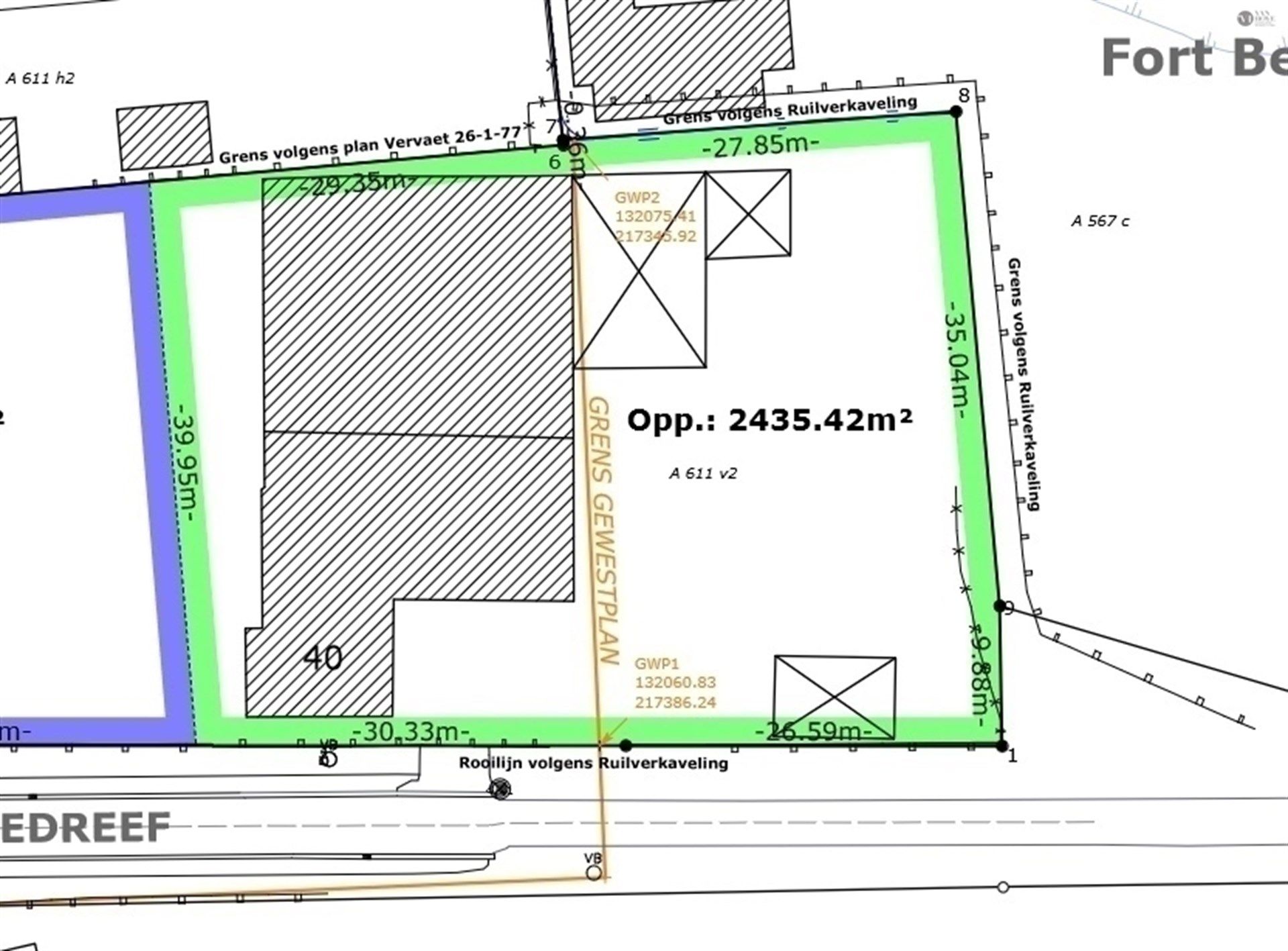
Charmante woning met bijgebouwen op 2435m².
€ 458.000
Een pand van Van Hoye Vastgoed
Overzicht
- 185 m² bewoonbaar
- 2435 m² grond
- 3 Slaapkamer(s)
- 1 Badkamer(s)
- 2 Toilet(ten)
- 1 Garage(s)
Beschrijving
Charmante woning met garage en bijgebouwen op perceel van 2435m².
info of bezoek, reservatie via SMS 0470 30 20 10
Deze eigendom biedt mogelijkheid tot gelijkvloers wonen, ook geschikt voor het stallen van een paardje of/en zelfstandige activiteit.
De rustige locatie, de breedte van het perceel en de degelijke constructie van de woning zijn slechts enkele troeven die deze eigendom te bieden heeft.
LIGGING: Gelegen in een oase van groen nabij het gezellige centrum De Klinge met zeer makkelijke verbinding tot invalswegen zoals E34 en Waaslandhaven.
INDELING :
Woning : Deze woning werd opgericht in 1991 en beschikt over 185m² bewoonbare oppervlakte.
GLV : inkomhal, ruime woonkamer, keuken, wasplaats, berging, nachthal, slaapkamer en badkamer, aansluitend een garage met toilet. Verdieping via vaste trap : ruimte van 77m² (minimaal 2 extra slaapkamers).
De tuin is zeer uitgestrekt en biedt een oase van rust.
Bijgebouwen: aansluitende stallingen en hoge loods, bereikbaar via aparte toegang.
EXTRA: dubbel glas/hout, degelijke constructie, prachtig perceel, EPC 654 kWh/m2 simulatie: indien volledige woning zou verwarmd worden met lucht-lucht warmtepompen dan zakt de score tot een label D!
Deze eigendom biedt vele mogelijkheden. Er kan bijvoorbeeld een extra woning opgetrokken worden met 60m² bewoonbare oppervlakte...
Energie
![]() |
- Energieverbruik: 654 kWh/m²/jaar
- E-peil: E0
- Beglazing: Standaard dubbel
Extra budget nodig voor je renovatie?

Op de kaart

Financieel
Prijs | |
---|---|
Kadastraal inkomen (niet geïndexeerd) | € 750 |
Kadastraal inkomen (geïndexeerd) | € 0 |
Berekening kosten
Je aankoopkosten? Die heb je snel berekent via de knop hieronder.
Bijkomende info
Gebouw
Bouwjaar | 1991 |
---|---|
Staat | Goed onderhouden |
Bouwcertificaat | Nee |
Bewoonbaar (m²) | 185 |
Verdieping | 0 |
Badkamers | 1 |
Slaapkamers | 3 |
Verdiepingen | 0 |
Garages | 1 |
Parkeerplaatsen | 3 |
Doucheruimtes | 0 |
Toiletten | 2 |
Faciliteiten
Keuken uitrusting | Luxueus uitgerust |
---|---|
Materiaal ramenomlijstingen | Hout |
Beglazing | Standaard dubbel |
Elektrisch keuringsattest | Nee |
Perceel
Breedte (m) | 30 |
---|---|
Overstromingsgevoelig | Geen |
P-score | A |
G-score | A |
Voorkeurrecht | Nee |
Totale oppervlakte (m²) | 2435 |
Bebouwde oppervlakte (m²) | 0 |
Tuin oppervlakte (m²) | 0 |
Oppervlakte terras (m²) | 0 |
Vergunning
Vergunning | Vergunning beschikbaar |
---|---|
Verkavelingsvergunning | Geen beschikbaar |
Uitrusting
Investeringspand | Nee |
---|---|
Geschikt voor praktijk | Nee |
Parking | Ja |
Garage | Ja |
Thuiskantoor | Nee |
Kelder | Nee |
Zolder | Ja |
Tuin | Nee |
Terras | Nee |
Lift | Nee |
Rioolaansluiting | Nee |
Gasaansluiting | Nee |
Wateraansluiting | Nee |
Elektriciteitsaansluiting | Nee |
TV aansluiting | Nee |
Internetaansluiting | Nee |
Telefoonaansluiting | Nee |