Nieuw
BOUWGROND MET VERGUNNING EN PLANNEN TE KOOP TE LIERDE.
€ 135.000
Een pand van Makelaarskantoor De Smet
Overzicht
- 170.88 m² bewoonbaar
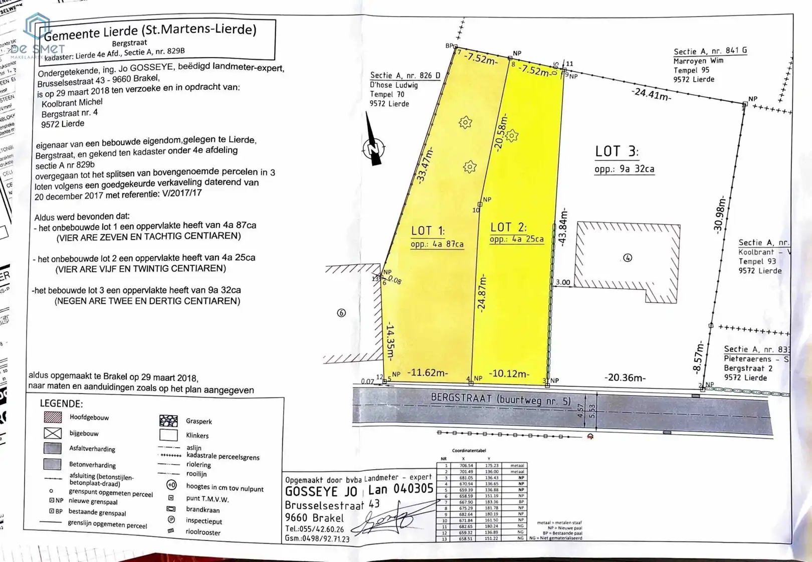
- 487 m² grond
- 3 Slaapkamer(s)
- 1 Badkamer(s)
- 2 Toilet(ten)
Beschrijving
BOUWGROND MET VERGUNNING EN PLANNEN TE KOOP TE LIERDE.
Bouwgrond voor halfopen bebouwing te koop in een rustige zijstraat te Lierde.
Aankoop incl volgende documenten:
- Architect plan + bouwvergunning
- Grondsondering
- Ingenieurstudie
- Grondwerken plateau reeds gegoten voorzien van riolering onder de plateau
- Wapening en beton voor funderingsplaat.
- Vernieuwing van de bouwvergunning aanwezig.
Zonder bouwverplichting.
Voor inlichtingen of bezoek gelieve op de advertentie te reageren, wij bellen u zelf op om een afspraak vast te leggen.
Energie
- E-peil: E0
- Beglazing: Onbekend
Op de kaart

Financieel
| Prijs | |
|---|---|
| Kadastraal inkomen (niet geïndexeerd) | € 0 |
| Kadastraal inkomen (geïndexeerd) | € 0 |
Berekening kosten
Je aankoopkosten? Die heb je snel berekent via de knop hieronder.
Bijkomende info
Gebouw
| Bouwcertificaat | Nee |
|---|
Perceel
| Diepte (m) | 12 |
|---|---|
| Overstromingsgevoelig | Geen |
| P-score | A |
| Voorkeurrecht | Nee |
| Totale oppervlakte (m²) | 487 |
| Oriëntatie tuin | West |
Vergunning
| Vergunning | Vergunning beschikbaar |
|---|---|
| Verkavelingsvergunning | Vergunning beschikbaar |
Uitrusting
| Investeringspand | Nee |
|---|---|
| Rioolaansluiting | Nee |
| Gasaansluiting | Nee |
| Wateraansluiting | Nee |
| Elektriciteitsaansluiting | Nee |
| TV aansluiting | Nee |
| Internetaansluiting | Nee |
| Telefoonaansluiting | Nee |
Een pand van
Makelaarskantoor De Smet
Verkoop - Verhuur - Verzekeringen - Kredieten
Onze specialiteiten
Verkoop - Verhuur - Verzekeringen - Kredieten
Makelaarskantoor De Smet is actief als onafhankelijke Verzekerings-, Vastgoed- en Hypotheekmakelaar, met als doel een professionele kwalitatieve dienstverlening te verlenen waarbij betrouwbaarheid en klantvriendelijkheid centraal staan.
Gevestigde waarde in het centrum van Deftinge staan wij als jong en dynamisch team steeds klaar om u bij te staan.
Waarom kiezen voor makelaar De Smet?
Professionele begeleiding van A tot Z.
Open communicatie en transparantie.
Nauwe samenwerking met UW notaris.
Gerichte publiciteit op de juiste kanalen.
Als vastgoedcoach begeleiden wij kopers naar het vinden van uw droomhuis.
Ons streefdoel: Een langdurende vertrouwensrelatie.
Geen koper = Geen kosten!
Controle kredietwaardigheid van kandidaat kopers.
BERGSTRAAT LOT 1 LIERDE
Leer meer over vastgoed
24 November 2025
Uitgezocht voor jouw gemeente: Hoeveel stijgt de waarde van je woning door een renovatie?
22 October 2025
Hoeveel kan ik lenen om een huis te kopen?
11 June 2025
Huis kopen met bouwovertreding? Dit moet je weten
11 May 2025