Bouwgrond van 9a78 geschikt voor een open bebouwing te kaulille (Bocholt)
€ 159.500
Een pand van Immosign+ BV
Favoriet
Jouw zoektocht
Jouw scoretabel voor dit pand
Aan het laden...
Jouw geplande bezichtigingen
Aan het laden...
Overzicht
- 978 m² grond
Beschrijving
PLUSPUNTEN:
+ perceeloppervlakte: 978 m²
+ geschikt voor open bebouwing
+ gewestplan: woongebied met landelijk karakter
+ gelegen aan verbindingsweg Bochollt-Kaulille
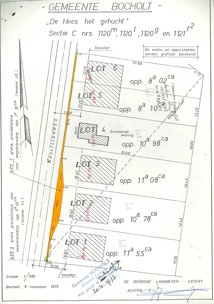
+ lot 3 van verkaveling
+ geen BPA of RUP van toepassing
+ perceeloppervlakte: 978 m²
+ geschikt voor open bebouwing
+ gewestplan: woongebied met landelijk karakter
+ gelegen aan verbindingsweg Bochollt-Kaulille
+ lot 3 van verkaveling
+ geen BPA of RUP van toepassing
PLUSPUNTEN:
+ perceeloppervlakte: 978 m²
+ geschikt voor open bebouwing
+ gewestplan: woongebied met landelijk karakter
+ gelegen aan verbindingsweg Bocholt-Kaulille
+ lot 3 van de verkaveling
+ geen BPA of RUP van toepassing
ALGEMEEN:
In het landelijke Bocholt (Kaulille) is deze bouwgrond gelegen aan de Kaulillerweg 135. De Kaulillerweg is de verbindingsweg tussen Bocholt en Kaulille.
Het perceel is in totaal 978 m² en geschikt voor het realiseren van een open bebouwing.
VERKAVELINGSVOORSCHRIFTEN en bijhorend plan:
SUCCESVOL VERKOPEN?
Dankzij succesvolle transacties zijn wij steeds op zoek naar nieuw aanbod voor onze zoekende kandidaat-kopers en -huurders. Overweegt u te verkopen of te verhuren? Informeer vrijblijvend naar onze werkwijze.
HOUD ME OP DE HOOGTE:
Niet gevonden wat u zocht? Schrijf u gratis in op onze website zodat u vrijblijvend op de hoogte wordt gebracht van nieuw aanbod: https://www.immosign-plus.be/nl/hou-me-op-de-hoogte/
Heeft u interesse in deze bouwgrond? Contacteer ons dan op +32 89 87 03 67 of mail naar info@immosign-plus.be voor het maken van een vrijblijvende afspraak.
+ perceeloppervlakte: 978 m²
+ geschikt voor open bebouwing
+ gewestplan: woongebied met landelijk karakter
+ gelegen aan verbindingsweg Bocholt-Kaulille
+ lot 3 van de verkaveling
+ geen BPA of RUP van toepassing
ALGEMEEN:
In het landelijke Bocholt (Kaulille) is deze bouwgrond gelegen aan de Kaulillerweg 135. De Kaulillerweg is de verbindingsweg tussen Bocholt en Kaulille.
Het perceel is in totaal 978 m² en geschikt voor het realiseren van een open bebouwing.
- Perceelbreedte: 18m40
- Perceeldiepte: 61m08
VERKAVELINGSVOORSCHRIFTEN en bijhorend plan:
- zie dossierstukken;
SUCCESVOL VERKOPEN?
Dankzij succesvolle transacties zijn wij steeds op zoek naar nieuw aanbod voor onze zoekende kandidaat-kopers en -huurders. Overweegt u te verkopen of te verhuren? Informeer vrijblijvend naar onze werkwijze.
HOUD ME OP DE HOOGTE:
Niet gevonden wat u zocht? Schrijf u gratis in op onze website zodat u vrijblijvend op de hoogte wordt gebracht van nieuw aanbod: https://www.immosign-plus.be/nl/hou-me-op-de-hoogte/
Heeft u interesse in deze bouwgrond? Contacteer ons dan op +32 89 87 03 67 of mail naar info@immosign-plus.be voor het maken van een vrijblijvende afspraak.
Energie
- E-peil: E0
- Beglazing: Onbekend
Op de kaart

Financieel
| Prijs | |
|---|---|
| Kadastraal inkomen (niet geïndexeerd) | € 2 |
Berekening kosten
Je aankoopkosten? Die heb je snel berekend via de knop hieronder.
Bijkomende info
Gebouw
| Bouwcertificaat | Nee |
|---|
Perceel
| Overstromingsgevoelig | Geen |
|---|---|
| P-score | C |
| Totale oppervlakte (m²) | 978 |
| Oriëntatie tuin | Zuidwest |
Vergunning
| Verkavelingsvergunning | Geen beschikbaar |
|---|
Uitrusting
| Investeringspand | Nee |
|---|---|
| Rioolaansluiting | Nee |
| Gasaansluiting | Nee |
| Wateraansluiting | Nee |
| Elektriciteitsaansluiting | Nee |
| Internetaansluiting | Nee |
| Telefoonaansluiting | Nee |
Een pand van
Immosign+ BV
Immosign+, meerwaarde in vastgoed!
Welkom bij immosign+ BV!
Op zoek naar een professioneel en enthousiast team voor de verkoop of verhuur van uw onroerend goed? Contacteer ons dan voor een vrijblijvende afspraak via +32 89 87 03 67 of mail naar info@immosign-plus.be voor een gratis schatting.
Bij ons staat kwaliteit boven kwantiteit en geniet u van een persoonlijke begeleiding.
Tevens beschikken wij onze BIV-erkenningsnummer - https://www.biv.be.
Passie voor vastgoed en feeling voor verkoop en verhuur
473-KAU-135-NEW
Leer meer over vastgoed
Nieuw
23 March 2026
Op Spotto zoeken als een pro: 10 slimme tips
21 March 2026
Hoeveel kan ik lenen om een huis te kopen?
01 March 2026
Wanneer heb ik een bouwvergunning of omgevingsvergunning nodig?
17 February 2026