Virtual tour
Riante villa op uniek bouwperceel te koop!
€ 1.650.000
Een pand van De Boer & Partners Brasschaat
Favoriet
Jouw zoektocht
Jouw scoretabel voor dit pand
Aan het laden...
Jouw geplande bezichtigingen
Aan het laden...
Overzicht
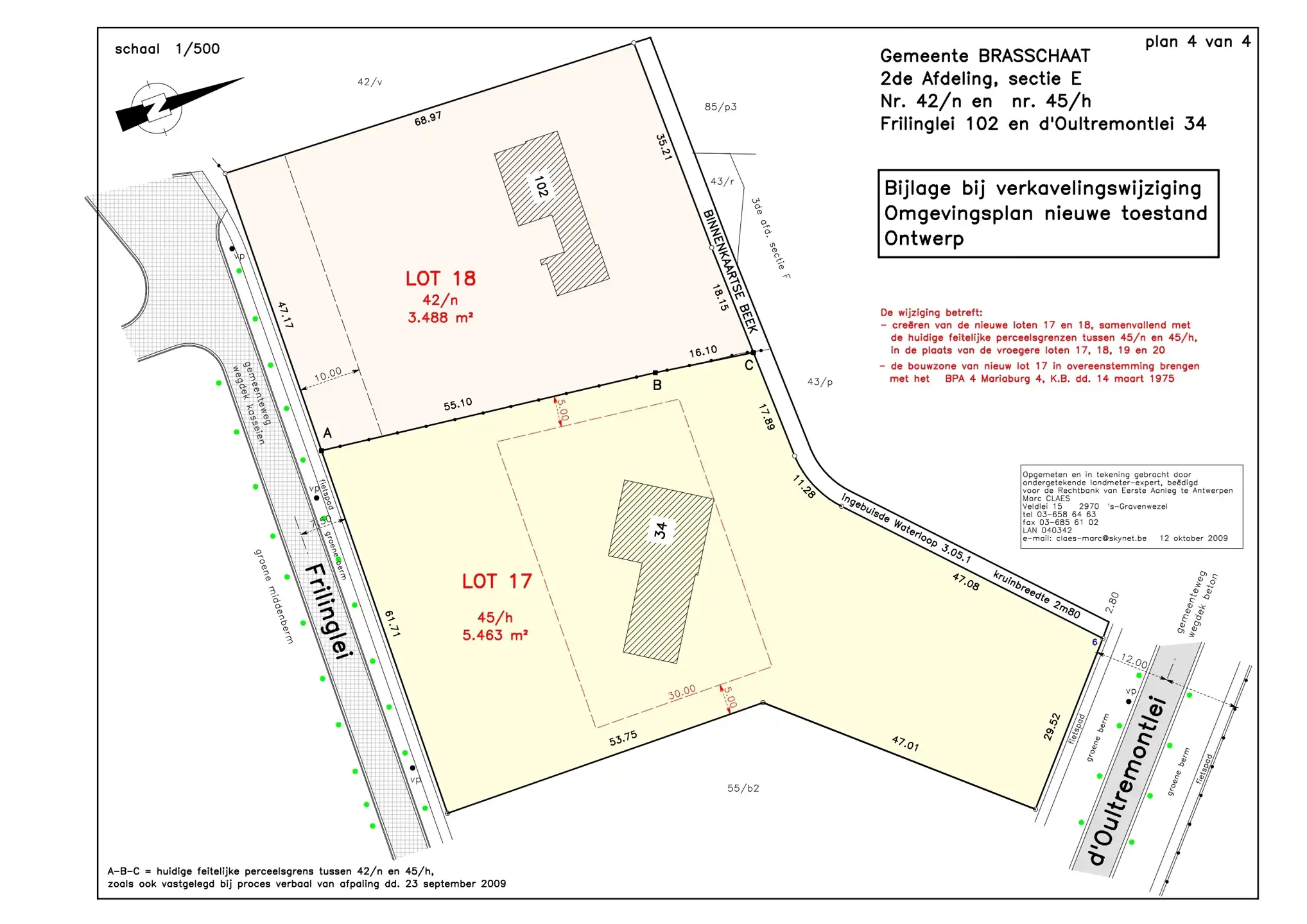
- 5463 m² grond
Beschrijving
Een fantastisch perceel bouwgrond gelegen aan de gegeerde laan d' Oultremontlei. Heden is deze grond voorzien van een te verbouwen villa welke na vernieuwbouw/renovatie en mits het bekomen van een omgevingsvergunning een fantastisch strakke villa geeft (zie renders).
De toekomstige vernieuwbouw (6% tarief mogelijk) is niet alleen aan en zeer mooie brede laan gelegen, bovendien biedt de grond veel potentieel naar uitbreiding: zeer royale bouwzone!) én is deze gelegen op een uniek zonnig georiënteerd perceel (weinig bomenstand dus veel licht!). Energetisch is de huidige villa reeds voorzien van van zonnepanelen en thuisbatterijen maar bij vernieuwbouw kan dit alleen nog maar geoptimaliseerd worden!
Deze huidige villa heeft ca. 640 m² bewoonbare oppervlakte én staat centraal ingeplant op de grond van ca. 5.463 m² én geniet van een mooie tuin voorzien van statige oude bomen welke alle nodige privacy biedt., welke men na een kronkelende lange oprijlaan bereikt. De voorgestelde render brengt de oprit naar de Frilinglei wat maakt dat u een diepe en prachtige en uiterst rustige achtertuin heeft aan de d'Oultremontlei. De straatzijde aan de kant van de Frilinglei bedraagt ruim 61 meter!
Het perceel heeft aan de D'Oultremontlei een straatbreedte van ca. 29 meter.
Volgens de huidige voorschriften kan men de villa vernieuwbouwen
Bouwzone (zie stippellijn op de inplanting):
Maximale bouwbreedte: 44 meter
Maximale bouwdiepte: 30 meter
Maximale bouwoppervlakte = 650m² per verdieping.
Bovenstaande informatie is gebaseerd op de B.P.A. voorschriften.
Bijzonder Plan van Aanleg (BPA) Naam NR40 MARIABURG 4 Datum goedkeuring 14/03/1975
De toekomstige vernieuwbouw (6% tarief mogelijk) is niet alleen aan en zeer mooie brede laan gelegen, bovendien biedt de grond veel potentieel naar uitbreiding: zeer royale bouwzone!) én is deze gelegen op een uniek zonnig georiënteerd perceel (weinig bomenstand dus veel licht!). Energetisch is de huidige villa reeds voorzien van van zonnepanelen en thuisbatterijen maar bij vernieuwbouw kan dit alleen nog maar geoptimaliseerd worden!
Deze huidige villa heeft ca. 640 m² bewoonbare oppervlakte én staat centraal ingeplant op de grond van ca. 5.463 m² én geniet van een mooie tuin voorzien van statige oude bomen welke alle nodige privacy biedt., welke men na een kronkelende lange oprijlaan bereikt. De voorgestelde render brengt de oprit naar de Frilinglei wat maakt dat u een diepe en prachtige en uiterst rustige achtertuin heeft aan de d'Oultremontlei. De straatzijde aan de kant van de Frilinglei bedraagt ruim 61 meter!
Het perceel heeft aan de D'Oultremontlei een straatbreedte van ca. 29 meter.
Volgens de huidige voorschriften kan men de villa vernieuwbouwen
Bouwzone (zie stippellijn op de inplanting):
Maximale bouwbreedte: 44 meter
Maximale bouwdiepte: 30 meter
Maximale bouwoppervlakte = 650m² per verdieping.
Bovenstaande informatie is gebaseerd op de B.P.A. voorschriften.
Bijzonder Plan van Aanleg (BPA) Naam NR40 MARIABURG 4 Datum goedkeuring 14/03/1975
Riante villa op uniek bouwperceel te koop!
Energie
Op de kaart

Financieel
| Prijs | |
|---|---|
| Kadastraal inkomen (niet geïndexeerd) | € 6.531 |
| Kadastraal inkomen (geïndexeerd) | € 14.659 |
Berekening kosten
Je aankoopkosten? Die heb je snel berekend via de knop hieronder.
Bijkomende info
Perceel
| Diepte (m) | 30 |
|---|---|
| Overstromingsgevoelig | Geen |
| P-score | A |
| Voorkeurrecht | Nee |
| Totale oppervlakte (m²) | 5463 |
Vergunning
| Vergunning | Vergunning beschikbaar |
|---|---|
| Verkavelingsvergunning | Vergunning beschikbaar |
| Bouwovertreding | Geen |
| Bouwovertreding dagvaardiging | Geen |
Uitrusting
| Gasaansluiting | Ja |
|---|---|
| Wateraansluiting | Ja |
| Elektriciteitsaansluiting | Ja |
Een pand van
De Boer & Partners Brasschaat
De Boer & Partners Brasschaat
Met meer dan 45 jaar ervaring en 17 kantoren zijn we zonder twijfel uitgegroeid tot een vaste waarde op de vastgoedmarkt in België. Een persoonlijke aanpak is voor ons heel belangrijk, we garanderen een persoonlijke en professionele service waar een grote passie altijd aanwezig is. Onze medewerkers kennen hun regio door en door en staan klaar om u met enthousiasme te begeleiden bij de aankoop, verkoop en verhuur van uw eigendom. We hebben een grote en diverse verkoopportefeuille en zijn thuis in elk marktsegment. Wij staan niet voor een bepaalde prijsklasse, wel voor persoonlijke service en kwaliteit.
7050145
Leer meer over vastgoed
24 April 2026
Duurzaam gelegen woning? Check je Mobiscore
23 March 2026
Op Spotto zoeken als een pro: 10 slimme tips
21 March 2026
Hoeveel kan ik lenen om een huis te kopen?
01 March 2026