Prachtig gelegen, zuidgerichte bouwgrond met vergunning!
€ 155.000
Een pand van Locals Vastgoed
Overzicht
- 409 m² grond
Beschrijving
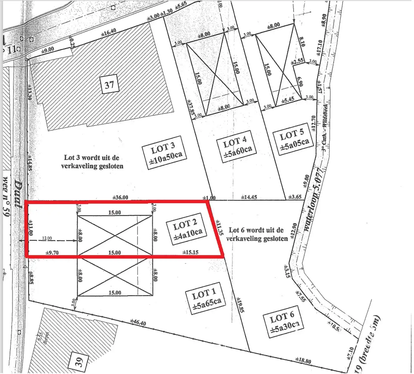
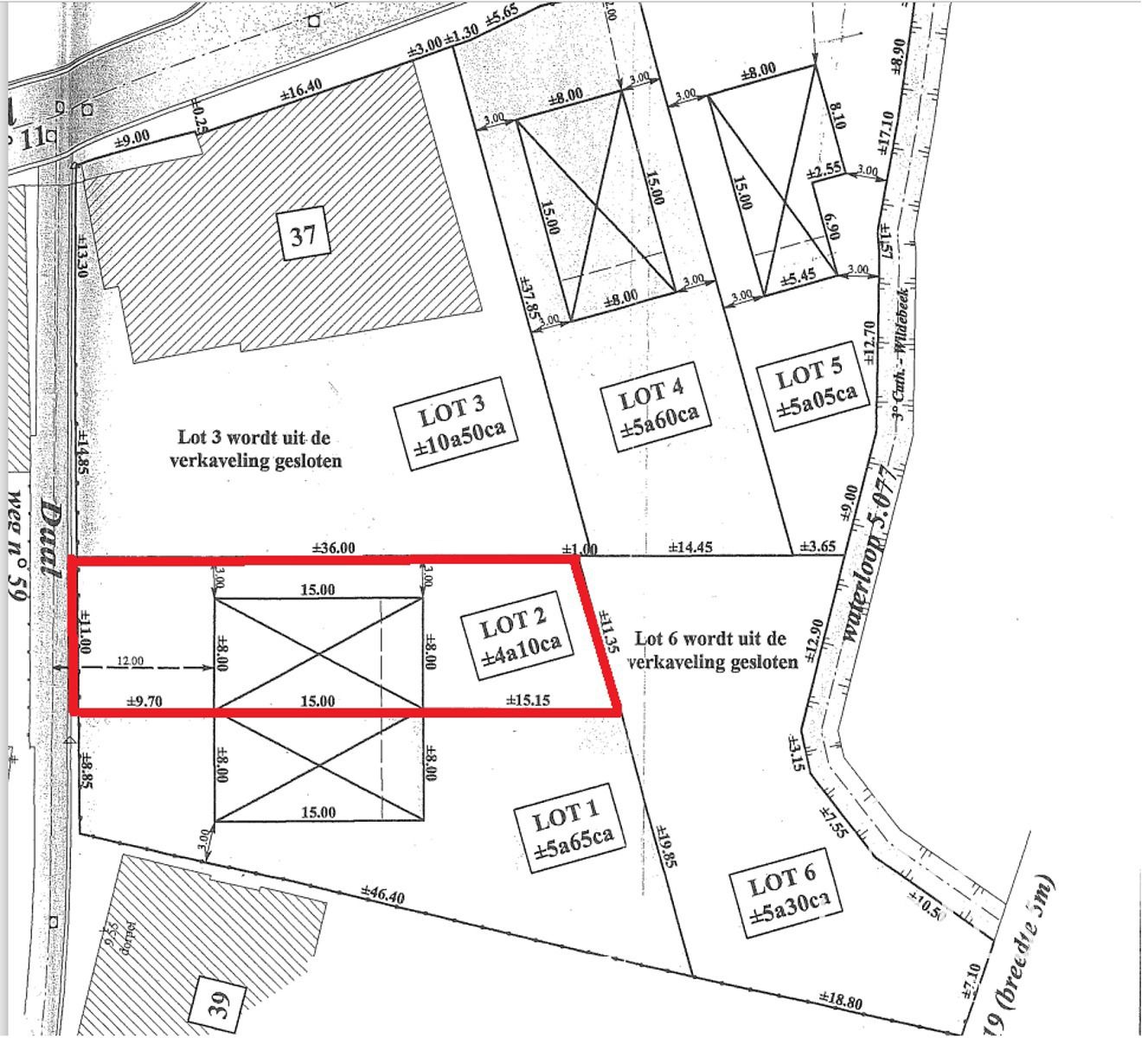
Deze bouwgrond op een prachtige locatie geniet de perfecte oriëntatie (Zuid). Op de grond is een uitvoerbare vergunning en plan beschikbaar voor een unieke halfopen bebouwing. Het terrein van 4a 09ca is landelijk en zeer rustig gelegen te Denderhoutem met zicht op het groen. Dit alles op wandelafstand van diverse winkels (o.a. Proxy Delhaize, slager, bakker, ..) & scholen. Nabij oprit E40, station Ninove en Haaltert. Voornaamste voorschriften: bouwzone max 15m, kroonlijsthoogte max 6m.
Neem contact met ons op voor alle mogelijkheden en inzage in het plan via het nummer 054 23 53 83 of info@localsvastgoed.be
Neem contact met ons op voor alle mogelijkheden en inzage in het plan via het nummer 054 23 53 83 of info@localsvastgoed.be
Deze bouwgrond op een prachtige locatie geniet de perfecte oriëntatie (Zuid). Op de grond is een uitvoerbare vergunning en plan beschikbaar voor een unieke halfopen bebouwing. Het terrein van 4a 09ca is landelijk en zeer rustig gelegen te Denderhoutem met zicht op het groen. Dit alles op wandelafstand van diverse winkels (o.a. Proxy Delhaize, slager, bakker, ..) & scholen. Nabij oprit E40, station Ninove en Haaltert. Voornaamste voorschriften: bouwzone max 15m, kroonlijsthoogte max 6m.
Neem contact met ons op voor alle mogelijkheden en inzage in het plan via het nummer 054 23 53 83 of info@localsvastgoed.be
Neem contact met ons op voor alle mogelijkheden en inzage in het plan via het nummer 054 23 53 83 of info@localsvastgoed.be
Energie
Op de kaart

Financieel
| Prijs | |
|---|---|
| Kadastraal inkomen (niet geïndexeerd) | € 4 |
Berekening kosten
Je aankoopkosten? Die heb je snel berekent via de knop hieronder.
Bijkomende info
Perceel
| Diepte (m) | 36 |
|---|---|
| P-score | C |
| Voorkeurrecht | Nee |
| Totale oppervlakte (m²) | 409 |
Vergunning
| Vergunning | Geen beschikbaar |
|---|---|
| Verkavelingsvergunning | Vergunning beschikbaar |
| Bouwovertreding | Geen |
| Bouwovertreding dagvaardiging | Geen |
| Type gebied | Landelijk |
Een pand van
Locals Vastgoed
Locals Vastgoed, erkende makelaars sinds 2009 met een paar duizend transacties als referentie.
Wij specialiseren ons in de verkoop van bestaande eigendommen en nieuwbouwprojecten. U kan ook bij ons terecht voor de verhuur van uw eigendom, waardebepalingen, advies en allerhande keuringen.
U wenst een verkoop/verhuur zonder zorgen, samen met een partner waarop u kan vertrouwen. Kiezen voor Locals Vastgoed is kiezen voor een betrokken en betrouwbare partner die bereikbaar is en die weet van aanpakken.
Wenst u een gratis schatting, wat meer uitleg over onze werkwijze of wil u simpelweg kennismaken? Kom langs of geef een seintje en we komen naar u toe.
Wij zijn o.a. werkzaam in volgende steden, gemeenten en deelgemeenten: Groot-Ninove, Haaltert, Denderhoutem, Kerksken, Denderleeuw, Iddergem, Welle, Groot-Geraardsbergen, Liedekerke, Groot-Aalst, Roosdaal, Gooik, Lennik, Ternat, Affligem, Dilbeek, Lierde, Sint-Lievens-Houtem, Herzele, Zottegem, Halle, Sint-Pieters-Leeuw, Herne, Galmaarden, Pepingen, ...
7147043
Leer meer over vastgoed
24 November 2025
Uitgezocht voor jouw gemeente: Hoeveel stijgt de waarde van je woning door een renovatie?
22 October 2025
Hoeveel kan ik lenen om een huis te kopen?
11 June 2025
Huis kopen met bouwovertreding? Dit moet je weten
11 May 2025