Unieke Bouwgrond voor Open Bebouwing in het Centrum van Brakel!
€ 150.000
Een pand van Makelaarskantoor De Smet
Overzicht
- 922 m² grond
Overstromingsgevaar gebouw
Overstromingsgevaar perceel
Beschrijving
Unieke Bouwgrond voor Open Bebouwing in het Centrum van Brakel!
Bent u op zoek naar een aantrekkelijke bouwgrond op een toplocatie? Deze prachtige projectgrond biedt u de unieke kans om uw droomwoning te realiseren, op wandelafstand van het bruisende centrum van Brakel!
Ligging: Centraal gelegen, met alle voorzieningen zoals winkels, scholen en openbaar vervoer vlakbij.
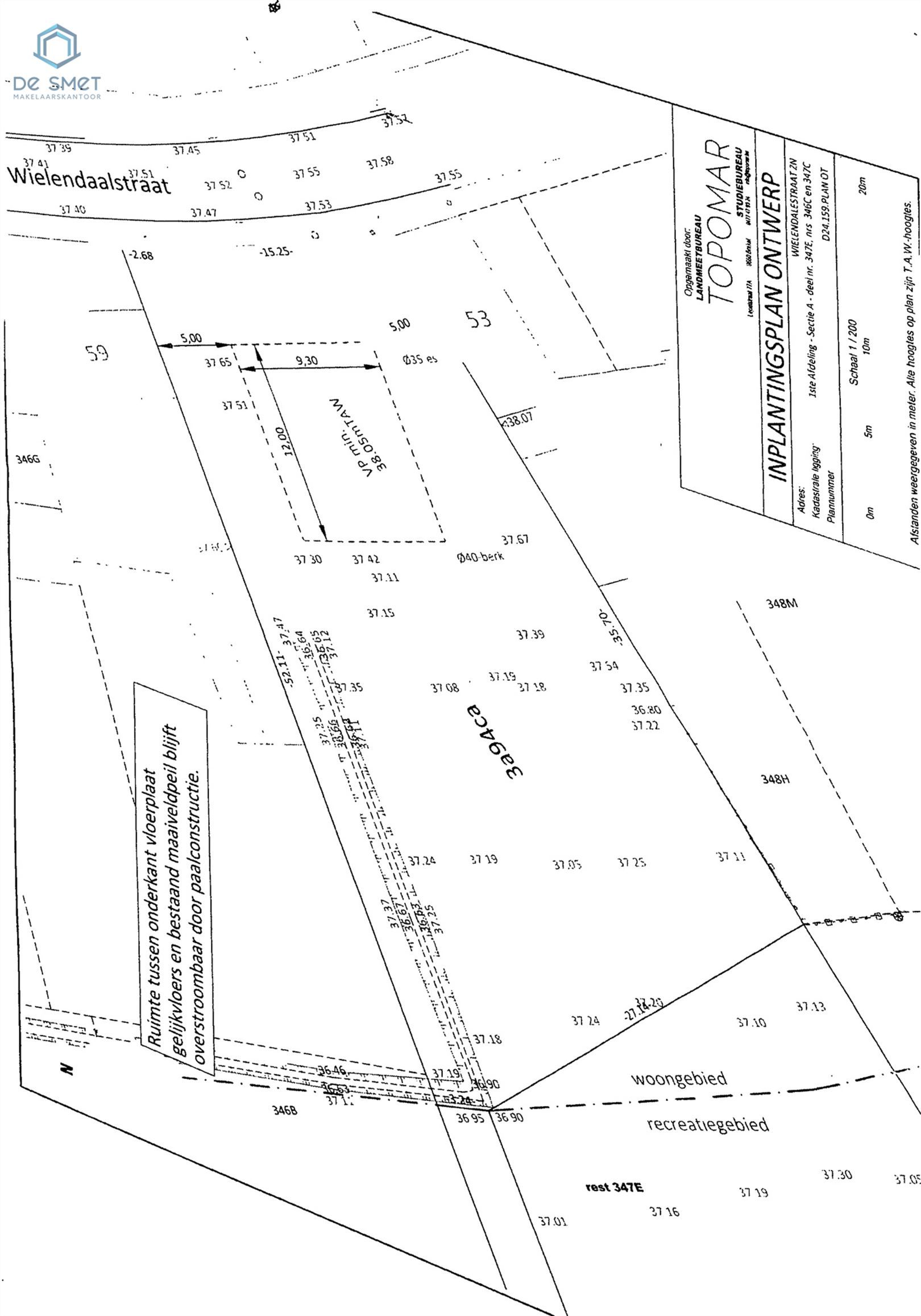
Afmetingen woning: Stedenbouwkundig attest goedgekeurd voor een open bebouwing van 12 m x 9,30 m.
Aan de straatzijde bevinden zich momenteel 5 garageboxen. Indien gewenst kunnen deze in overleg met de eigenaar worden afgebroken vóór de verkoop volledig bespreekbaar.
Extra troef: Mogelijkheid tot aankoop van een aanpalend stuk weidegrond ideaal voor wie extra ruimte zoekt voor tuin, dieren of ontspanning.
Interesse? Reageer eenvoudig via de advertentie, en wij nemen snel contact met u op om een bezichtiging in te plannen.
Mis deze unieke kans niet bouw hier uw toekomst in het hart van de Vlaamse Ardennen!
Energie
- E-peil: E0
- Beglazing: Onbekend
Op de kaart

Downloads
- stedenbouwkundig attest online.pdf
- perceel foto .png
- ActaMaps Overstromingsrapport (45028A034700C000).pdf
- ActaMaps Perceelrapport Onroerend Erfgoed (45028A034700C000) (2).pdf
- Asbest.pdf
- ATT36044.pdf
- OVAM - ovamattest - 347C.pdf
- OVAM - ovamattest - 347E.pdf
- plannen.pdf
- stedenbouwk inl - 347C.pdf
- stedenbouwk inl - 347E.pdf
- Stedenbouwkundig attest.pdf
- VIP-00514151_atlas_bw.PNG
- VLM rapport_19062025.pdf
Financieel
Prijs | |
---|---|
Kadastraal inkomen (niet geïndexeerd) | € 0 |
Kadastraal inkomen (geïndexeerd) | € 0 |
Berekening kosten
Je aankoopkosten? Die heb je snel berekent via de knop hieronder.
Bijkomende info
Gebouw
Bouwcertificaat | Nee |
---|
Perceel
Diepte (m) | 36 |
---|---|
Breedte (m) | 15 |
Overstromingsgevoelig | Geen |
P-score | D |
Voorkeurrecht | Nee |
Totale oppervlakte (m²) | 922 |
Vergunning
Vergunning | Aanvraag ingediend |
---|---|
Verkavelingsvergunning | Geen beschikbaar |
Uitrusting
Investeringspand | Nee |
---|---|
Rioolaansluiting | Nee |
Gasaansluiting | Nee |
Wateraansluiting | Nee |
Elektriciteitsaansluiting | Nee |
TV aansluiting | Nee |
Internetaansluiting | Nee |
Telefoonaansluiting | Nee |