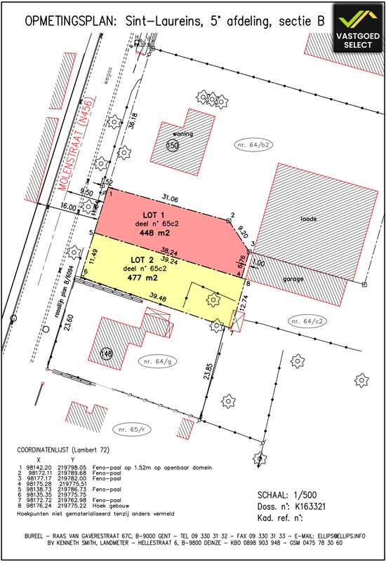
Bouwgrond te koop in Watervliet 477 m2
€ 175.000
Een pand van Vastgoed Select
Favoriet
Jouw zoektocht
Jouw scoretabel voor dit pand
Aan het laden...
Jouw geplande bezichtigingen
Aan het laden...
Overzicht
- 477 m² grond
Beschrijving
Dit perceel van 477 m² bouwgrond in het landelijke Watervliet is een absolute aanrader voor wie een ruime bouwkavel zoekt op een rustige locatie. De grond is ideaal voor de bouw van een gezinswoning en combineert rust met een vlotte bereikbaarheid.
Uniek aan dit aanbod is de mogelijkheid tot aankoop van de naastgelegen loods én extra grond, wat dit lot bijzonder interessant maakt voor zelfstandigen met nood aan werkruimte. Daarnaast is dit perceel ook uiterst geschikt voor paardenliefhebbers, dankzij de uitbreidingsmogelijkheden met aangrenzende grond.
Troeven:
477 m² bouwgrond
Rustige ligging in Watervliet
Interessant voor zelfstandigen
Extra interessant voor paardenliefhebbers
Mogelijkheid tot aankoop van aangrenzende loods en bijkomende grond
Dit is dé kans om ruim te wonen en tegelijk extra mogelijkheden te benutten voor hobby, werk of paarden!Bouwgrond te koop in Watervliet 477 m2
Energie
- E-peil: E0
- Beglazing: Onbekend
Op de kaart

Financieel
| Prijs |
|---|
Berekening kosten
Je aankoopkosten? Die heb je snel berekend via de knop hieronder.
Bijkomende info
Gebouw
| Bouwcertificaat | Nee |
|---|
Perceel
| Totale oppervlakte (m²) | 477 |
|---|---|
| Oriëntatie tuin | Oost |
Vergunning
| Verkavelingsvergunning | Geen beschikbaar |
|---|
Uitrusting
| Investeringspand | Nee |
|---|---|
| Rioolaansluiting | Nee |
| Gasaansluiting | Nee |
| Wateraansluiting | Nee |
| Elektriciteitsaansluiting | Nee |
| Internetaansluiting | Nee |
| Telefoonaansluiting | Nee |
Een pand van
Vastgoed Select
Vastgoed Select: Uw Weg naar Vastgoedsucces
Welkom bij Vastgoed Select - uw betrouwbare partner in vastgoedzaken. Wij zijn toegewijd aan het leveren van hoogwaardige diensten en oplossingen voor al uw vastgoedbehoeften. Of u nu op zoek bent naar een nieuw thuis, een investeringsmogelijkheid zoekt of professioneel advies nodig heeft bij vastgoedtransacties, ons ervaren team staat klaar om u te begeleiden door elke stap van het proces. Met een diepgaande kennis van de markt en een persoonlijke benadering streven we ernaar om uw doelen te realiseren en uw verwachtingen te overtreffen. Bij Vastgoed Select geloven we in het opbouwen van langdurige relaties gebaseerd op vertrouwen, integriteit en excellentie. Neem vandaag nog contact met ons op en ontdek hoe we u kunnen helpen uw vastgoeddromen waar te maken.
VS 1-108-2C
Leer meer over vastgoed
23 March 2026
Op Spotto zoeken als een pro: 10 slimme tips
21 March 2026
Hoeveel kan ik lenen om een huis te kopen?
01 March 2026
Wanneer heb ik een bouwvergunning of omgevingsvergunning nodig?
17 February 2026