Nieuw
Bouwgrond open bebouwing met vergund plan - 1487m²
€ 192.950
Een pand van Jansen Real Estate
Favoriet
Jouw zoektocht
Jouw scoretabel voor dit pand
Aan het laden...
Jouw geplande bezichtigingen
Aan het laden...
Overzicht
- 1486 m² grond
Beschrijving
Nieuwe verkaveling in Neeroeteren aan de voormalige Melkerij bestaande uit 2 woningen op grote percelen en 3 ruime bouwgronden. De percelen zijn allen zuid georiënteerd. De plannen voor de bouwgronden zijn vergund, geschikt voor een open bebouwing en hebben soepele bouwvoorschriften.
De verkaveling ligt op een boogscheut van het centrum van Neeroeteren met een supermarkt en school op 500 meter. Hier woon je mooi met de achterzijde grenzend aan de Tapziepbeek, wat voor een extra natuurlijk karakter van de tuinen zorgt. Op de percelen achter de Tapziepbeek kan er volgens de verkavelingsvoorschriften niet gebouwd worden, wat betekent dat het groene karakter behouden zal blijven. Deze percelen kan je bij aankopen indien gewenst.
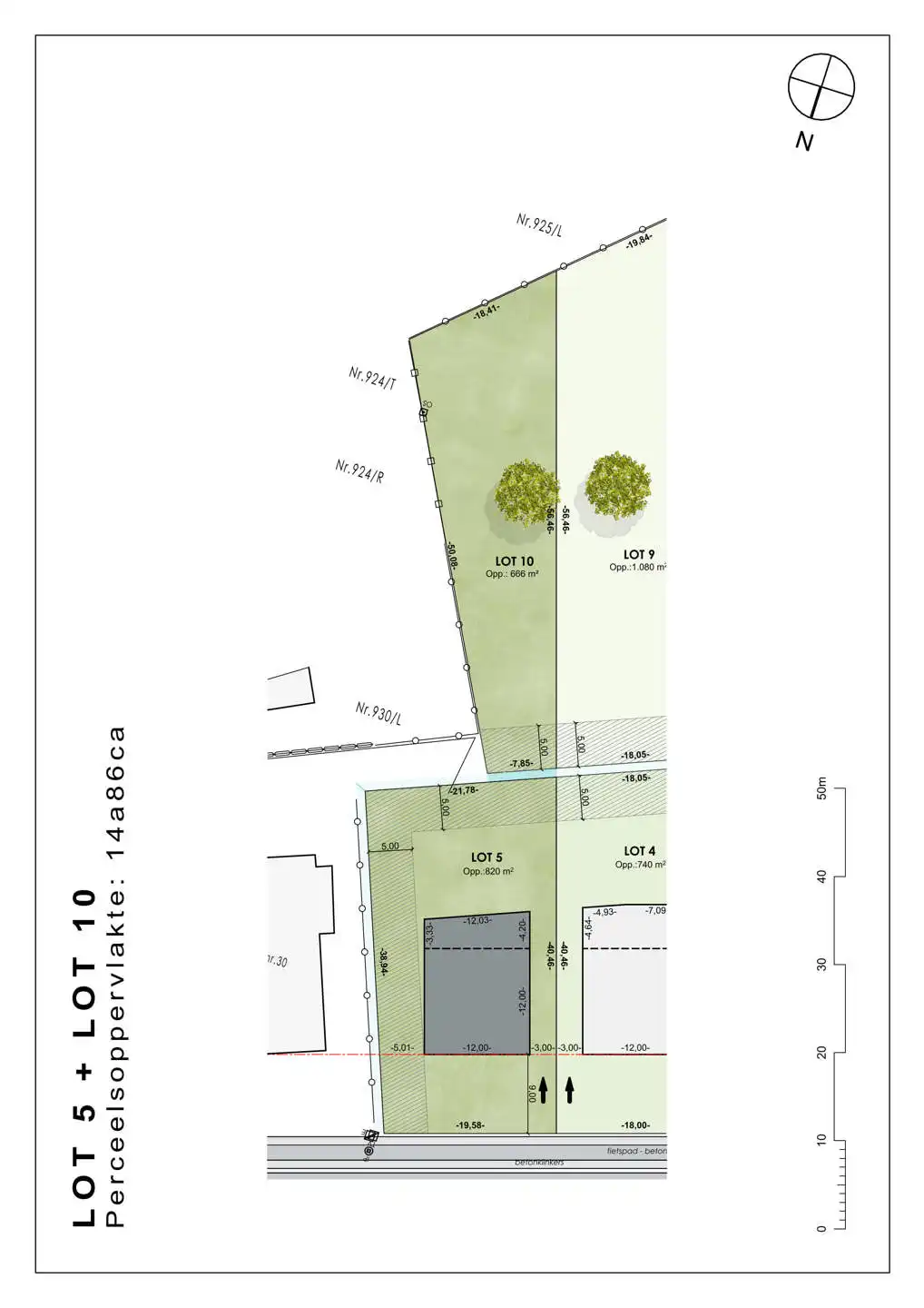
LOT 5: bouwgrond met vergund plan:
-Perceel Lot 5 voor open bebouwing;
-Achterliggend perceel grond Lot 10;
-Totale oppervlakte van 14a86ca.
De achterliggende percelen grond (Lot 6, 7, 8, 9 en 10) kunnen ook in zijn geheel gekocht worden. Deze totale oppervlakte bedraagt 58a62ca.
Zeer soepele bouwvoorschriften:
- bouwdiepte gelijkvloers: maximaal 17m
- bouwdiepte verdieping: maximaal 12m
- bouwbreedte: minimaal 8m
- bouwhoogte: maximaal 2 bouwlagen onder de kroonlijst: 6,5 meter bij hellende daken en 7,00 meter bij platte daken
- nokhoogte: maximaal 11 meter ten opzichte van het maaiveld
- dakhelling: vrij
Bouw je eigen woning volgens de meest recente normen en dit helemaal naar je eigen smaak. De plannen zijn vergund dus snel starten met bouwen is mogelijk!
Vermelde prijs is exclusief registratie en notariskosten. Wij ontzorgen je ook voor de verkoop van je huidige woning! Contacteer ons op info@jansenrealestate.be of 011 39 90 50.
*De renders zijn indicatief en tonen de vergunde plannen; het betreft bouwgrond met vergunde plannen, met mogelijkheid tot realisatie van de woning op aanvraag.
De verkaveling ligt op een boogscheut van het centrum van Neeroeteren met een supermarkt en school op 500 meter. Hier woon je mooi met de achterzijde grenzend aan de Tapziepbeek, wat voor een extra natuurlijk karakter van de tuinen zorgt. Op de percelen achter de Tapziepbeek kan er volgens de verkavelingsvoorschriften niet gebouwd worden, wat betekent dat het groene karakter behouden zal blijven. Deze percelen kan je bij aankopen indien gewenst.
LOT 5: bouwgrond met vergund plan:
-Perceel Lot 5 voor open bebouwing;
-Achterliggend perceel grond Lot 10;
-Totale oppervlakte van 14a86ca.
De achterliggende percelen grond (Lot 6, 7, 8, 9 en 10) kunnen ook in zijn geheel gekocht worden. Deze totale oppervlakte bedraagt 58a62ca.
Zeer soepele bouwvoorschriften:
- bouwdiepte gelijkvloers: maximaal 17m
- bouwdiepte verdieping: maximaal 12m
- bouwbreedte: minimaal 8m
- bouwhoogte: maximaal 2 bouwlagen onder de kroonlijst: 6,5 meter bij hellende daken en 7,00 meter bij platte daken
- nokhoogte: maximaal 11 meter ten opzichte van het maaiveld
- dakhelling: vrij
Bouw je eigen woning volgens de meest recente normen en dit helemaal naar je eigen smaak. De plannen zijn vergund dus snel starten met bouwen is mogelijk!
Vermelde prijs is exclusief registratie en notariskosten. Wij ontzorgen je ook voor de verkoop van je huidige woning! Contacteer ons op info@jansenrealestate.be of 011 39 90 50.
*De renders zijn indicatief en tonen de vergunde plannen; het betreft bouwgrond met vergunde plannen, met mogelijkheid tot realisatie van de woning op aanvraag.
Nieuwe verkaveling in Neeroeteren aan de voormalige Melkerij bestaande uit 2 woningen op grote percelen en 3 ruime bouwgronden. De percelen zijn allen zuid georiënteerd. De plannen voor de bouwgronden zijn vergund, geschikt voor een open bebouwing en hebben soepele bouwvoorschriften.
De verkaveling ligt op een boogscheut van het centrum van Neeroeteren met een supermarkt en school op 500 meter. Hier woon je mooi met de achterzijde grenzend aan de Tapziepbeek, wat voor een extra natuurlijk karakter van de tuinen zorgt. Op de percelen achter de Tapziepbeek kan er volgens de verkavelingsvoorschriften niet gebouwd worden, wat betekent dat het groene karakter behouden zal blijven. Deze percelen kan je bij aankopen indien gewenst.
LOT 5: bouwgrond met vergund plan:
-Perceel Lot 5 voor open bebouwing;
-Achterliggend perceel grond Lot 10;
-Totale oppervlakte van 14a86ca.
De achterliggende percelen grond (Lot 6, 7, 8, 9 en 10) kunnen ook in zijn geheel gekocht worden. Deze totale oppervlakte bedraagt 58a62ca.
Zeer soepele bouwvoorschriften:
- bouwdiepte gelijkvloers: maximaal 17m
- bouwdiepte verdieping: maximaal 12m
- bouwbreedte: minimaal 8m
- bouwhoogte: maximaal 2 bouwlagen onder de kroonlijst: 6,5 meter bij hellende daken en 7,00 meter bij platte daken
- nokhoogte: maximaal 11 meter ten opzichte van het maaiveld
- dakhelling: vrij
Bouw je eigen woning volgens de meest recente normen en dit helemaal naar je eigen smaak. De plannen zijn vergund dus snel starten met bouwen is mogelijk!
Vermelde prijs is exclusief registratie en notariskosten. Wij ontzorgen je ook voor de verkoop van je huidige woning! Contacteer ons op info@jansenrealestate.be of 011 39 90 50.
*De renders zijn indicatief en tonen de vergunde plannen; het betreft bouwgrond met vergunde plannen, met mogelijkheid tot realisatie van de woning op aanvraag.
De verkaveling ligt op een boogscheut van het centrum van Neeroeteren met een supermarkt en school op 500 meter. Hier woon je mooi met de achterzijde grenzend aan de Tapziepbeek, wat voor een extra natuurlijk karakter van de tuinen zorgt. Op de percelen achter de Tapziepbeek kan er volgens de verkavelingsvoorschriften niet gebouwd worden, wat betekent dat het groene karakter behouden zal blijven. Deze percelen kan je bij aankopen indien gewenst.
LOT 5: bouwgrond met vergund plan:
-Perceel Lot 5 voor open bebouwing;
-Achterliggend perceel grond Lot 10;
-Totale oppervlakte van 14a86ca.
De achterliggende percelen grond (Lot 6, 7, 8, 9 en 10) kunnen ook in zijn geheel gekocht worden. Deze totale oppervlakte bedraagt 58a62ca.
Zeer soepele bouwvoorschriften:
- bouwdiepte gelijkvloers: maximaal 17m
- bouwdiepte verdieping: maximaal 12m
- bouwbreedte: minimaal 8m
- bouwhoogte: maximaal 2 bouwlagen onder de kroonlijst: 6,5 meter bij hellende daken en 7,00 meter bij platte daken
- nokhoogte: maximaal 11 meter ten opzichte van het maaiveld
- dakhelling: vrij
Bouw je eigen woning volgens de meest recente normen en dit helemaal naar je eigen smaak. De plannen zijn vergund dus snel starten met bouwen is mogelijk!
Vermelde prijs is exclusief registratie en notariskosten. Wij ontzorgen je ook voor de verkoop van je huidige woning! Contacteer ons op info@jansenrealestate.be of 011 39 90 50.
*De renders zijn indicatief en tonen de vergunde plannen; het betreft bouwgrond met vergunde plannen, met mogelijkheid tot realisatie van de woning op aanvraag.
Energie
Op de kaart

Downloads
- Lot 5 Lot 10.jpg (jpg)
- Overzichtsplan.jpg (jpg)
- Lot5_vergunde plannen.pdf (pdf)
Financieel
| Prijs |
|---|
Berekening kosten
Je aankoopkosten? Die heb je snel berekend via de knop hieronder.
Bijkomende info
Perceel
| P-score | B |
|---|---|
| Voorkeurrecht | Nee |
| Totale oppervlakte (m²) | 1486 |
Vergunning
| Vergunning | Geen beschikbaar |
|---|---|
| Verkavelingsvergunning | Vergunning beschikbaar |
Een pand van
Jansen Real Estate
Vastgoed op het ritme van je leven
Bij Jansen Real Estate geloven we dat je je leven moet kunnen leiden zoals je zelf wil. Met zoveel mogelijk vrijheden, met zo veel mogelijk persoonlijke groeimogelijkheden, en zoveel mogelijk levensvreugde.
Ons vastgoed, waar we wonen, waar we werken, moet daarom met ons mee kunnen evalueren. Het mag geen rem zijn op onze levensloop, maar moet nieuwe kansen bieden. In die sleutelmomenten, als we onze vleugels spreiden, als we kinderen krijgen, een eigen zaak of project opstarten, als we ouder worden, en kleinkinderen krijgen,… dan zijn wij er om te helpen.
Maar op jouw ritme…
Wij zijn gespecialiseerd in Residentieel vastgoed, Bedrijfsvastgoed, Nieuwbouwprojecten en Rentmeesterschap.
6778211
Leer meer over vastgoed
23 March 2026
Op Spotto zoeken als een pro: 10 slimme tips
21 March 2026
Hoeveel kan ik lenen om een huis te kopen?
01 March 2026
Wanneer heb ik een bouwvergunning of omgevingsvergunning nodig?
17 February 2026