| P-score | D |
| Voorkeurrecht | Nee |
| Totale oppervlakte (m²) | 493 |
| Oriëntatie tuin | Zuid |
Vergunning
| Vergunning | Geen beschikbaar |
|---|---|
| Verkavelingsvergunning | Vergunning beschikbaar |
| Bouwovertreding dagvaardiging | Geen |
| Type gebied | Landelijk |
Uitrusting
| Meerdere eigenaars | Nee |
|---|---|
| Rioolaansluiting | Nee |
| Gasaansluiting | Nee |
| Wateraansluiting | Nee |
| Elektriciteitsaansluiting | Nee |
| TV aansluiting | Nee |
| Internetaansluiting | Nee |
Een pand van
IMMO LIMBURGS VASTGOED
Makelaars voor woning en bedrijf
Immo Limburgs Vastgoed, reeds meer dan 40 jaar actief op de vastgoedmarkt, is gespecialiseerd in bemiddeling bij verkoop en verhuur van onroerende goederen.
Momenteel zijn wij één van de marktleiders in Limburg. Wij bieden continu meer dan 200 eigendommen aan, in zowel residentieel- als bedrijfsvastgoed. Ook de verkoop van nieuwbouw appartementen en woningen op plan vormt een belangrijk onderdeel van ons werkgebied.
Een dynamisch en jong team, allen met opleiding Vastgoedmakelaar, werkt met ambitie, inzet en gedrevenheid aan de professionele afhandeling van uw dossier.
Ons team
DP-5153066
Leer meer over vastgoed
23 March 2026
Op Spotto zoeken als een pro: 10 slimme tips
21 March 2026
Hoeveel kan ik lenen om een huis te kopen?
01 March 2026
Wanneer heb ik een bouwvergunning of omgevingsvergunning nodig?
17 February 2026