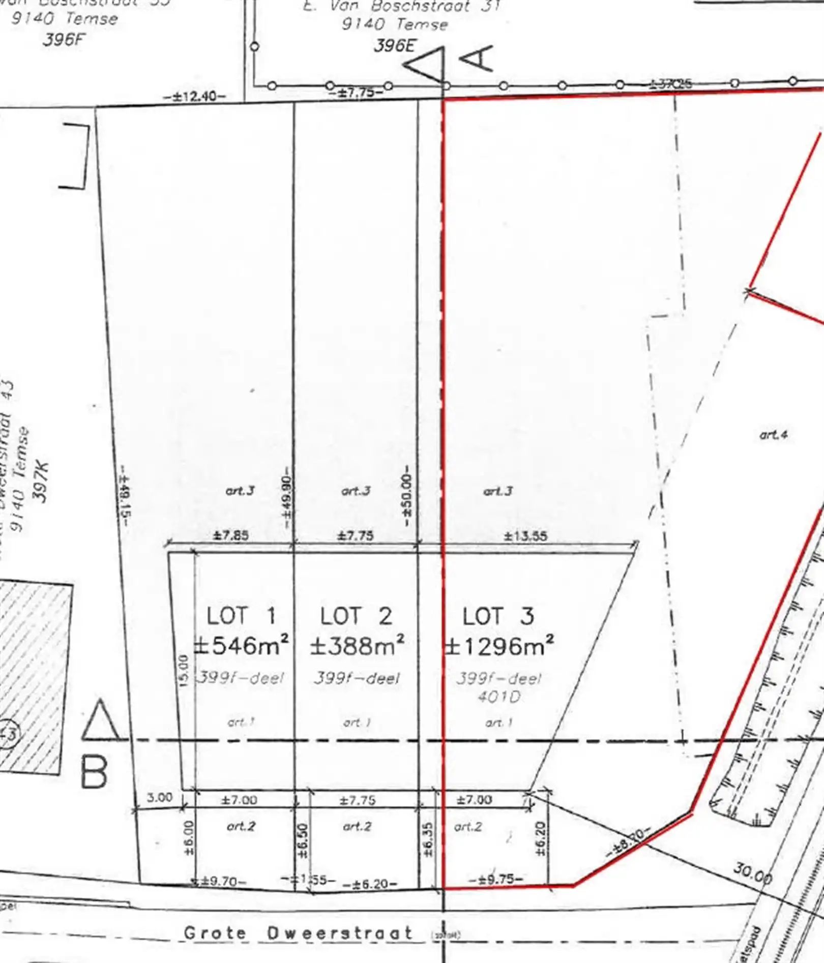
Mooi stuk bouwgrond in een woonwijk aan de rand van Temse
€ 179.000
Een pand van Immo De Prins
Favoriet
Jouw zoektocht
Jouw scoretabel voor dit pand
Aan het laden...
Jouw geplande bezichtigingen
Aan het laden...
Overzicht
- 1296 m² grond
Beschrijving
Mooi stuk bouwgrond met een grootte van 1296m² en aangrenzende bouwvrije strook, gelegen in een woonwijk aan de rand van Temse. Geschikt voor het plaatsen van een halfopen bebouwing. Mogelijkheid om aangrenzende percelen aan te kopen van extra 900 vierkante meter .
Zie foto's voor eventuele mogelijkheden tot het bouwen. Hierbij wordt u begeleidt door de firma Archiworx.
Zie foto's voor eventuele mogelijkheden tot het bouwen. Hierbij wordt u begeleidt door de firma Archiworx.
Energie
- E-peil: E0
- Beglazing: Onbekend
Op de kaart

Financieel
| Prijs | |
|---|---|
| Kadastraal inkomen (niet geïndexeerd) | € 0 |
| Kadastraal inkomen (geïndexeerd) | € 0 |
Berekening kosten
Je aankoopkosten? Die heb je snel berekend via de knop hieronder.
Bijkomende info
Gebouw
| Bouwcertificaat | Nee |
|---|
Perceel
| Overstromingsgevoelig | Geen |
|---|---|
| Voorkeurrecht | Ja |
| Totale oppervlakte (m²) | 1296 |
Vergunning
| Vergunning | Geen beschikbaar |
|---|---|
| Verkavelingsvergunning | Geen beschikbaar |
Uitrusting
| Investeringspand | Nee |
|---|---|
| Rioolaansluiting | Nee |
| Gasaansluiting | Nee |
| Wateraansluiting | Nee |
| Elektriciteitsaansluiting | Nee |
| TV aansluiting | Nee |
| Internetaansluiting | Nee |
| Telefoonaansluiting | Nee |
Een pand van
Immo De Prins
Immo De Prins een vaste waarde in vastgoed
Immo De Prins is al 30 jaar hét vertrouwde adres in het Waasland.
Waar uw vastgoed snel en efficiënt verkocht of verhuurd wordt.
En waar vakkennis, ervaring en transparantie voorop staan.
GROTE DWEERSSTRAAT TEMSE
Leer meer over vastgoed
Nieuw
23 March 2026
Op Spotto zoeken als een pro: 10 slimme tips
Nieuw
21 March 2026
Hoeveel kan ik lenen om een huis te kopen?
01 March 2026
Wanneer heb ik een bouwvergunning of omgevingsvergunning nodig?
17 February 2026