Bouwgrond voor open bebouwing te koop op een perceel van 7a01ca te Meerhout
€ 170.000
Een pand van Sublimmo
Overzicht
- 701 m² grond
Beschrijving
Bouwgrond voor open bebouwing op een perceel van 7a01ca te Meerhout.
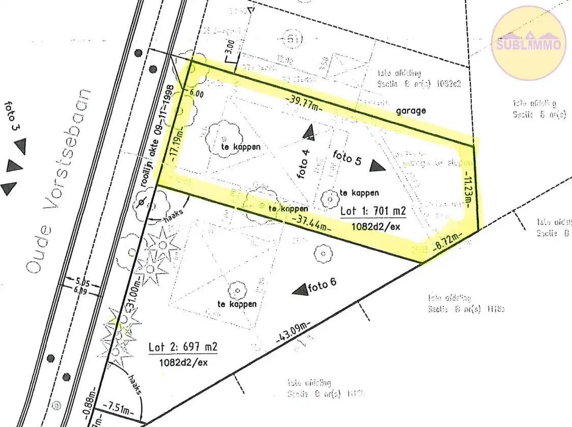
Op de Oude Vorstebaan , nabij het centrum van Meerhout, bevindt zich deze bouwgrond gelegen op een perceel van 7a 01ca. De ligging biedt een ideale balans tussen het landelijke gevoel en de nabijheid van het centrum. Op korte afstand van de Oude Vorstebaan in Meerhout vind je ook lokale handelaars, restaurants, tavernes en scholen terug. Deze bouwgrond is geschikt voor open bebouwing. Het perceel heeft een straatbreedte van 17,19m en de diepte van het perceel bedraagt 39,77m aan de linkse zijde en 37,44 m aan de rechtse zijde.
Bouwvoorschriften:
De plaatsing van de voorgevel dient samen te vallen met de voorgevelbouwlijn of bevindt zich binnen 6m diepte, gemeten vanaf die bouwlijn en ermee evenwijdig zijn. De voorgevelbreedte is maximum 11,14m. Voor de zijgevels dient er steeds minimum 3m van de perceelsgrenzen gebleven te worden. De achtergevel dient op maximum 17m achter de voorgevel en binnen de bouwstrook geplaatst te worden. Bouwvoorschriften en verkavelingsvergunning zijn beschikbaar. Voor verdere stedenbouwkundige inlichtingen kan je contact opnemen met ons kantoor.
Is deze bouwgrond iets voor jou? Contacteer ons via info@sublimmo.be voor meer info. Wij helpen jullie graag verder!
Op de Oude Vorstebaan , nabij het centrum van Meerhout, bevindt zich deze bouwgrond gelegen op een perceel van 7a 01ca. De ligging biedt een ideale balans tussen het landelijke gevoel en de nabijheid van het centrum. Op korte afstand van de Oude Vorstebaan in Meerhout vind je ook lokale handelaars, restaurants, tavernes en scholen terug. Deze bouwgrond is geschikt voor open bebouwing. Het perceel heeft een straatbreedte van 17,19m en de diepte van het perceel bedraagt 39,77m aan de linkse zijde en 37,44 m aan de rechtse zijde.
Bouwvoorschriften:
De plaatsing van de voorgevel dient samen te vallen met de voorgevelbouwlijn of bevindt zich binnen 6m diepte, gemeten vanaf die bouwlijn en ermee evenwijdig zijn. De voorgevelbreedte is maximum 11,14m. Voor de zijgevels dient er steeds minimum 3m van de perceelsgrenzen gebleven te worden. De achtergevel dient op maximum 17m achter de voorgevel en binnen de bouwstrook geplaatst te worden. Bouwvoorschriften en verkavelingsvergunning zijn beschikbaar. Voor verdere stedenbouwkundige inlichtingen kan je contact opnemen met ons kantoor.
Is deze bouwgrond iets voor jou? Contacteer ons via info@sublimmo.be voor meer info. Wij helpen jullie graag verder!
Energie
- E-peil: E0
- Beglazing: Onbekend
Op de kaart

Financieel
| Prijs |
|---|
Berekening kosten
Je aankoopkosten? Die heb je snel berekent via de knop hieronder.
Bijkomende info
Perceel
| Totale oppervlakte (m²) | 701 |
|---|
Vergunning
| Verkavelingsvergunning | Vergunning beschikbaar |
|---|
Uitrusting
| Investeringspand | Nee |
|---|---|
| Rioolaansluiting | Nee |
| Gasaansluiting | Nee |
| Wateraansluiting | Nee |
| Elektriciteitsaansluiting | Nee |
| Internetaansluiting | Nee |
| Telefoonaansluiting | Nee |
Een pand van
Sublimmo
Uw vastgoedpartner in Meerhout en omstreken
Sublimmo is een vastgoedkantoor in het hartje van Meerhout onder leiding van erkend vastgoedmakelaars Geert en Goele Sprengers. Met een team van 6 medewerkers volgen ze al 20 jaar de vastgoedmarkt op de voet. Hierdoor kennen ze de streek door en door en hebben ze heel wat ervaring.
Het team van Sublimmo bestaat uit een dynamisch en enthousiast geheel, kortom mensen die u met kennis van zaken bij uw aan- of verkoop begeleiden.
Omdat Sublimmo alle aspecten uit de vastgoedwereld behandelt, van verhuur van bedrijfsvastgoed en appartementen tot realisatie van nieuwbouwprojecten, zijn ze ook steeds up-to-date van alle veranderen die zich afspelen in de vastgoedwereld.
Een gevestigde waarde, die steeds tot uw dienst is.
Oude Vorstsebaan Lot 1
Leer meer over vastgoed
24 November 2025
Uitgezocht voor jouw gemeente: Hoeveel stijgt de waarde van je woning door een renovatie?
22 October 2025
Hoeveel kan ik lenen om een huis te kopen?
11 June 2025
Huis kopen met bouwovertreding? Dit moet je weten
11 May 2025