BOUWGROND VOOR RUIME OB VAN 18A80CA TE PELT (OVERPELT)
€ 160.000
Een pand van Momentum Vastgoed
Favoriet
Jouw zoektocht
Jouw scoretabel voor dit pand
Aan het laden...
Jouw geplande bezichtigingen
Aan het laden...
Overzicht
- 1880 m² grond
Beschrijving
KNAPPE BOUWGROND VOOR RUIME OPEN BEBOUWING VAN MAAR LIEFST 18A80CA TE PELT (OVERPELT)
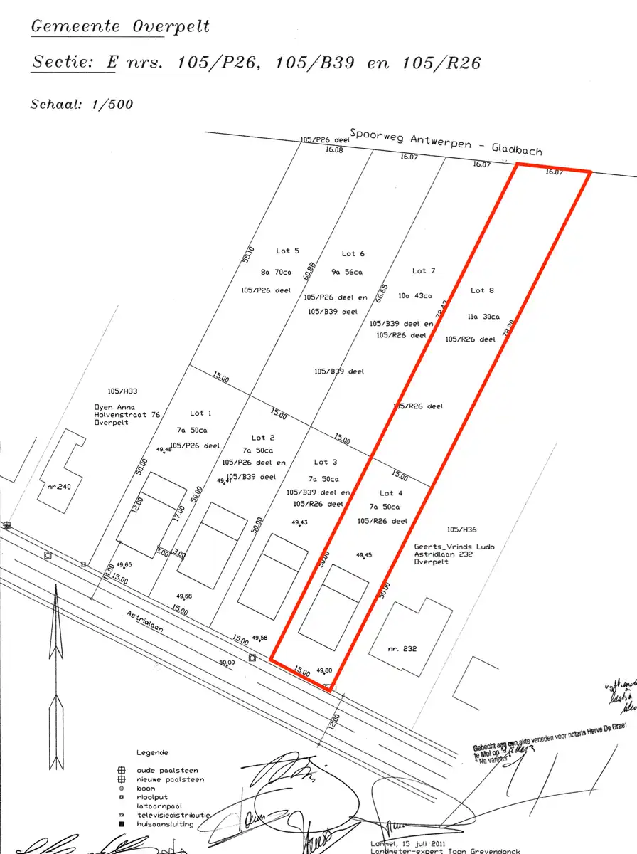
Deze bouwgrond, gekend als lot 4 van een goedgekeurde verkaveling met achterliggende grond gekend als lot 8 zijn samen 18a80ca groot.
Van hieruit bereik je met de wagen van het centrum van Pelt (Overpelt), de Noord Zuid verbinding (N74) en de verbindingsweg naar Lommel binnen enkele minuten.
Deze bouwgrond is geschikt voor het bouwen van een open bebouwing. De perceelbreedte aan straatzijde bedraagt 15 meter en heeft een gemiddelde diepte van 125 meter (122,43 meter diep aan de ene zijde, 128,20 meter diep aan de andere zijde).
De gezinswoning die gebouwd zal worden, mag op 3 meter van de zijdelingse perceelsgrenzen ingepland worden en mag een maximum bouwdiepte op het gelijkvloers van 17 meter en van 12 meter op verdieping hebben. De kroonlijsthoogte kan maximaal 7 en de nokhoogte maximum 11 meter bedragen. De dakvorm is vrij te kiezen. Een vrijstaand bijgebouwd is eveneens toegelaten onder bepaalde voorwaarden.
Functies, complementair aan het wonen zoals kantoorfunctie, vrij beroep, handel, horeca, dienstverlening en ambacht zijn toegelaten mits geringere oppervlakte dan de woonfunctie (die hoofdfunctie heeft) tot max. 100 m2.
Alle relevante documentatie zoals wettelijk verplichte documenten, verkavelingsvoorschriften, -vergunning en plan kan u raadplegen op onze website, onder “downloads” bij de betreffende advertentie.
Interesse of vragen? Contacteer ons op 011 96 51 76 of mail naar info@momentumvastgoed.be.
Deze bouwgrond, gekend als lot 4 van een goedgekeurde verkaveling met achterliggende grond gekend als lot 8 zijn samen 18a80ca groot.
Van hieruit bereik je met de wagen van het centrum van Pelt (Overpelt), de Noord Zuid verbinding (N74) en de verbindingsweg naar Lommel binnen enkele minuten.
Deze bouwgrond is geschikt voor het bouwen van een open bebouwing. De perceelbreedte aan straatzijde bedraagt 15 meter en heeft een gemiddelde diepte van 125 meter (122,43 meter diep aan de ene zijde, 128,20 meter diep aan de andere zijde).
De gezinswoning die gebouwd zal worden, mag op 3 meter van de zijdelingse perceelsgrenzen ingepland worden en mag een maximum bouwdiepte op het gelijkvloers van 17 meter en van 12 meter op verdieping hebben. De kroonlijsthoogte kan maximaal 7 en de nokhoogte maximum 11 meter bedragen. De dakvorm is vrij te kiezen. Een vrijstaand bijgebouwd is eveneens toegelaten onder bepaalde voorwaarden.
Functies, complementair aan het wonen zoals kantoorfunctie, vrij beroep, handel, horeca, dienstverlening en ambacht zijn toegelaten mits geringere oppervlakte dan de woonfunctie (die hoofdfunctie heeft) tot max. 100 m2.
Alle relevante documentatie zoals wettelijk verplichte documenten, verkavelingsvoorschriften, -vergunning en plan kan u raadplegen op onze website, onder “downloads” bij de betreffende advertentie.
Interesse of vragen? Contacteer ons op 011 96 51 76 of mail naar info@momentumvastgoed.be.
Energie
Op de kaart

Downloads
- Bodemattest 105E063.pdf (pdf)
- Bodemattest 105F063.pdf (pdf)
- ConformiteitsAttesten-O2024-0585649-27_6_2024.pdf (pdf)
- ConformiteitsAttesten-O2024-0585663-27_6_2024.pdf (pdf)
- Gewestinfo-O2024-0585645-27_6_2024.pdf (pdf)
- Gewestinfo-O2024-0585658-27_6_2024.pdf (pdf)
- Goedgekeurde erkavelingsplannen.pdf (pdf)
- Goedgekeurde verkaveling - vergunning.PDF (PDF)
- Goedgekeurde verkavelingsvergunningen.PDF (PDF)
- Herstelvorderingen-O2024-0585650-27_6_2024.pdf (pdf)
- Herstelvorderingen-O2024-0585662-27_6_2024.pdf (pdf)
- Kadastraal_uittreksel_MV411-1.pdf (pdf)
- Kadastraal_uittreksel_MV411-2.pdf (pdf)
- OngeschiktOnbewoonbaar-O2024-0585653-27_6_2024.pdf (pdf)
- OngeschiktOnbewoonbaar-O2024-0585665-27_6_2024.pdf (pdf)
- OnroerendErfgoed-O2024-0585647-27_6_2024.pdf (pdf)
- OnroerendErfgoed-O2024-0585660-27_6_2024.pdf (pdf)
- Overstromingsgevaar-O2024-0585648-27_6_2024.pdf (pdf)
- Overstromingsgevaar-O2024-0585659-27_6_2024.pdf (pdf)
- RechtVanVoorkoop-O2024-0585646-27_6_2024.pdf (pdf)
- RechtVanVoorkoop-O2024-0585661-27_6_2024.pdf (pdf)
- STB INFO 105E63.pdf (pdf)
- STB INFO 105F63.pdf (pdf)
- Maatregelenregister voor Overdracht1.pdf (pdf)
- Maatregelenregister voor Overdracht2.pdf (pdf)
Financieel
| Prijs |
|---|
Berekening kosten
Je aankoopkosten? Die heb je snel berekend via de knop hieronder.
Bijkomende info
Perceel
| Overstromingsgevoelig | Geen |
|---|---|
| P-score | A |
| Voorkeurrecht | Nee |
| Totale oppervlakte (m²) | 1880 |
Vergunning
| Vergunning | Geen beschikbaar |
|---|---|
| Verkavelingsvergunning | Vergunning beschikbaar |
| Bouwovertreding | Geen |
| Bouwovertreding dagvaardiging | Geen |
Een pand van
Momentum Vastgoed
Momentum Vastgoed is een 'no-nonsense' vastgoedkantoor gevestigd te Hasselt en Genk, actief op de vastgoedmarkt in heel Limburg en omstreken.
Momentum Vastgoed is een 'no-nonsense' vastgoedkantoor gevestigd te Hasselt en Genk, actief op de vastgoedmarkt in heel Limburg en omstreken. Met een rugzak vol ervaring en enorme passie voor de job betreden we de Limburgse vastgoedmarkt.
Passie, ervaring en strategie belichamen ons vastgoedkantoor en door deze ingrediënten te mixen, weten wij "momentum" te creeëren rond ieder onroerend goed.
De bezielers van dit vastgoedkantoor weten u als geen ander wegwijs te maken en te begeleiden in het inmiddels complexe vastgoedlandschap.
Wil u graag samenwerken met dé specialisten inzake verkoop of verhuur van uw woning, appartement, bouwgrond of bedrijfsvastgoed? Bent u op huizenjacht, maar ziet u de bomen door het bos niet meer en heeft u nood aan een aankoopmakelaar of vastgoedcoach? Doet u aan projectontwikkeling en wenst u deskundig en beslissend verkoopadvies?
Kortom, zoekt u een hands-on partner in uw vastgoed-avontuur?
Wijzelf behandelen ieder dossier met de nodige commerciële en professionele aanpak van A tot Z, zonder tussenpersonen en dit altijd met de puntjes op de i.
Bel of mail ons, geheel vrijblijvend voor al uw vragen en wij helpen u graag verder!
MV411/2
Leer meer over vastgoed
23 March 2026
Op Spotto zoeken als een pro: 10 slimme tips
21 March 2026
Hoeveel kan ik lenen om een huis te kopen?
01 March 2026
Wanneer heb ik een bouwvergunning of omgevingsvergunning nodig?
17 February 2026