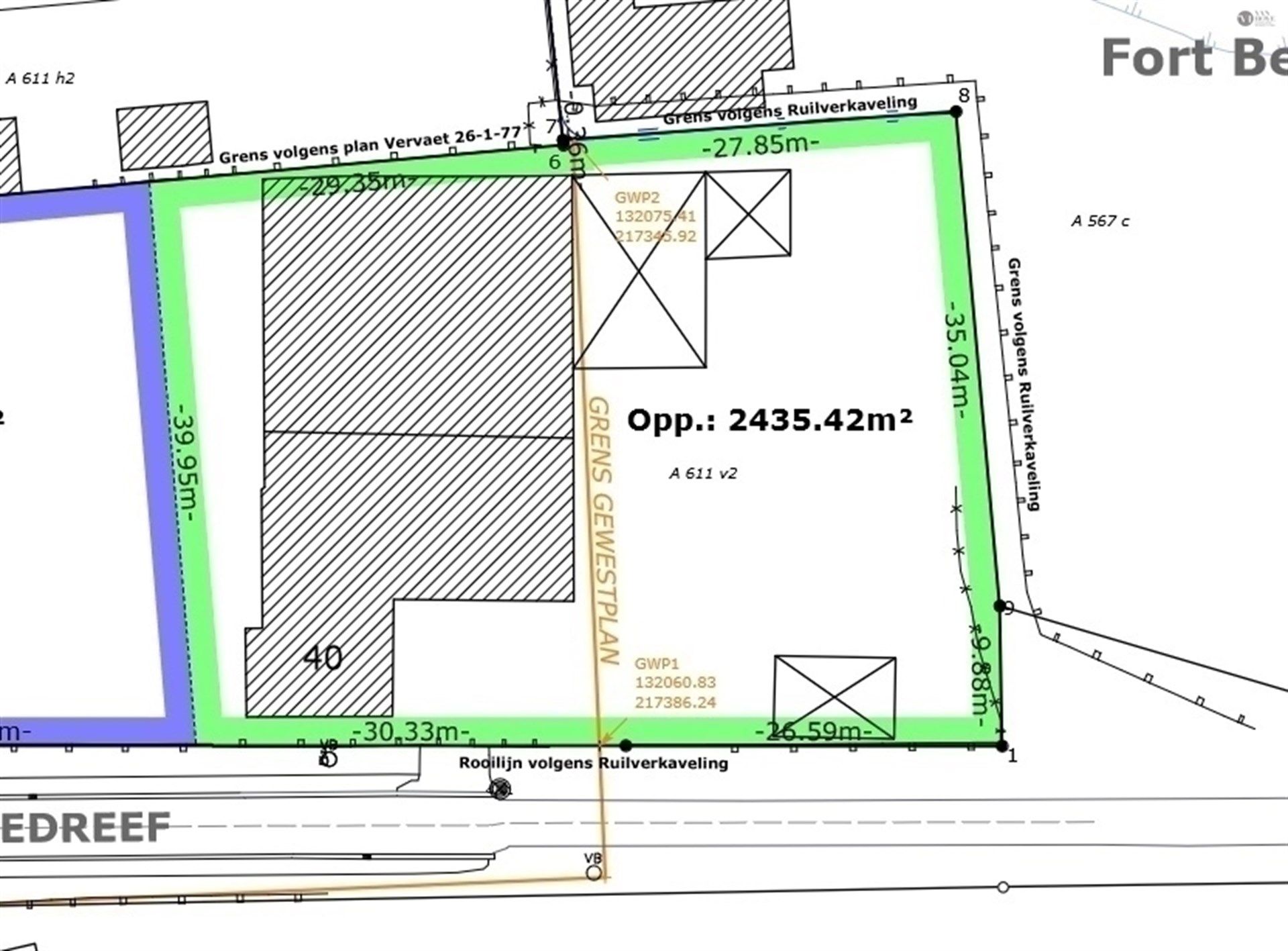
Charmante woning met bijgebouwen op 2435m².
€ 458.000
Een pand van Van Hoye Vastgoed
Overzicht
- 185 m² bewoonbaar
- 2435 m² grond
- 3 Slaapkamer(s)
- 1 Badkamer(s)
- 2 Toilet(ten)
- 1 Garage(s)
Beschrijving
Charmante woning met garage en bijgebouwen op perceel van 2435m².
info of bezoek, reservatie via SMS 0470 30 20 10
Deze eigendom biedt mogelijkheid tot gelijkvloers wonen, ook geschikt voor het stallen van een paardje of/en zelfstandige activiteit.
De rustige locatie, de breedte van het perceel en de degelijke constructie van de woning zijn slechts enkele troeven die deze eigendom te bieden heeft.
LIGGING: Gelegen in een oase van groen nabij het gezellige centrum De Klinge met zeer makkelijke verbinding tot invalswegen zoals E34 en Waaslandhaven.
INDELING :
Woning : Deze woning werd opgericht in 1991 en beschikt over 185m² bewoonbare oppervlakte.
GLV : inkomhal, ruime woonkamer, keuken, wasplaats, berging, nachthal, slaapkamer en badkamer, aansluitend een garage met toilet. Verdieping via vaste trap : ruimte van 77m² (minimaal 2 extra slaapkamers).
De tuin is zeer uitgestrekt en biedt een oase van rust.
Bijgebouwen: aansluitende stallingen en hoge loods, bereikbaar via aparte toegang.
EXTRA: dubbel glas/hout, degelijke constructie, prachtig perceel, EPC 654 kWh/m2 simulatie: indien volledige woning zou verwarmd worden met lucht-lucht warmtepompen dan zakt de score tot een label D!
Deze eigendom biedt vele mogelijkheden. Er kan bijvoorbeeld een extra woning opgetrokken worden met 60m² bewoonbare oppervlakte...
Energie
![]() |
- Energieverbruik: 654 kWh/m²/jaar
- E-peil: E0
- Beglazing: Standaard dubbel
Extra budget nodig voor je renovatie?

Op de kaart

Financieel
| Prijs | |
|---|---|
| Kadastraal inkomen (niet geïndexeerd) | € 750 |
| Kadastraal inkomen (geïndexeerd) | € 0 |
Berekening kosten
Je aankoopkosten? Die heb je snel berekent via de knop hieronder.
Bijkomende info
Gebouw
| Bouwjaar | 1991 |
|---|---|
| Staat | Goed onderhouden |
| Bouwcertificaat | Nee |
| Bewoonbaar (m²) | 185 |
| Verdieping | 0 |
| Badkamers | 1 |
| Slaapkamers | 3 |
| Verdiepingen | 0 |
| Garages | 1 |
| Parkeerplaatsen | 3 |
| Doucheruimtes | 0 |
| Toiletten | 2 |
Faciliteiten
| Keuken uitrusting | Luxueus uitgerust |
|---|---|
| Materiaal ramenomlijstingen | Hout |
| Beglazing | Standaard dubbel |
| Elektrisch keuringsattest | Nee |
Perceel
| Breedte (m) | 30 |
|---|---|
| Overstromingsgevoelig | Geen |
| P-score | A |
| G-score | A |
| Voorkeurrecht | Nee |
| Totale oppervlakte (m²) | 2435 |
| Bebouwde oppervlakte (m²) | 0 |
| Tuin oppervlakte (m²) | 0 |
| Oppervlakte terras (m²) | 0 |
Vergunning
| Vergunning | Vergunning beschikbaar |
|---|---|
| Verkavelingsvergunning | Geen beschikbaar |
Uitrusting
| Investeringspand | Nee |
|---|---|
| Geschikt voor praktijk | Nee |
| Parking | Ja |
| Garage | Ja |
| Thuiskantoor | Nee |
| Kelder | Nee |
| Zolder | Ja |
| Tuin | Nee |
| Terras | Nee |
| Lift | Nee |
| Rioolaansluiting | Nee |
| Gasaansluiting | Nee |
| Wateraansluiting | Nee |
| Elektriciteitsaansluiting | Nee |
| TV aansluiting | Nee |
| Internetaansluiting | Nee |
| Telefoonaansluiting | Nee |



