Bouwperceel voor open bebouwing te Kalmthout
€ 325.000
Een pand van Dewaele Vastgoed
Overzicht
- 1305 m² grond
Beschrijving
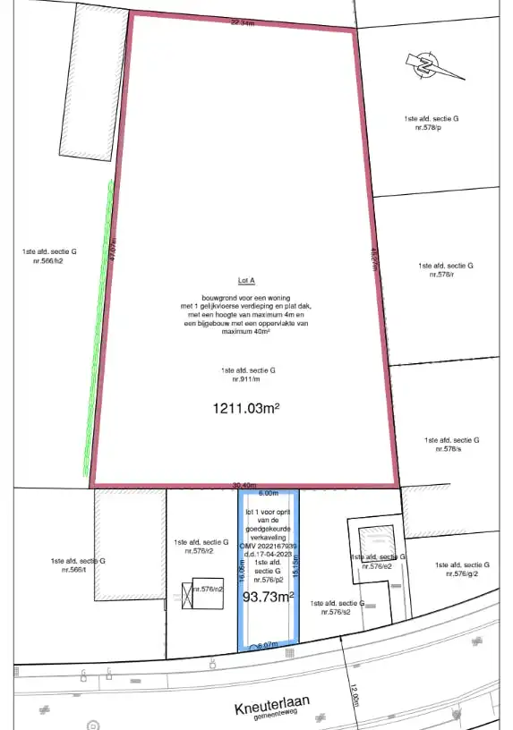
Mooi bouwperceel voor open bebouwing van ca. 1.305m², rustig doch centraal gelegen te Kalmthout!
Bouwperceel voor open bebouwing - ca. 1.305m²
Stedenbouwkundig attest voor een gelijkvloerse woning met plat dak(15m breed, 17m diep), bijgebouw max 40m²!
Verder info via ons kantoor!
Stedenbouwkundig attest voor een gelijkvloerse woning met plat dak(15m breed, 17m diep), bijgebouw max 40m²!
Verder info via ons kantoor!
Energie
Op de kaart

Financieel
| Prijs | |
|---|---|
| Kadastraal inkomen (niet geïndexeerd) | € 83 |
Berekening kosten
Je aankoopkosten? Die heb je snel berekend via de knop hieronder.
Bijkomende info
Perceel
| Totale oppervlakte (m²) | 1305 |
|---|
Uitrusting
| Investeringspand | Nee |
|---|
Een pand van
Dewaele Vastgoed
Dewaele Real Estate nv
Dewaele Real Estate nv
D2920-26003
Leer meer over vastgoed
Nieuw
01 March 2026
Wanneer heb ik een bouwvergunning of omgevingsvergunning nodig?
17 February 2026
Hoe breng ik een bod uit op een woning?
24 November 2025
Uitgezocht voor jouw gemeente: Hoeveel stijgt de waarde van je woning door een renovatie?
22 October 2025