Verkocht
*** VERKOCHT *** Ruim bouwperceel voor halfopen bebouwing op 9a 96ca te Mopertingen, grenzend aan agrarische zone
€ 139.000
Een pand van Zaken- en Immokantoor GOFFIN
Favoriet
Jouw zoektocht
Jouw scoretabel voor dit pand
Aan het laden...
Jouw geplande bezichtigingen
Aan het laden...
Overzicht
- 996 m² grond
- 1 Tuin
Beschrijving
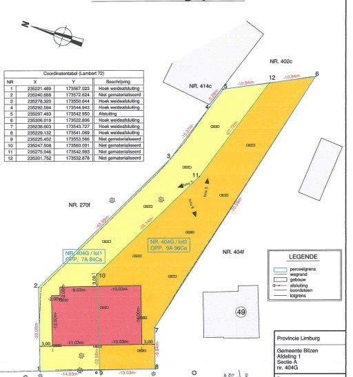
*** VERKOCHT *** In de Redemptiestraat ter hoogte van nummer 51 in Mopertingen, een gemoedelijke landelijke deelgemeente van Bilzen-Hoeselt, treft men dit aantrekkelijke perceel bouwgrond met een oppervlakte van 9a 96ca. Het perceel leent zich voor de bouw van een lichtrijke halfopen bebouwing met tuin, met een open gevel gericht op het zuiden. De zone achter het perceel heeft de bestemming agrarisch gebied, zodat bebouwing hier is uitgesloten.
Ondanks deze rustige landelijke ligging, bereikt men snel het centrum van Bilzen als het centrum van Maastricht, beiden op gelegen op een vijftal kilometer.
Enkele gunstige kenmerken:
- 9a 96ca
- Perceelbreedte 13,03 m
- Maximale breedte voorgevel: 10,03 m
- Maximale bouwdiepte gelijkvloers: 14m
- Maximale bouwdiepte 1ste verdieping: 12 m
- Vrij te kiezen bouwstijl al dan niet met hellend dak, voor zover het aanpalende perceel nog niet is ingevuld/vergund
- Ruime tuin
Maatregelen opgenomen in het Maatregelenregister: nee
Voor uitgebreide toelichting van de verkavelingsvergunning met voorschriften, neem contact op met ons kantoor. Geen bouwverplichting, waardoor dit aanbod ook in aanmerking komt als investering of als aankoop voor de volgende generatie.
Ondanks deze rustige landelijke ligging, bereikt men snel het centrum van Bilzen als het centrum van Maastricht, beiden op gelegen op een vijftal kilometer.
Enkele gunstige kenmerken:
- 9a 96ca
- Perceelbreedte 13,03 m
- Maximale breedte voorgevel: 10,03 m
- Maximale bouwdiepte gelijkvloers: 14m
- Maximale bouwdiepte 1ste verdieping: 12 m
- Vrij te kiezen bouwstijl al dan niet met hellend dak, voor zover het aanpalende perceel nog niet is ingevuld/vergund
- Ruime tuin
Maatregelen opgenomen in het Maatregelenregister: nee
Voor uitgebreide toelichting van de verkavelingsvergunning met voorschriften, neem contact op met ons kantoor. Geen bouwverplichting, waardoor dit aanbod ook in aanmerking komt als investering of als aankoop voor de volgende generatie.
Energie
- Verwarming: Geen
- Beglazing: Onbekend
Op de kaart

Financieel
| Prijs | |
|---|---|
| Kadastraal inkomen (niet geïndexeerd) | € 9 |
Berekening kosten
Je aankoopkosten? Die heb je snel berekend via de knop hieronder.
Bijkomende info
Gebouw
| Is beschermd | Nee |
|---|
Ruimtes
| Tuin | 790 m² |
|---|
Perceel
| Diepte (m) | 60 |
|---|---|
| Breedte (m) | 22 |
| Overstromingsgevoelig | Geen |
| P-score | A |
| Voorkeurrecht | Nee |
| Totale oppervlakte (m²) | 996 |
| Oriëntatie tuin | ZuidOost |
Vergunning
| Vergunning | Geen beschikbaar |
|---|---|
| Verkavelingsvergunning | Vergunning beschikbaar |
| Type gebied | Landelijk |
Uitrusting
| Meerdere eigenaars | Nee |
|---|---|
| Rioolaansluiting | Nee |
| Gasaansluiting | Nee |
| Wateraansluiting | Nee |
| Elektriciteitsaansluiting | Nee |
| TV aansluiting | Nee |
| Internetaansluiting | Nee |
Een pand van
Zaken- en Immokantoor GOFFIN
Immo GOFFIN
Immo GOFFIN staat U voortdurend bij bij de verkoop of verhuur van uw eigendommen.
Dankzij meer dan 20 jaar notariële ervaring, samen meer dan 60 jaar ervaring als officieel erkende BIV vastgoedmakelaars in Hoeselt en omliggende gemeenten, de juridische vorming en fiscale opleiding tot belastingconsulent en de doorgedreven regionale marktkennis, realiseerde Zaken- en Immokantoor GOFFIN een groot aantal verkopen en geven dagelijks een groot aantal eigenaars – verhuurders ons het vertrouwen om hun pand op de huurmarkt aan te bieden en te beheren.
De opvolging door de tweede generatie zorgt voor verjonging, gedrevenheid en continuïteit van het kantoor en de samenwerking met onze klanten, ook op lange termijn. Daarbij hoort voortdurende bijscholing en opleiding om U te blijven dienen met grondige kennis van zaken, in een snel veranderende wereld. Voortdurende communicatie en nauwe opvolging zorgt ervoor dat U steeds betrokken blijft bij uw dossier, met respect voor uw standpunt en verlangens.
Immo GOFFIN biedt U een vlotte, persoonlijke en zeer correcte dienstverlening, met grondige kennis van zaken en vertrekkende vanuit zeer duidelijke afspraken, zowel voor de verkoper als voor de koper, voor de verhuurder als voor de huurder.
Redemptiestraat
Leer meer over vastgoed
23 March 2026
Op Spotto zoeken als een pro: 10 slimme tips
21 March 2026
Hoeveel kan ik lenen om een huis te kopen?
01 March 2026
Wanneer heb ik een bouwvergunning of omgevingsvergunning nodig?
17 February 2026