Exclusieve bouwopportuniteit in het groene Beervelde
€ 275.000
Een pand van Woonhoek vastgoed
Jouw zoektocht
Overzicht
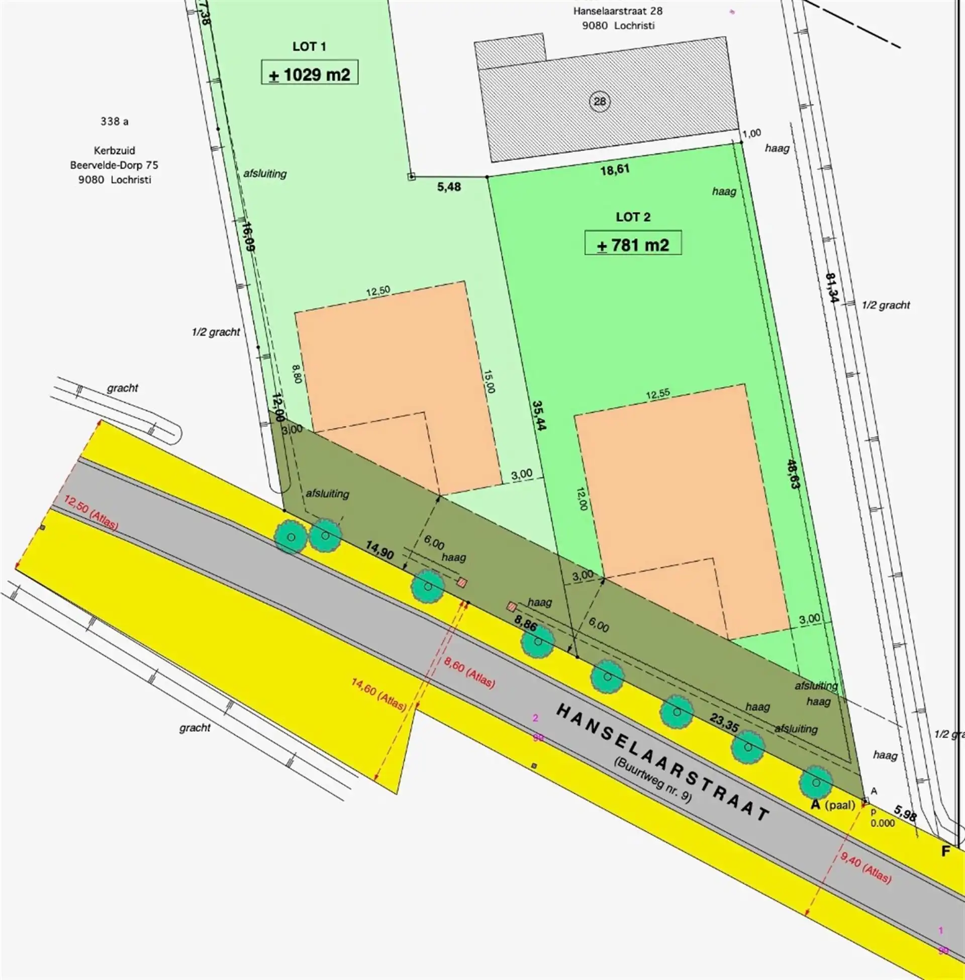
- 749 m² grond
Beschrijving
Droomt u van bouwen op een rustige locatie, omgeven door groen en met een prachtig zicht op de velden? Deze bouwgrond voor een open bebouwing biedt een unieke kans om uw toekomstige BEN-woning te realiseren in een idyllische, autoluwe omgeving.
Hier geniet u van het beste van twee werelden: rust en natuur, gecombineerd met een centrale ligging nabij het centrum van Beervelde en een vlotte bereikbaarheid van alle voorzieningen.
Bouwmogelijkheden:
• Bouwdiepte gelijkvloers: 15 m
• Bouwbreedte gelijkvloers: 12,5 m
• Bouwdiepte verdieping: 12 m
• Zijdelingse bouwvrije strook: 3 m
• Voortuinstrook: 6 m
• Maximale kroonlijsthoogte: 6,2 m
Alle aanvragen worden beoordeeld volgens de principes van een goede ruimtelijke ordening, waardoor afwijkingen op deze richtlijnen mogelijk zijn.
Een uitzonderlijke kans om uw droomwoning in een groene en serene omgeving te realiseren.
De 3D-render van de afgebeelde woning is illustratief en kan aangepast worden aan uw woonwensen.
Plan uw bezoek via 09 310 77 07 of via info@woonhoekvastgoed.be
Energie
- E-peil: E0
- Beglazing: Onbekend
Op de kaart

Financieel
| Prijs | |
|---|---|
| Kadastraal inkomen (niet geïndexeerd) | € 6 |
| Kadastraal inkomen (geïndexeerd) | € 0 |
Berekening kosten
Je aankoopkosten? Die heb je snel berekend via de knop hieronder.
Bijkomende info
Gebouw
| Bouwcertificaat | Nee |
|---|
Perceel
| Diepte (m) | 40 |
|---|---|
| Breedte (m) | 18 |
| Overstromingsgevoelig | Geen |
| P-score | A |
| Voorkeurrecht | Nee |
| Totale oppervlakte (m²) | 749 |
Uitrusting
| Investeringspand | Nee |
|---|---|
| Rioolaansluiting | Nee |
| Gasaansluiting | Nee |
| Wateraansluiting | Nee |
| Elektriciteitsaansluiting | Nee |
| TV aansluiting | Nee |
| Internetaansluiting | Nee |
| Telefoonaansluiting | Nee |