Bouwgrond voor open bebouwing in het landelijke Ruddervoorde.
Een pand van CAENEN OOSTKAMP
Favoriet
Jouw zoektocht
Jouw scoretabel voor dit pand
Aan het laden...
Jouw geplande bezichtigingen
Aan het laden...
Overzicht
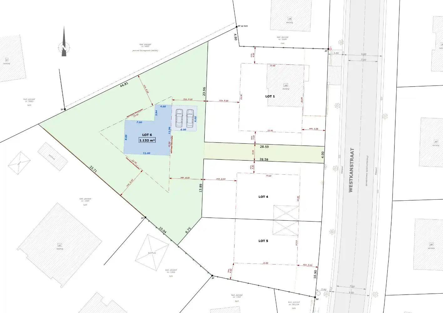
- 1132 m² grond
Beschrijving
Deze bouwgrond, gelegen in de Westkantstraat (t.h.v. nr. 20) is geschikt voor eengezinswoningen, met inbegrip van zorgwoningen, kantoorfunctie, vrij beroep of dienstverlening.
Landelijk gelegen en op enkele minuten van het centrum van Ruddervoorde. Op- en afrit autosnelweg Ruddervoorde op amper 5min afstand.
Het perceel (lot 6), zuid-west georiënteerd met een oppervlak van 1.132m2 is bestemd voor open bebouwing, geen bouwstijl opgelegd.
Voor meer informatie neem contact op met oostkamp@caenen.be of 050 66 12 12.
Landelijk gelegen en op enkele minuten van het centrum van Ruddervoorde. Op- en afrit autosnelweg Ruddervoorde op amper 5min afstand.
Het perceel (lot 6), zuid-west georiënteerd met een oppervlak van 1.132m2 is bestemd voor open bebouwing, geen bouwstijl opgelegd.
- De inplanting van het hoofdgebouw gebeurt binnen de aangeduide zone op het verkavelingsplan.
- De bouwhoogte mag 1 bouwlaag bedragen met kamers in het dak (vrije dakvorm), maximum kroonlijsthoogte van 3.50m.
- Bijgebouw van max. 40m2.
Voor meer informatie neem contact op met oostkamp@caenen.be of 050 66 12 12.
Energie
- E-peil: E0
- Beglazing: Onbekend
Op de kaart

Financieel
| Prijs |
|---|
Berekening kosten
Je aankoopkosten? Die heb je snel berekend via de knop hieronder.
Bijkomende info
Gebouw
| Bouwcertificaat | Nee |
|---|
Perceel
| Overstromingsgevoelig | Geen |
|---|---|
| Totale oppervlakte (m²) | 1132 |
| Oriëntatie tuin | Zuidwest |
Vergunning
| Verkavelingsvergunning | Vergunning beschikbaar |
|---|
Uitrusting
| Investeringspand | Nee |
|---|---|
| Rioolaansluiting | Ja |
| Gasaansluiting | Ja |
| Wateraansluiting | Ja |
| Elektriciteitsaansluiting | Ja |
| Internetaansluiting | Nee |
| Telefoonaansluiting | Nee |
Een pand van
CAENEN OOSTKAMP
Verkoop je vastgoed aan de beste prijs!
CAENEN, één van de belangrijkste professionele vastgoedspelers aan de Belgische Kust en het hinterland, waar u al decennialang op kan vertrouwen!
Westkantstraat - LOT 6C
Leer meer over vastgoed
Nieuw
24 April 2026
Duurzaam gelegen woning? Check je Mobiscore
23 March 2026
Op Spotto zoeken als een pro: 10 slimme tips
21 March 2026
Hoeveel kan ik lenen om een huis te kopen?
01 March 2026