Leuke bouwgrond van 7a68ca voor vrijstaande woning in Retie-Schoonbroek
€ 189.000
Een pand van Verlinden Vastgoed
Favoriet
Jouw zoektocht
Jouw scoretabel voor dit pand
Aan het laden...
Jouw geplande bezichtigingen
Aan het laden...
Overzicht
- 768 m² grond
- 1 Tuin
Beschrijving
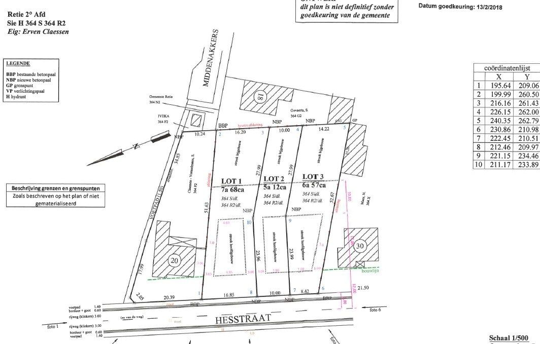
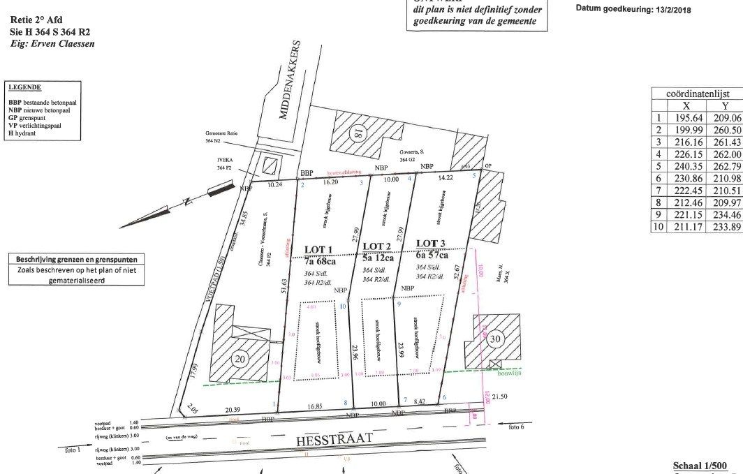
Deze ruime bouwgrond van 7a68ca voor een open bebouwing is gelegen langs de Hesstraat in Retie.
Je geniet hier van een goede verbinding met de E34 (snelweg Antwerpen - Eindhoven) en de omliggende gemeenten Arendonk, Dessel, Kasterlee en Oud-Turnhout.
Het perceel heeft een straatbreedte van 16,85 meter, een diepte van ca. 51 meter en is geschikt voor een open bebouwing met een zuidoost georiënteerde tuin.
De te bouwen woning heeft een maximum breedte van 9,86 meter en een diepte van maximum 17 meter.
Bouwvoorschriften:
- bouwvolume: max. 9,86 m breed op max. 17 m diep
- dakvorm: vrij te kiezen
- kroonlijsthoogte: max. 6,5 m
- nokhoogte: max. 11 m
- bijgebouwen: min 10m achter de achtergevelbouwlijn en binnen de strook zoals aangeduid op plan, 3m afstand van de perceelsgrenzen, platdak toegelaten op de perceelgrens.
- oppervlakte bijgebouwen: max 10% van perceeloppervlakte
*zorgwoning toegestaan mits naleven van voorwaarden
* kelder toegelaten
Je geniet hier van een goede verbinding met de E34 (snelweg Antwerpen - Eindhoven) en de omliggende gemeenten Arendonk, Dessel, Kasterlee en Oud-Turnhout.
Het perceel heeft een straatbreedte van 16,85 meter, een diepte van ca. 51 meter en is geschikt voor een open bebouwing met een zuidoost georiënteerde tuin.
De te bouwen woning heeft een maximum breedte van 9,86 meter en een diepte van maximum 17 meter.
Bouwvoorschriften:
- bouwvolume: max. 9,86 m breed op max. 17 m diep
- dakvorm: vrij te kiezen
- kroonlijsthoogte: max. 6,5 m
- nokhoogte: max. 11 m
- bijgebouwen: min 10m achter de achtergevelbouwlijn en binnen de strook zoals aangeduid op plan, 3m afstand van de perceelsgrenzen, platdak toegelaten op de perceelgrens.
- oppervlakte bijgebouwen: max 10% van perceeloppervlakte
*zorgwoning toegestaan mits naleven van voorwaarden
* kelder toegelaten
Energie
- Verwarming: Geen
- Beglazing: Onbekend
Op de kaart

Financieel
| Prijs | |
|---|---|
| Kadastraal inkomen (niet geïndexeerd) | € 0 |
| Kadastraal inkomen (geïndexeerd) | € 0 |
Berekening kosten
Je aankoopkosten? Die heb je snel berekend via de knop hieronder.
Bijkomende info
Gebouw
| Is beschermd | Nee |
|---|
Perceel
| P-score | C |
|---|---|
| Voorkeurrecht | Nee |
| Totale oppervlakte (m²) | 768 |
| Oriëntatie tuin | ZuidOost |
Vergunning
| Vergunning | Geen beschikbaar |
|---|---|
| Verkavelingsvergunning | Vergunning beschikbaar |
| Bouwovertreding dagvaardiging | Geen |
| Type gebied | Stedelijk |
Uitrusting
| Meerdere eigenaars | Nee |
|---|---|
| Rioolaansluiting | Ja |
| Gasaansluiting | Nee |
| Wateraansluiting | Ja |
| Elektriciteitsaansluiting | Ja |
| TV aansluiting | Nee |
| Internetaansluiting | Nee |
Een pand van
Verlinden Vastgoed
Verlinden Vastgoed, een partner die weet van aanpakken!
Verlinden Vastgoed is jouw vastgoedkantoor dat de kneepjes van het vak door en door kent. Onze kantoren zijn gevestigd in het centrum van Mol, het centrum van Geel en Onze-Lieve-Vrouw Olen, maar wij richten onze radar ook op de omliggende gemeentes.
Jarenlange ervaring, een doorgedreven kennis van de markt, een up-to-date klantenbestand om u tegen te zeggen en de nodige diploma's. Troeven die we stuk voor stuk op zak hebben. Maar écht het verschil maken? Dat doen we met onze Kempische nuchterheid: een eerlijke, persoonlijke aanpak.
TK2025-748
Leer meer over vastgoed
23 March 2026
Op Spotto zoeken als een pro: 10 slimme tips
21 March 2026
Hoeveel kan ik lenen om een huis te kopen?
01 March 2026
Wanneer heb ik een bouwvergunning of omgevingsvergunning nodig?
17 February 2026