> Te koop > LIERDE > Grond > BOUWGROND MET VERGUNNING EN PLANNEN TE KOOP TE LIERDE.
Nieuw

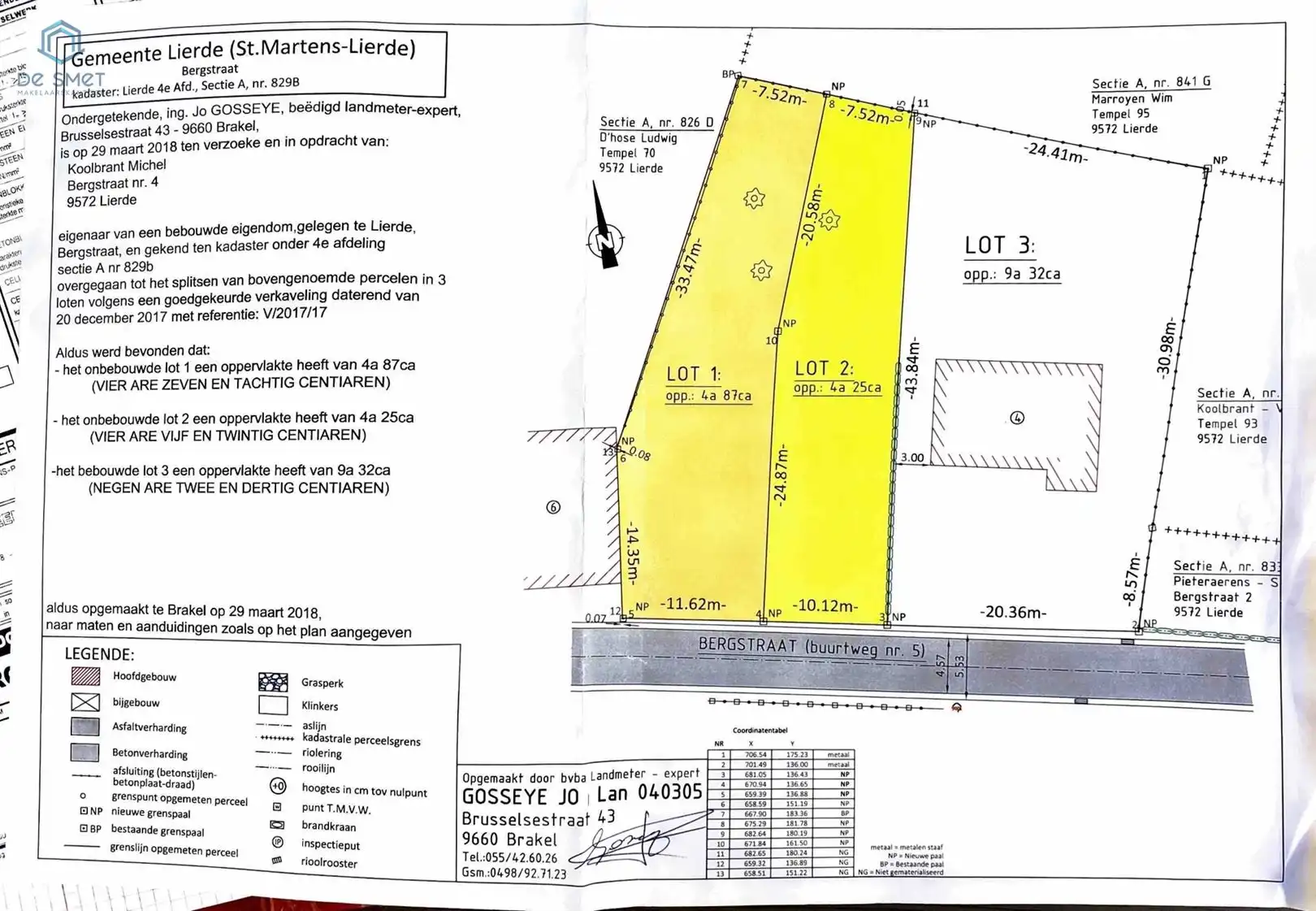
BOUWGROND MET VERGUNNING EN PLANNEN TE KOOP TE LIERDE.

€ 135.000

Bergstraat lot 2 - 9570 LIERDE

Een pand van Makelaarskantoor De Smet

Volledige aanbod

Overzicht


  • 170.88 m² bewoonbaar
  • 425 m² grond

Beschrijving


 BOUWGROND MET VERGUNNING EN PLANNEN TE KOOP TE LIERDE.

 

Bouwgrond voor halfopen bebouwing te koop in een rustige zijstraat te Lierde.

 

Aankoop incl volgende documenten:

 

- Architect plan + bouwvergunning

- Grondsondering

- Ingenieurstudie

- Grondwerken plateau reeds gegoten voorzien van riolering onder de plateau

- Wapening en beton voor funderingsplaat.

- Vernieuwing van de bouwvergunning aanwezig.

 

Zonder bouwverplichting.

 

Voor inlichtingen of bezoek gelieve op de advertentie te reageren, wij bellen u zelf op om een afspraak vast te leggen.

Energie


  • E-peil: E0
  • Beglazing: Onbekend

Financieel


Prijs € 135.000
Kadastraal inkomen (niet geïndexeerd) € 0
Kadastraal inkomen (geïndexeerd) € 0

Berekening kosten


Je aankoopkosten? Die heb je snel berekent via de knop hieronder.

Bijkomende info


Gebouw
Bouwcertificaat Nee
Perceel
Diepte (m) 12
Overstromingsgevoelig Geen
P-score A
Voorkeurrecht Nee
Totale oppervlakte (m²) 425
Oriëntatie tuin West
Vergunning
Vergunning Vergunning beschikbaar
Verkavelingsvergunning Vergunning beschikbaar
Uitrusting
Investeringspand Nee
Rioolaansluiting Nee
Gasaansluiting Nee
Wateraansluiting Nee
Elektriciteitsaansluiting Nee
TV aansluiting Nee
Internetaansluiting Nee
Telefoonaansluiting Nee

Een pand van


Makelaarskantoor De Smet
Logo van makelaar: Makelaarskantoor De Smet
Verkoop - Verhuur - Verzekeringen - Kredieten
Onze specialiteiten Verkoop - Verhuur - Verzekeringen - Kredieten Makelaarskantoor De Smet is actief als onafhankelijke Verzekerings-, Vastgoed- en Hypotheekmakelaar, met als doel een professionele kwalitatieve dienstverlening te verlenen waarbij betrouwbaarheid en klantvriendelijkheid centraal staan. Gevestigde waarde in het centrum van Deftinge staan wij als jong en dynamisch team steeds klaar om u bij te staan. Waarom kiezen voor makelaar De Smet? Professionele begeleiding van A tot Z. Open communicatie en transparantie. Nauwe samenwerking met UW notaris. Gerichte publiciteit op de juiste kanalen. Als vastgoedcoach begeleiden wij kopers naar het vinden van uw droomhuis. Ons streefdoel: Een langdurende vertrouwensrelatie. Geen koper = Geen kosten! Controle kredietwaardigheid van kandidaat kopers.
Logo van makelaar: Makelaarskantoor De Smet
BERGSTRAAT LOT 2 LIERDE
BOUWGROND MET VERGUNNING EN PLANNEN TE KOOP TE LIERDE. foto {{pictureIndex}}

BOUWGROND MET VERGUNNING EN PLANNEN TE KOOP TE LIERDE.

€ 135.000

Bergstraat lot 2 - 9570 LIERDE

Bezoek het pand

Vul jouw contactgegevens hieronder in en de makelaar contacteert je.

Leer meer over vastgoed

24 November 2025
Uitgezocht voor jouw gemeente: Hoeveel stijgt de waarde van je woning door een renovatie?
22 October 2025
Hoeveel kan ik lenen om een huis te kopen?
11 June 2025
Huis kopen met bouwovertreding? Dit moet je weten
11 May 2025
Renoveren? Vraag je Mijn VerbouwPremie aan