Overzicht
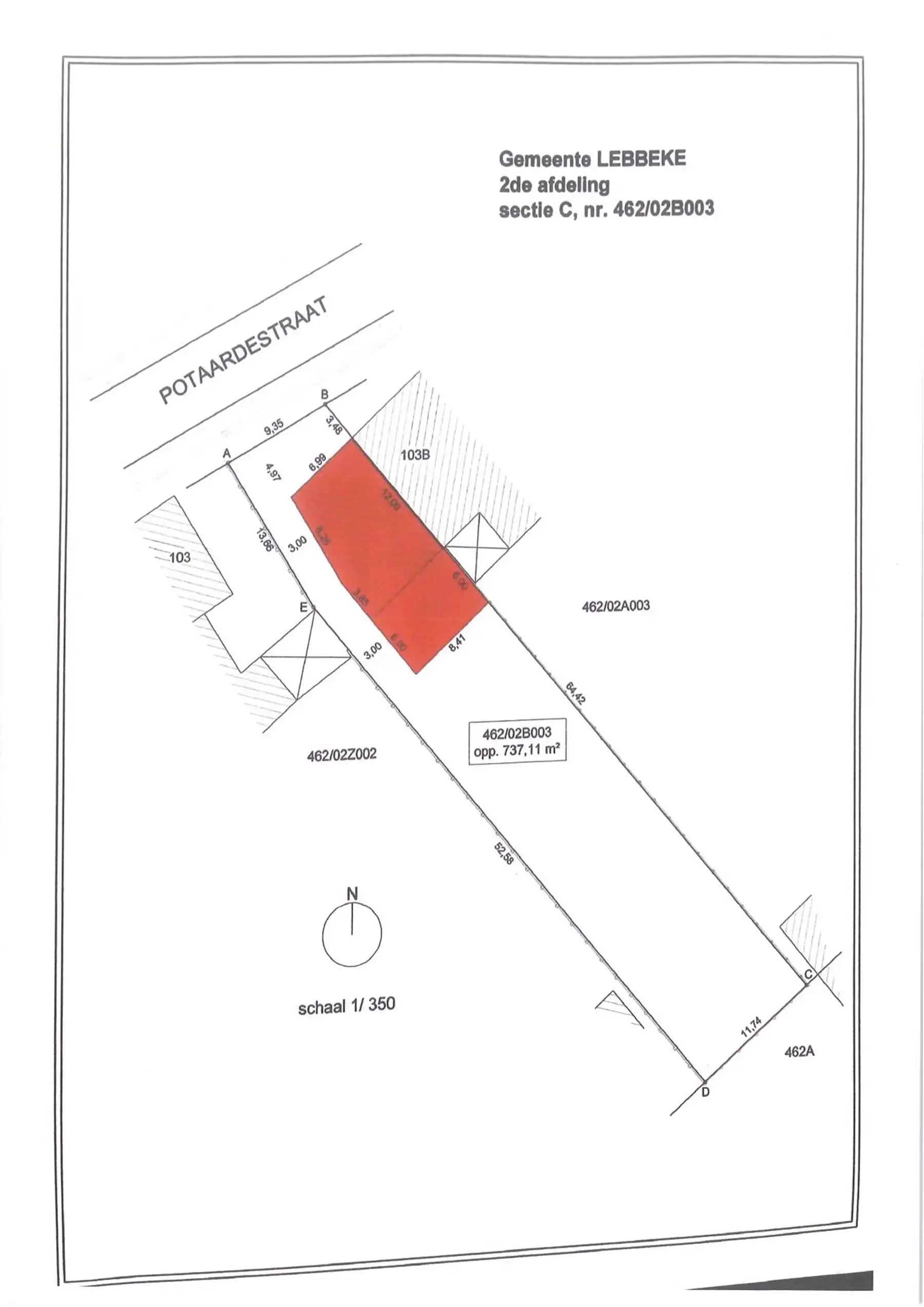
- 702 m² grond
Beschrijving
Bouwgrond met landelijk uitzicht !
Bent u op zoek naar een bouwgrond voor een halfopen bebouwing? Dit perceel van 7a 2ca ligt op een aangename locatie tussen het centrum van Opstal en Lebbeke. De zuidoost gerichte tuin biedt een schitterend uitzicht over de omliggende velden, perfect voor wie graag in een groene en serene omgeving vertoeft.
Volgens de bouwvoorschriften kan u hier bouwen tot 18 meter diep op het gelijkvloers en 12 meter op de eerste verdieping.
Een mooie kans om uw droomwoning te realiseren op een plek waar rust en natuur hand in hand gaan, met alle voorzieningen binnen bereik.
Energie
- E-peil: E0
- Beglazing: Onbekend
Op de kaart

Financieel
| Prijs | |
|---|---|
| Kadastraal inkomen (niet geïndexeerd) | € 0 |
| Kadastraal inkomen (geïndexeerd) | € 0 |
Berekening kosten
Je aankoopkosten? Die heb je snel berekend via de knop hieronder.
Bijkomende info
Gebouw
| Bouwcertificaat | Nee |
|---|
Perceel
| Diepte (m) | 65 |
|---|---|
| Breedte (m) | 9 |
| Overstromingsgevoelig | Geen |
| Voorkeurrecht | Ja |
| Totale oppervlakte (m²) | 702 |
Vergunning
| Vergunning | Geen beschikbaar |
|---|---|
| Verkavelingsvergunning | Geen beschikbaar |
Uitrusting
| Investeringspand | Nee |
|---|---|
| Rioolaansluiting | Nee |
| Gasaansluiting | Nee |
| Wateraansluiting | Nee |
| Elektriciteitsaansluiting | Nee |
| TV aansluiting | Nee |
| Internetaansluiting | Nee |
| Telefoonaansluiting | Nee |
Leer meer over vastgoed
Nieuw
01 March 2026
Wanneer heb ik een bouwvergunning of omgevingsvergunning nodig?
17 February 2026
Hoe breng ik een bod uit op een woning?
24 November 2025
Uitgezocht voor jouw gemeente: Hoeveel stijgt de waarde van je woning door een renovatie?
22 October 2025