GROND VOOR HALFOPEN BEBOUWING MET MOOI UITZICHT
€ 140.000
Een pand van VASTGOED SVENA
Jouw zoektocht
Overzicht
- 623 m² grond
Beschrijving
GROND VOOR HALFOPEN BEBOUWING MET MOOI UITZICHT
Vraagprijs : 140.000 euro
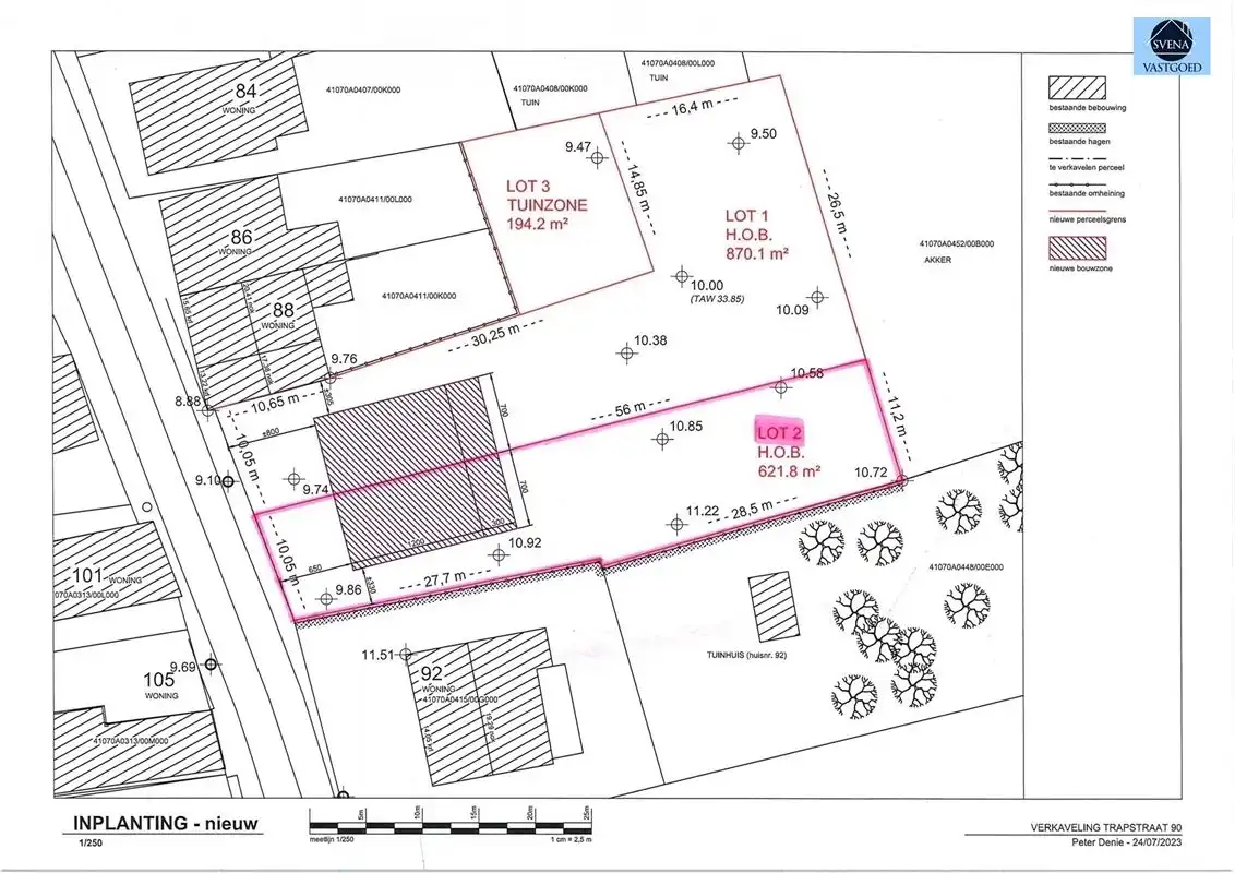
Zeer leuke en rustig gelegen grond (LOT 2) te Viane met een terrein oppervlakte van 622,82 m².
Op de GELIJKVLOERSE VERDIEPING bedraagt de bouwdiepte max 15 m en op de VERDIEPING max. 12 m.
De bouwbreedte bedraagt 7 m.
Straatbreedte 10 m.
Diepte perceel +- 56 m.
Stedenbouwkundig uittreksel/inlichtingen in aanvraag!
Stedenbouwkundige voorschriften te bekijken op kantoor.
Voor info of bezoek bel 0475/51.40.73 of stuur een email naar info@svena.be
Deze gegevens zijn louter informatief en wij kunnen niet aansprakelijk gesteld worden voor eventuele onjuistheden.
De bewoonbare oppervlakte is slechts indicatief.
Energie
- E-peil: E0
- Beglazing: Onbekend
Op de kaart

Financieel
| Prijs | |
|---|---|
| Kadastraal inkomen (niet geïndexeerd) | € 0 |
| Kadastraal inkomen (geïndexeerd) | € 0 |
Berekening kosten
Je aankoopkosten? Die heb je snel berekend via de knop hieronder.
Bijkomende info
Gebouw
| Bouwcertificaat | Nee |
|---|
Perceel
| Overstromingsgevoelig | Geen |
|---|---|
| P-score | C |
| Voorkeurrecht | Ja |
| Totale oppervlakte (m²) | 623 |
Vergunning
| Vergunning | Aanvraag ingediend |
|---|---|
| Verkavelingsvergunning | Aanvraag ingediend |
Uitrusting
| Investeringspand | Nee |
|---|---|
| Rioolaansluiting | Nee |
| Gasaansluiting | Nee |
| Wateraansluiting | Nee |
| Elektriciteitsaansluiting | Nee |
| TV aansluiting | Nee |
| Internetaansluiting | Nee |
| Telefoonaansluiting | Nee |