Nieuw
Rustig gelegen bouwperceel op 847m² met veel potentieel
€ 195.000
Een pand van Immo Lot
Overzicht
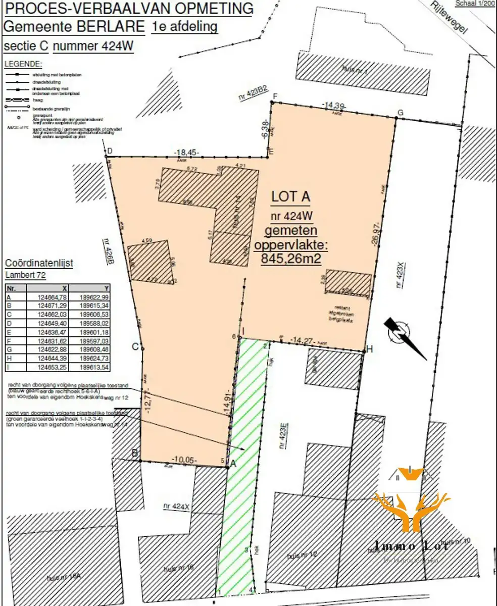
- 847 m² grond
- 2 Slaapkamer(s)
- 1 Tuin
- 1 Garage(s)
Beschrijving
Ben jij op zoek om je eigen woning te bouwen of een grondig renovatieproject met mogelijkheid tot uitbreiding, op een rustige locatie maar toch alles dichtbij? Dan is dit wat je zoekt. Goed gelegen op wandelafstand van winkels, horeca, scholen, sportinfrastructuur en het Donkmeer.
Ontdek dit ruime perceel van 847 m², rustig gelegen in tweede bouwlijn en boordevol potentieel. Op de plaats van de huidige woning kan je een nieuwe open bebouwing realiseren, volledig naar jouw wensen. Denk aan een woning van één bouwlaag, met een hellend of plat dak – de perfecte basis voor een moderne of eerder landelijke stijl.
De eerste foto is een render die werd opgemaakt op basis van de geldende voorschriften en dient als illustratief voorbeeld van de mogelijke bebouwing.
Daarnaast biedt het perceel ook mogelijkheden voor het bijbouwen van een opslagruimte of garages, op voorwaarde dat de inplanting en het volume zorgvuldig worden afgestemd.
Door de afbraak van de aanwezige woning kan je genieten van een verlaagd BTW tarief van 6% (onder voorwaarden).
Zie je hier al jouw droomproject ontstaan?
Contacteer ons gerust om samen de mogelijkheden te bekijken via wout@immolot.be of 0491 85 26 74.
Sted. inl.: woongebied, een bouwvergunning, geen verkavelingsvergunning, geen voorkooprecht en geen rechterlijke of bestuurlijke maatregelen van toepassing, niet gelegen in WORG-gebied, niet gelegen in overstromingsgebied.
Geen overstromingsrisico (P-score A; G-score A).
Ontdek dit ruime perceel van 847 m², rustig gelegen in tweede bouwlijn en boordevol potentieel. Op de plaats van de huidige woning kan je een nieuwe open bebouwing realiseren, volledig naar jouw wensen. Denk aan een woning van één bouwlaag, met een hellend of plat dak – de perfecte basis voor een moderne of eerder landelijke stijl.
De eerste foto is een render die werd opgemaakt op basis van de geldende voorschriften en dient als illustratief voorbeeld van de mogelijke bebouwing.
Daarnaast biedt het perceel ook mogelijkheden voor het bijbouwen van een opslagruimte of garages, op voorwaarde dat de inplanting en het volume zorgvuldig worden afgestemd.
Door de afbraak van de aanwezige woning kan je genieten van een verlaagd BTW tarief van 6% (onder voorwaarden).
Zie je hier al jouw droomproject ontstaan?
Contacteer ons gerust om samen de mogelijkheden te bekijken via wout@immolot.be of 0491 85 26 74.
Sted. inl.: woongebied, een bouwvergunning, geen verkavelingsvergunning, geen voorkooprecht en geen rechterlijke of bestuurlijke maatregelen van toepassing, niet gelegen in WORG-gebied, niet gelegen in overstromingsgebied.
Geen overstromingsrisico (P-score A; G-score A).
Energie
![]() |
- EPC Certificaat: 20250401-0003567237-RES-1
- Energieverbruik: 1405 kWh/m²/jaar
Let op, de renovatieverplichting in Vlaanderen verplicht de koper om deze woning na aankoop te renoveren tot een betere energieprestatie. Lees er alles over in dit artikel
Extra budget nodig voor je renovatie?
De overheid helpt je dit pand energetisch te renoveren! Hieronder zie je het premiebedrag dat je mogelijks van de overheid krijgt.
Het huidige EPC-label is:

Op de kaart

Financieel
| Prijs | |
|---|---|
| Kadastraal inkomen (niet geïndexeerd) | € 352 |
Berekening kosten
Je aankoopkosten? Die heb je snel berekend via de knop hieronder.
Bijkomende info
Gebouw
| Staat | Af te breken |
|---|---|
| Gevels | 4 |
| Badkamers | 0 |
| Slaapkamers | 2 |
| Garages | 1 |
| Parkeerplaatsen | 3 |
Faciliteiten
| Type vloer |
|---|
Perceel
| Overstromingsgevoelig | Geen |
|---|---|
| P-score | A |
| G-score | A |
| Voorkeurrecht | Nee |
| Totale oppervlakte (m²) | 847 |
| Tuin oppervlakte (m²) | 0 |
Vergunning
| Vergunning | Geen beschikbaar |
|---|---|
| Verkavelingsvergunning | Geen beschikbaar |
| Bouwovertreding | Geen |
| Bouwovertreding dagvaardiging | Geen |
Uitrusting
| Parking | Nee |
|---|---|
| Garage | Nee |
| Tuin | Ja |
| Terras | Ja |
Een pand van
Immo Lot
Uw lot in onze handen
"Immo Lot - waar Passie voor Mensen & Vastgoed samenkomen.
Bij Immo Lot geloven we dat vastgoed meer is dan alleen huizen en gebouwen; het gaat om het creëren van plekken waar mensen hun dromen kunnen waarmaken en waar herinneringen worden gemaakt. Passie voor vastgoed is onze drijfveer om altijd het beste te leveren en klanten te ondersteunen in elke fase van hun vastgoedreis.
Of je nu koopt, verkoopt, huurt of investeert, we staan voor je klaar met een breed scala aan diensten op maat.
🌟 Wat maakt Immo Lot bijzonder?
✅ Persoonlijke Service
✅ Geavanceerde Technologie
✅ Uitgebreid aanbod
✅ Expertise
Sluit je vandaag nog aan bij de Immo Lot-familie en ervaar vastgoed zoals nooit tevoren!"
7334940
Leer meer over vastgoed
Nieuw
17 February 2026
Hoe breng ik een bod uit op een woning?
24 November 2025
Uitgezocht voor jouw gemeente: Hoeveel stijgt de waarde van je woning door een renovatie?
22 October 2025
Hoeveel kan ik lenen om een huis te kopen?
11 June 2025



